![]() |
![]() |
![]() |
![]() |
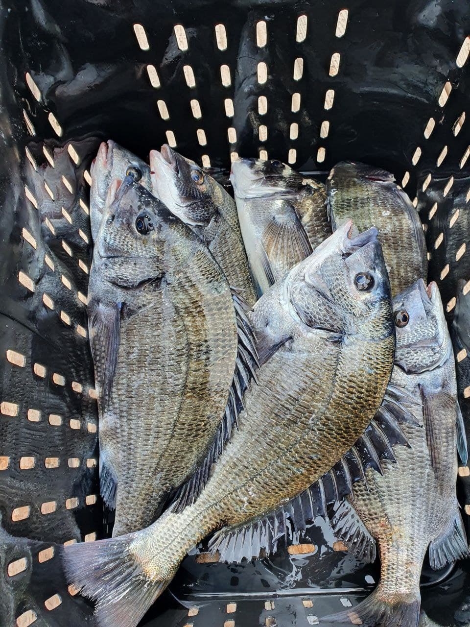
NO.1피싱호 12월 14일 추자군도 갯바위 찌낚 조황입니다~~!! ^^NO.1퍼스트 12월 14일 추자군도 갯바위 찌낚 조황입니다~~!! ^^
NO.1 퍼스트를 찾아주신 회원님과 조사님들 감사합니다.
해뜨기전 날씨가 제법 차가워졌습니다. 찬바람 맞으면서 고생들 많이
하셨습니다.
사이즈 괜찮은 감성돔들 많이 보이긴 한데 오늘은 대물이 없어서
아쉬웠습니다.
이번주는 날씨 좋을때까지 연속 출조 예정입니다. 미리 연락주시면
감사하겠습니다. 고생들 많이 하셨습니다.
언제나 안전하고 친절하게 모시는 NO.1 퍼스트입니다.
감사합니다.
NO.1 Fishing (사선) / First (종선) 운행중
사선과 종선을 운행하여 최고의 서비스와 포인트로 모시겠습니다.
추자도내 친절한 사장님과 깨끗한시설의 민박 이용도 가능합니다.
언제나 최선을 다하는 NO.1 First 입니다.
편안하고 안전하게 모시겠습니다.
감사합니다.
출조문의 : 010-5159-5353
|
|
|
|












