![]() |
![]() |
![]() |
![]() |
안녕하십니까!
신신낚시 목포점 이 철 규 입니다
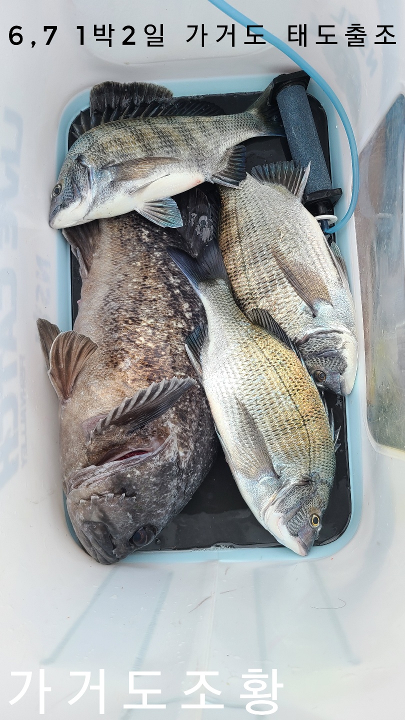
겨울감시 사이즈 굴빵한 녀석들로다가 얼굴 비춰주고 있네요
새해 맞이 손맛 보러가실 조사님들 어서어서 문의 주세요!
항시 주의보 뒤에 마릿수 조과 확인되었습니다.
이번 주말 부터 날씨 아주좋습니다
이번 시즌에는 연속해서 태도 가거도 모든포인트에서 마릿수/사이즈
조과 보여주고 있네요
새해 출조일정 입니다
★ 가거도 출조 ★
1월 1일새해 (토 요 일) 당일낚시 마감
1월 3,4,5 (월 화 수) 2박3일
1월 6,7 (목 금) 1박2일
1월 7,8,9 (금 토 일) 2박3일
★ 상태도 출조 ★
1월 1일새해 (토요일) 당일낚시 마감
1월 6,7 (목,금) 1박2일
★ 9.77t 넓고 깨끗한 최신식 갈치낚시
"체리피싱호" 신신낚시 전용선으로
안전하고 편안하게 모시겠습니다★
▶ 기상악화시 언제든 일정이 변경될 수 있습니다 ◀
네비주소 : 목포시 허사로 81번길 37 신신낚시
☎ : 061.463.8245
☎ : 010 4205 4229
밴드주소 : https://band.us/n/a3a064X6rd6dC
밴드검색창에 "신신낚시목포점"검색!
매일 가거도 태도 홍도 조황을 공유해드리니
편하게 방문하여 조황을 확인하시고
출조계획에 도움이 되었으면 좋겠습니다 !
가거도출조, 상태도출조, 가거도낚시, 상태도낚시, 신신낚시목포, 목포출조점, 원도권출조
|
|
|
|












