![]() |
![]() |
![]() |
![]() |
여수 돌산 작금항에서 늘 한결같은 마음으로 자갈밭호를
운영하고 있는 선장 김영남 입니다.
동절기에는 내만 (안도 금오도 소리 연도)권으로 매일매일
출조를 하고 있습니다.
오늘도 휴일을 맞아 저희 여수권으로 많은 조사님께서
찾아 주셨네요
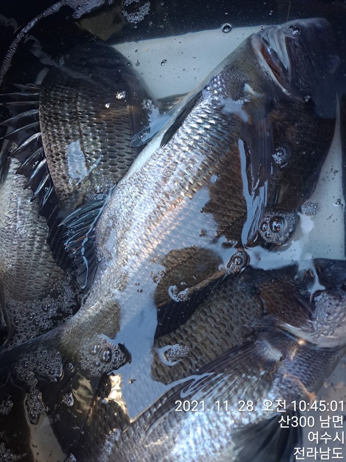
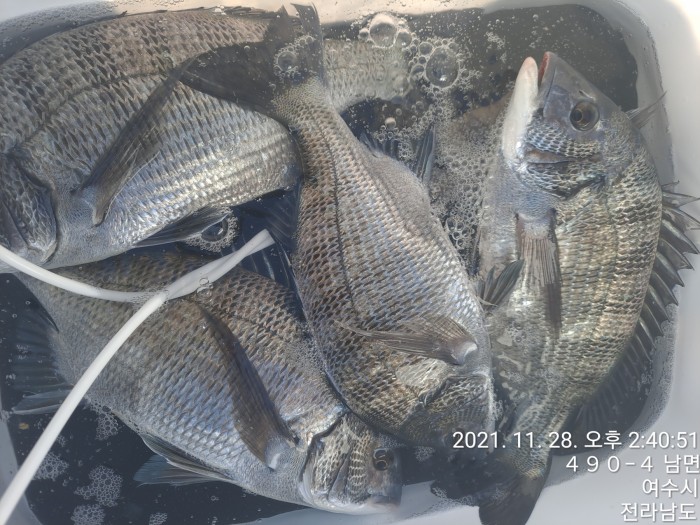
어제의 야영객과 오늘 출조객의 철수 때문에 1 항차와
3 항차의 일부의 사진만 담아 봤습니다.
오늘은 특히 포인트 편차가 너무 심한 것 같습니다.
입질 한 번 못받고 아쉬움만 가득 않고 다음을 기약하며
발길을 돌려야 했고 어떤 포인트에서는 8 수까지 하셨고...
그래도 마릿수 조과입니다.
내일도 좀 더 좋은 조과를 기대하면서 출조는 계속 됩니다.
각종 잡어 종류가 엄청 많이 있습니다.
잡어퇴치용 미끼 하나쯤은 준비 하심이 좋을 듯 합니다.
오늘 저희 자갈밭호와 함께 하신 조사님
너무나 수고가 많으셨네요.
늘 감사함과 고마움을 느끼면서 더욱더
최선을 다해 정성껏 모셔 보겠습니다.
출조 시간; 새벽 4 시
철수 시간; 오후 1시 전 후 (평일 기준)
단,주말과 휴일에는 시간 변동이 있을 수
있으니 사전에 확인 부탁드립니다.
출조 및 예약 문의
선장; 010 3621 9930
여러분의 안전을 위해 필히 구명조끼는 착용하시고
갯바위 전용 신발을 꼭 신으시길 부탁드립니다.
신분증은 필수 입니다.
그리고 마스크도 꼭 착용하시고 승선을 하시길 부탁드립니다.
찾아오시는 곳; 여수시 돌산읍 돌산로 655-8 자갈밭호
|
|
|
|











