[풍남 대성스타호] 내만권 갯바위 대객기 감성돔 조황!!

회원 랭킹


NaverBand
점주/선장 > 갯바위 조황
b_hot_activegloat_200x80.gif b_hot_nios_200x80.gif b_hot_ggsusan_hongeu_200x80.gif b_hot_innakmall_200x80_211203.gif

[풍남 대성스타호] 내만권 갯바위 대객기 감성돔 조황!!

풍남대성스타1호 0 729
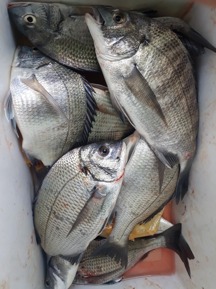
● 출항지 : 고흥,녹동
55 https://band.us/@daesungstar

d7ec16e0eceacfd5deeaaa45acad31e3_1625032902_8746.png



d7ec16e0eceacfd5deeaaa45acad31e3_1625032912_3534.jpg



 

안녕하세요

고흥 풍남 대성스타호입니다.


오늘도 변함없이

대성스타호의 뱃고동은 울렸습니다.


장마가 얼마 남지 않았네요 ㅠㅜ


d7ec16e0eceacfd5deeaaa45acad31e3_1625032942_5239.jpg



d7ec16e0eceacfd5deeaaa45acad31e3_1625032943_032.jpg



d7ec16e0eceacfd5deeaaa45acad31e3_1625032943_1981.jpg



d7ec16e0eceacfd5deeaaa45acad31e3_1625032943_7029.jpg



d7ec16e0eceacfd5deeaaa45acad31e3_1625032943_866.jpg



d7ec16e0eceacfd5deeaaa45acad31e3_1625032943_9743.jpg



d7ec16e0eceacfd5deeaaa45acad31e3_1625032944_0765.jpg



d7ec16e0eceacfd5deeaaa45acad31e3_1625032944_1913.jpg



오늘도 함께 해 주신

모든 조사님들 고생 많으셨습니다.


대객기가 지내고 내일부터 물살이 약해지는 물때이니

마릿수 조황 노리러 와보셔요~~


7월 9일부터 시작되는

선상 문어 생활 낚시 예약이 진행중입니다.


대성스타호 밴드를 참고해주세요.


https://band.us/@daesungstar


d7ec16e0eceacfd5deeaaa45acad31e3_1625033005_9057.png



d7ec16e0eceacfd5deeaaa45acad31e3_1625033006_004.png



d7ec16e0eceacfd5deeaaa45acad31e3_1625033006_1003.png



d7ec16e0eceacfd5deeaaa45acad31e3_1625033006_2501.png



d7ec16e0eceacfd5deeaaa45acad31e3_1625033006_3507.png



d7ec16e0eceacfd5deeaaa45acad31e3_1625033006_4553.png



 

0 댓글
제목
 
 

인낚 최신글


인낚 최신댓글


온라인 문의 안내


월~금 : 9:00 ~ 18:00
토/일/공휴일 휴무
점심시간 : 12:00 ~ 13:00