***12/15 (수) 추자도 소식입니다***

회원 랭킹


NaverBand
점주/선장 > 갯바위 조황
b_hot_activegloat_200x80.gif b_hot_nios_200x80.gif b_hot_ggsusan_hongeu_200x80.gif b_hot_innakmall_200x80_211203.gif

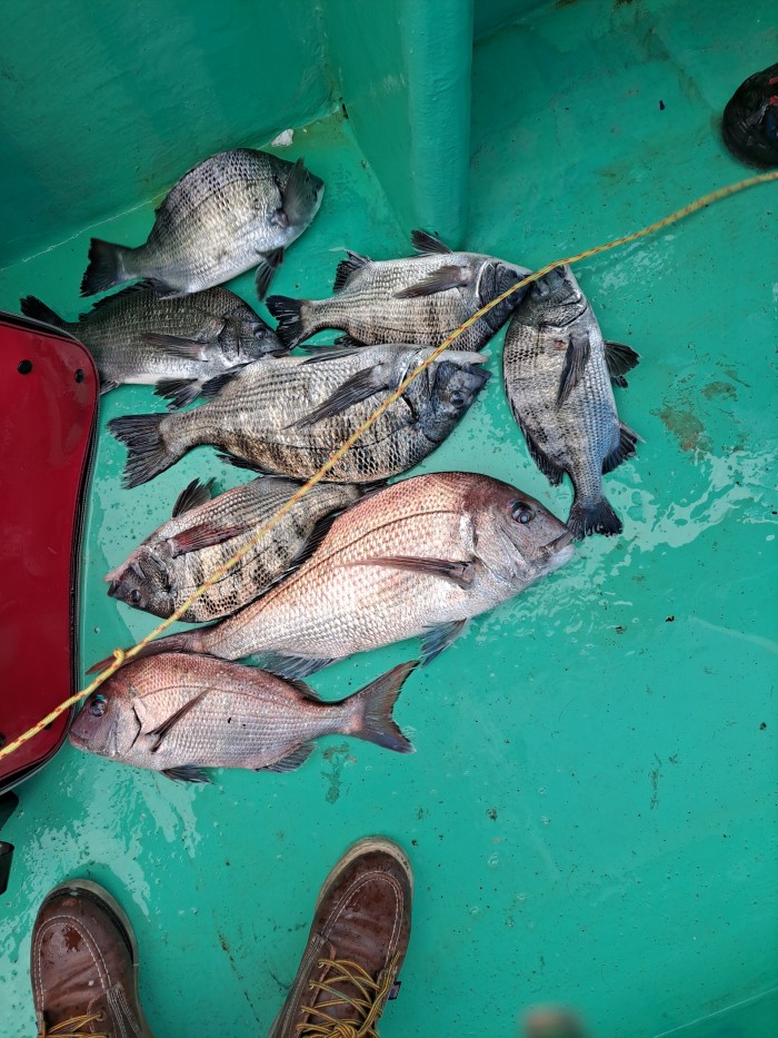
***12/15 (수) 추자도 소식입니다***

달량진낚시 0 1,049
● 출항지 : 제주

수요일 영일호 민박18분 오또기호 당일 19분 철수때사진입니다

수요일 날씨좋았습니다 수온16~17도전후 .. 엮시 추자도입니다 고기체급이 틀립니다

참돔 감성돔  대물들입니다 계절이 12월인만큼 돌돔 개채수 적어보입니다 ..


영일호 오뚜기호 강바다호 날씨좋으면 추자도 매일 달랴갈 계획입니다


***(월.화.수) 추자도 갑니다***


061   534-4009

010   5408-4906


달량진낚시

전남 해남군 북평면 현산북평로 1133

0 댓글
제목
 
 

인낚 최신글


인낚 최신댓글


온라인 문의 안내


월~금 : 9:00 ~ 18:00
토/일/공휴일 휴무
점심시간 : 12:00 ~ 13:00