![]() |
![]() |
![]() |
![]() |
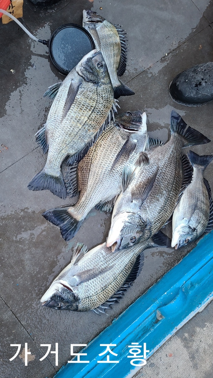
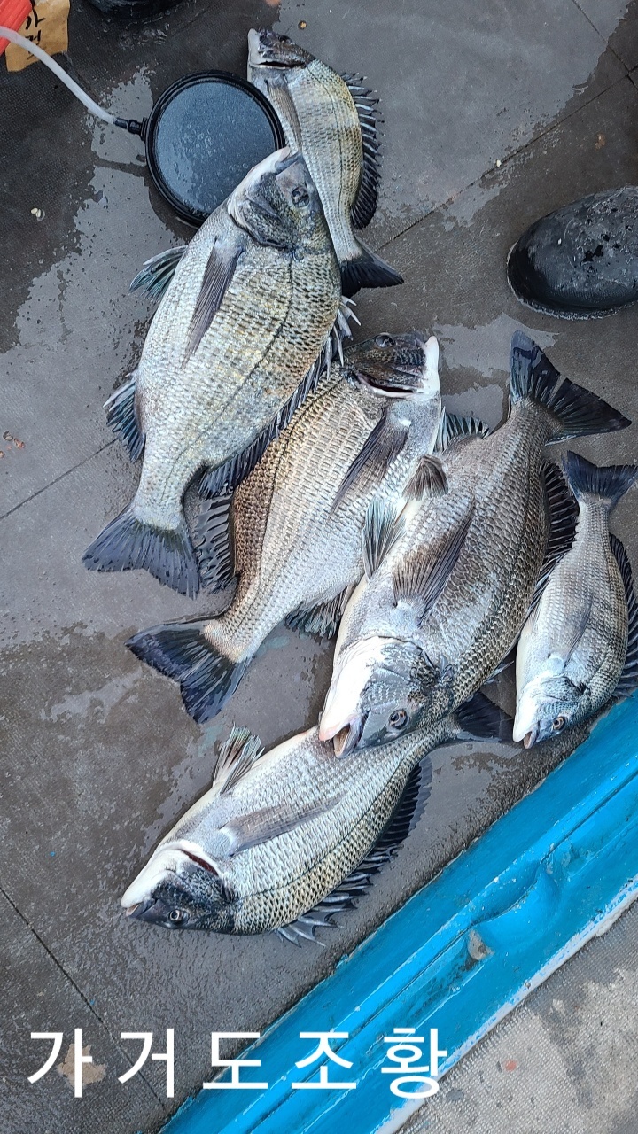
가거도 상태도 모든 포인트에서 감성돔 낯짝 보여주네요!안녕하십니까 !
신신낚시 목포점 "이 철 규"입니다
날씨가 조사님들 출조길을 막아서네요!
날씨만 도와주면 출조하여 좋은 손맛 보시고 오실텐데 아쉽네요 ㅜㅜ
가거도에 계신 조사님들께서 열심히 낚으신 조황입니다
마릿수도 괜찮고 굵직한 녀석들 얼굴보여주네요.
새해에는 부디 좋은 날씨가 지속되어 많은 조사님들이
출조길에 올랐으면 합니다!
조사님들 한해 마무리 잘하시고
새해에는 어복가득한 한해 되시길 바랍니다!
★ 9.77t 넓고 깨끗한 최신식 갈치낚시
"체리피싱호" 신신낚시 전용선으로
안전하고 편안하게 모시겠습니다★
※ 가거도 출조안내 ※
1월 1일 토요일 당일낚시 (예약가능)
1월 3,4,5 월 화 수 2박3일 (예약가능)
※ 상태도 출조안내※
1월 1일 토요일 당일낚시 (예약가능)
★기상악화시 언제든 일정이 바뀔수있음★
네비주소 : 목포시 허사로 81번길 37 신신낚시
Tel : 061.463.8245
H.P : 010 5458 3863
밴드주소 : https://band.us/n/a3a064X6rd6dC
밴드검색창에 "신신낚시목포점"검색!
매일 가거도 태도 홍도 조황을 공유해드리니
편하게 방문하여 조황을 확인하시고
출조계획에 도움이 되었으면 좋겠습니다 !
가거도출조, 가거도낚시, 목포출조점, 가거도사선, 홍도출조, 태도출조, 태도출조점, 가거도출조점, 원도권출조, 원도권
|
|
|
|
















