[여수에이스호] 오짜 감성돔 입니다
01월 02일(금)
인낚 현재접속자
2,965명 (
119
)
공지사항
인낚도서관
점주선장전용 공지사항
로그인
광고/제휴 문의
운영진에게
인낚ㅣ인터넷바다낚시
0
어종별선상
어종별갯바위
낚시인조황
점주선장조황
출조정보
낚시광장
낚시지식인
낚시교실
중고장터
휴게실
인낚도서관
인낚몰
0
어종별선상
어종별 선상조황
4대돔 조황
먹물 조황
갈치 조황
볼락&전갱이
빅게임 지깅&파핑
외줄&외수질
기타 어종
어종별 갯바위조황
4대돔 조황
먹물 조황
갈치 조황
볼락&전갱이
농어&삼치&방어&부시리
기타 어종
어종별갯바위
어종별 선상조황
4대돔 조황
먹물 조황
갈치 조황
볼락&전갱이
빅게임 지깅&파핑
외줄&외수질
기타 어종
어종별 갯바위조황
4대돔 조황
먹물 조황
갈치 조황
볼락&전갱이
농어&삼치&방어&부시리
기타 어종
낚시인조황
낚시인 번개조황
낚시인조행기
스탭조행기
우리낚시동호회이야기
전국낚시동호회소개
동호회갤러리
지난 조황자료보기(년도별 조황 자료)
점주선장조황
전국 실시간 조황
선상(배)+좌대 조황
갯바위+방파제 조황
점주선장전용 공지사항
지난 조황자료보기(년도별 조황 자료)
출조정보
낚시인동행출조
점주선장 갯바위 출조
점주선장 선상출조
기상파고정보(기상청)
해상예보
물때표
파고예보(일본)
실시간해양관측예보
스마트조석예보
낚시광장
낚시계뉴스
대회 및 낚시관련 홍보
제품평가단
신상품소개
낚시지식인
Q&A 묻고 답하기
지식인 베스트
조황/포인트 문의
낚시용품 사용기
낚시투표
토론방
新어류도감
낚시교실
낚시기법소개
어종별 낚시교실
입문자교실
중급자교실
낚시용어사전
중고장터
중고장터 이용후기
더치트 사기피해 검색
팝니다
삽니다
교환합시다
무료로 드립니다
부품팝니다
부품삽니다
일반 생활용품 사고 팔기
휴게실
출석부
낚시갤러리
세상사는 이야기(자유게시판)
낚시이야기 마당
먹고사는 이야기
구인구직
칭찬합니다
어째이런일이
습득물 찾기
인낚도서관
인낚 유튜브
인낚 칼럼
블루, 그것이 알고싶다
더블테일의 두 눈으로 보는 세상
입질의추억의 피싱다이어리
나無의 바다 이야기
전문강좌
海巖의 바다낚시 이야기
이성규의 전유동낚시 강좌
조성민의 금요루어클럽
메인
어종별선상
어종별갯바위
낚시인조황
점주선장조황
출조정보
낚시광장
낚시지식인
낚시교실
중고장터
휴게실
인낚도서관
인낚몰
0
점주/선장 >
갯바위 조황
회원가입 ▶ 점주선장 승급신청 ▶ 승급완료 ▶ 조황글 작성
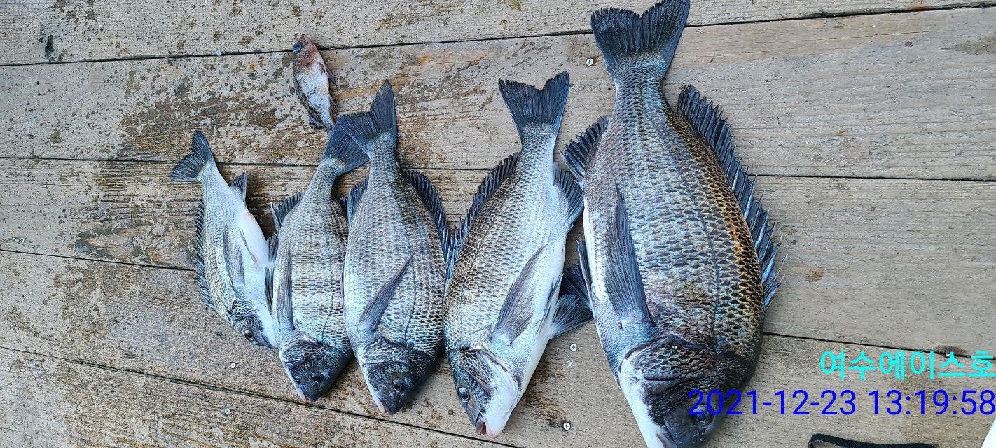
[여수에이스호] 오짜 감성돔 입니다
돌산작금에이스호
0
504
2021.12.23 22:05
● 출항지 : 여수,광양
● 출조인원 : 6~10명
오짜 감성돔 입니다
오늘은 반타작 했습니다
여섯 포인트에서
세자리 손맛보고 왔습니다
오십급부터
삼십 싸이즈까지
다양한 손맛들 보고
왔습니다
오늘도 같이 하신 조사님들 수고많으셨습니다
내일도 새벽여섯시
감성돔 갯바위 ㆍ선상
출조합니다
철수는 오후두시 합니다
갯바위 사만원
선상 십만원입니다
선상은
점심식사 ㆍ밑밥ㆍ미끼
제공합니다
자리 조금씩 여유있습니다
# 여수에이스호 밴드에 오시면 더 많은 사진을 볼 수 있습니다
https://band.us/n/a0ab43R577ffX
위의 주소를 클릭하시면 밴드로 이동하실 수 있습니다 # 네비주소는 "여수시 신윌5길 44번지 청양피싱 에이스호" 입니다 문의 전화 ☞ 010-3161-1360 ☜
0
감성돔
,
갯바위
,
선상
신고
목록
글쓴이
0
0
Lv.2
여수에이스호
점주선장
20,681 (97.1%)
반갑습니다. 전남 여수시 에이스호 입니다.
12.28
[여수에이스호]금오열도 감성돔 다녀왔습니다
12.23
[여수에이스호] 오짜 감성돔 입니다
12.18
[여수에이스호]갯바위 감성돔 다녀왔습니다
12.16
[여수에이스호] 갯바위 다녀왔습니다
12.07
[여수에이스호]갯바위 ㆍ선상 감성돔 조황입니다
0
댓글
로그인한 회원만 댓글 등록이 가능합니다.
×
Image Upload
로그인한 회원만 등록가능합니다.
제목
이름
날짜
[알림]
점주/선장 조황, 1일 2회 등록으로 시범 운영 안내
인터넷바다낚시
2021.04.05
[알림]
선단조황 등록 방식 변경 안내
인터넷바다낚시
2021.03.25
2
[공지] 2022년 갯바위조황 게시판에서 뵙겠습니다!!
2
출항지 : 공지 / 출조지 :
인터넷바다낚시
10278
2022.01.04
인터넷바다낚시
2022.01.04
[통영] 폴라리스)막 철수한 뜨끈뜨끈한 마지막년도 밤볼락조황입니다
출항지 : 통영 / 출조지 :
폴라리스피싱
4464
2021.12.31
폴라리스피싱
2021.12.31
[남해] 2021년 마지막 조황 올려드립니다
출항지 : 남해 / 출조지 :
풍성호
2624
2021.12.31
풍성호
2021.12.31
[남해] 미조 노구 마안도 갯바위 조황입니다. 12/31
출항지 : 남해 / 출조지 :
남해금성호
4886
2021.12.31
남해금성호
2021.12.31
[부산] (털보)감성돔 조황!!
출항지 : 부산 / 출조지 :
가덕털보낚시
5161
2021.12.31
가덕털보낚시
2021.12.31
[부산] 가덕한바다낚시조황
출항지 : 부산 / 출조지 :
한바다낚시
2853
2021.12.31
한바다낚시
2021.12.31
[거제] 해금강낚시인의집 12월29일 조황입니다.
출항지 : 거제 / 출조지 :
해금강낚시인의집
3663
2021.12.31
해금강낚시인의집
2021.12.31
[부산] 가덕대항낚시[5짜/감성돔]조황입니다.
출항지 : 부산 / 출조지 :
가덕도대항낚시선장
3458
2021.12.31
가덕도대항낚시선장
2021.12.31
4
[통영] 호호피싱]한 해 동안 감사했습니다~2021 마지막 출조...[낼…
4
출항지 : 통영 / 출조지 :
통영호호피싱
2789
2021.12.31
통영호호피싱
2021.12.31
[통영] [[척포은성호]]생활낚시 고등어/전갱이 조황~~`
출항지 : 통영 / 출조지 :
척포은성호
2641
2021.12.31
척포은성호
2021.12.31
[거제] 지세포-벵에돔조과 내일 해돋이 출조안내!!
출항지 : 거제 / 출조지 :
거제해림호
2647
2021.12.31
거제해림호
2021.12.31
[남해] 미조 대림호 조황입니다 !
출항지 : 남해 / 출조지 :
미조대림호
1497
2021.12.31
미조대림호
2021.12.31
2
[여수,광양] 12/31 금요일 50,47 대물 감성돔 조황~~!!
2
출항지 : 여수,광양 / 출조지 :
여수썬라이즈호
2647
2021.12.31
여수썬라이즈호
2021.12.31
[부산] 가덕자유인낚시 감성돔조황입니다.
출항지 : 부산 / 출조지 :
가덕도자유인낚시
2364
2021.12.31
가덕도자유인낚시
2021.12.31
[거제] 양지암 갯바위 감성돔 소식입니다
출항지 : 거제 / 출조지 :
능포나이스낚시
2911
2021.12.31
능포나이스낚시
2021.12.31
초기화
날짜순
조회순
검색
1
2
3
4
5
Search
검색대상
제목
내용
제목+내용
회원아이디
회원아이디(댓글)
글쓴이
글쓴이(댓글)
또는
그리고
검색어
필수
검색
닫기
검색조건
제목
내용
제목+내용
회원아이디
회원아이디(코)
글쓴이
글쓴이(코)
검색어
또는
그리고
검색
인낚몰 초특가
★3,000★ 하야부사 6단 볼락 전갱이 카드채비 SD724 볼락채비
★1,000★볼락낚시에 최적인 메바트로볼 - 캐스팅볼, 메바볼
★13,000~★3NO 일본 오리지날 직수입 극강 멀티 무광 마크사 원줄
★500★ W쿠션 멀티 수중찌 M L - 전유동 반유동 끄심바리 필수품 수중쿠션
★5,900★ 여러개 있으면 아주 좋은 EVA 시스템 백
★ 1+1 플로팅, 세미, 카본 낚시줄 행사 호수선택가능 / 택상 1+1 원줄, 목줄 행사
★6,000★ 예민함의 끝판왕 애니원찌 벵에돔찌 학공치찌
★15,000★ 오동목 구멍찌 5개 + 메쉬 찌케이스 세트
★22만원★ 40W 집어등을 이 가격에!
★5,000★ 전층쿠션 15세트입 S / L 사이즈
★2,000★ 전층쿠션 5세트입 S / L 사이즈
★10,000 미니집어등5개 + 425배터리 1개 + 스토퍼고무 10개