![]() |
![]() |
![]() |
![]() |
1년연중 기상만 허락하면 매일 좌사리 출항을 하는통영탑피싱입니다.
동절기 대상어종: 대물참돔,감성돔,뽈락
하절기 대상어종: 돌돔,참돔,벵에돔,농어,부시리
탑은 좌사리를 기점으로 하여 여름좌사리,겨울내만부터~욕지권전역
★꼭 숙지하시길 바랍니다.★
1.신분증 필히 챙기세요. 미소지시 승선불가
2.구명복 필히 착용하세요. 미착용시 과태료 100만원
3.선내음주금지 적발시 벌금 100만원
**출항시간안내**
☞12월24일(금)새벽5시
(출항시간은 변동될수있으니,사전에 ☎)
반갑습니다. 살빠질 예정인 백곰 박선장입니다.
몇분 모시고 연화도거쳐 좌사리 다녀왔습니다.
감성돔1포인터에서는 물이 안가서 ㅠㅠ
1포인터에서는 "찌만 10개 해 무삐서
이제 낚시 안한다고 합니다."ㅋㅋ
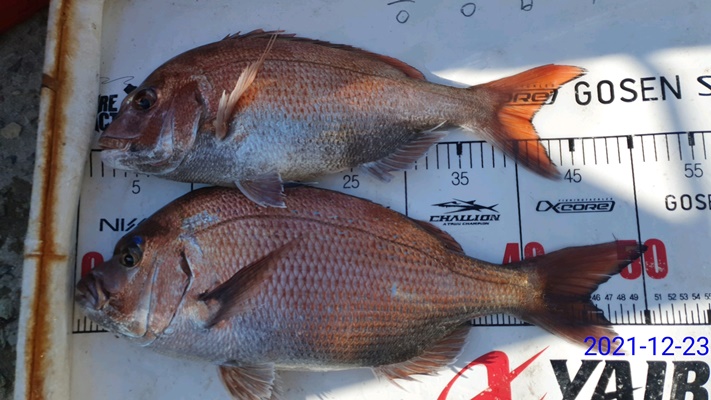
참돔은 5짜4짜들로 손맛보고 철수했습니다.
수고 많으셨습니다.
탑은 내일 욕지거쳐 좌사리까지 출항합니다.
많은 조사님들의 문의 전화 바랍니다.
항상 최선을 다하는 탑이 되겠습니다.
큰놈들이 움직이기 시작하는지 터지신 분들이 늘어납니다.!!
채비와 목줄관리 잘 하셔야 겠습니다.!!
날씨가 무척 춥습니다.방한에도 신경써시길~
★잡어가 많으니 대체 미끼 다양하게 준비하시길~★
♣"나 하나쯤 괜찮겠지? 생각마시고"
개개인이 건강관리 신경써시고
마스크는 필히 착용하시기 바랍니다.
사무실과 배에 손세정제 비치되어 있습니다.♣
@조황이 안올라가더라도 주의보 아닌 이상 매일 출항합니다.@
◎위 출항시간 외에도 출조인원이 6명 이상일때는 원하는 시간에 출조.철수가 가능합니다.◎
**출조문의**
010-4544-1141(선장) 010-9311-5220(사모)
**통영탑피싱 위치 안내**
통영시 산양읍 연명길 36번지
반갑습니다.욕지권,안장덕,좌사리 출조전문점 통영탑피싱입니다. 갯바위 낚시배를 시작한지 벌써 20년이 다 되었네요. 처음 시작한 마음처럼 언제나 조사님들의 목소리 귀담아 들으면서 열심히 하겠습니다.
|
|
|
|










