







주 소~통영시 산양읍 척포길 193~7
구주소~통영시 산양읍 미남리 203~2
척포)최선장~010~4581~5222
사무실~055~646~3084
~~~출조하실 조우님들은
신분증 지참은 필수이오니
참고 바랍니다~~~
척포 최선장 조황은~~~
~~내만~준 내만권입니다~~
***~원도권이 아닙니다~***
척포 최선장의 주요 출조지~~
내 만 ; 혈도~진작지~학림~오곡~
연대~저도~송도 등등~
준내만; 비진도~용초도~부지도 등등~
~ 출조하실 조우님들은 참고 하시길 ~
~~*** 주말에는 정원(???) 관계로
예약은 필수입니다 ***~~~
~~~~~~조 황 소 식 ~~~~~~~
2021년 11월 06,07일~
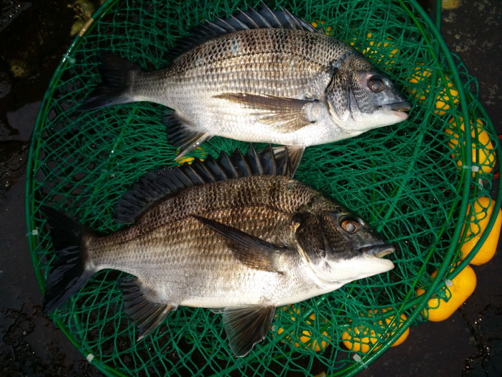
씨알 4짜 감시~뻰찌~
전갱,고등어 소식~~
오늘도 날씨 관계로 출조 하실려는
조우님들께 날씨가 안 좋으니
이번주는 쉬고 다음주로 계획을
잡으시라 했는데~~!!!!
그래도 나가보실꺼라는
조우님 몇분만 출조를~~
어제~오늘~감시도 뻰찌도
나오기는 했는데~???
작은 넘들(30전후~)은 방생하시고~~
쓸만한 넘들은 즉석에서
쓱~싹~하셨다는 조우님은~
"감시가 맛이 들었던데요~"하시네요~~
쓱싹하기전에 사진찍어
보내주시는 쎈~스~감사함다~~
뻰찌와 벵에가 입질을 하더라는
조우님은 "아직은 수온이 쫌 높은것 같다"~
라고 하시구요~~ㅎㅎ
첫 입질부터 넘 강력했다는 조우님은
터자 묵고 열심히 했는데~???
이후로는 잡어만~ㅋㅋ
난 왜 잔넘만 오는지 하시는 조우님도
방생으로 마무리~~수고 했습니다~~
어제 야영가신 조우님도
바람은 쫌 맞아도 고기를 보니
기분은 좋다고 하시네요~ㅎㅎ
고기가 쫌 나올만하니까
날씨가 안 도와 주네요~~
감시는 이제부터 시작이고~???
뻰찌는 이제 막바지인것 같기도 하고~???
전갱이~고등어는 쿨러로 해 오시지만
칼치는 막바지라 마릿수는
많이 안나오고요~~ㅋㅋ
그래도 날씨가 좋아 출조를 하면
뭐든(감시~뻰찌~전갱,고등) 나오겠는데~~!!!
이넘의 날씨가 문제네요~~
다음주 초에는 날씨 관계로
출조가 힘들것 같은데~???
출조하실 조우님은 미리 현지에
문의하신후에 계획 잡으시길~~
조황을 안 올려도 날씨만 좋으면
출조는 계속 됩니다~
출조하실 조우님은 전화로
문의 하시구요~~
출조하실 조우님들은
미리 미리 전화 예약 하시고
찾아 주시길~~
~~척포 최선장호를 찾아 주시는
조우님들은 승선전에 필히
선명을 확인 후 승선 하시길
선명= "척포 최선장" 입니다~~
***~~척포 최선장은 혼자는
야영 출조를 하지 않습니다~
혼자는 위험하니
두분이서 오세요~~**