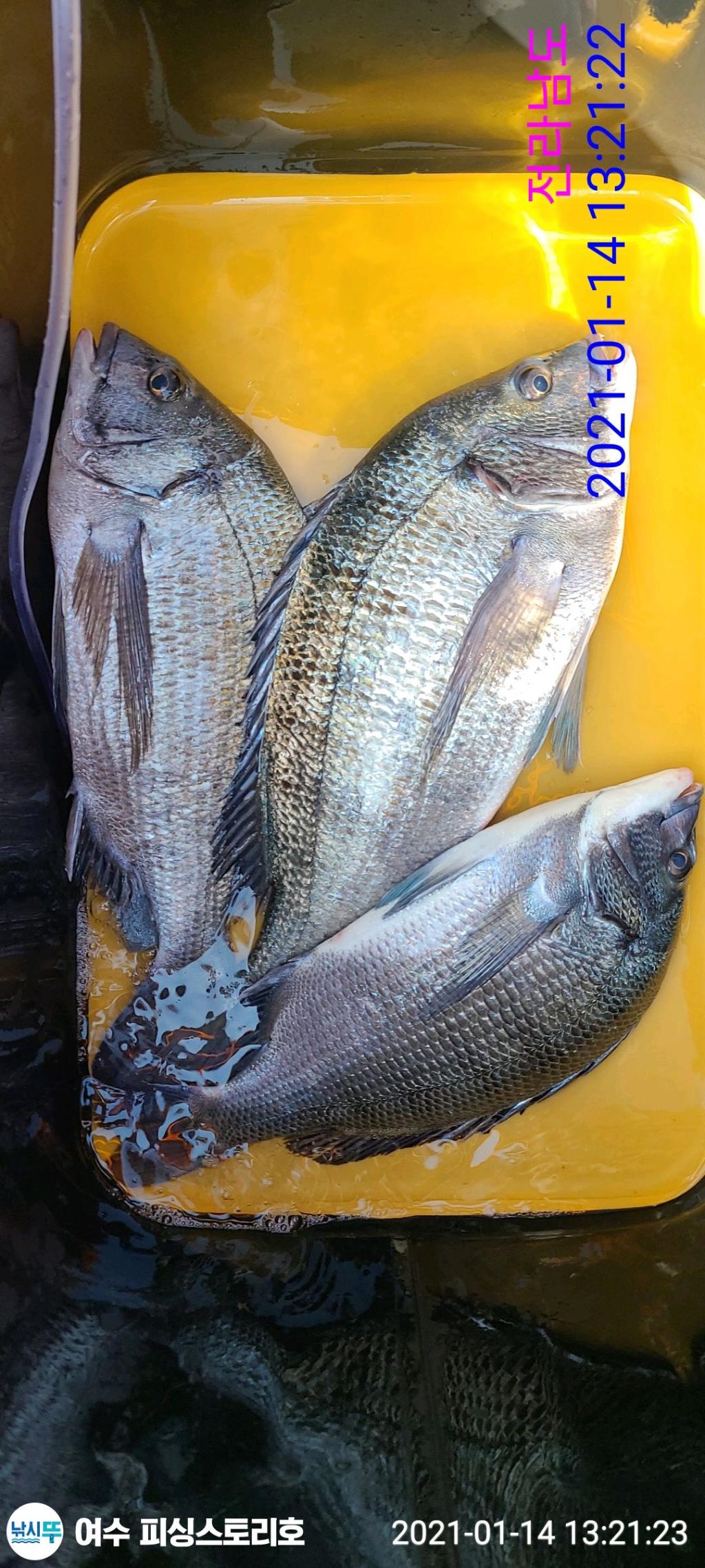
14일 거문도 감성돔 조황

회원 랭킹


NaverBand
점주/선장 > 갯바위 조황
b_hot_activegloat_200x80.gif b_hot_nios_200x80.gif b_hot_ggsusan_hongeu_200x80.gif b_hot_innakmall_200x80_211203.gif

14일 거문도 감성돔 조황

kd피싱스토리 0 786
● 출항지 : 여수,광양
top01.png

여수갯바위낚시

여수피싱스토리

top02.png
낼은 먼바다 남서 너울로인해 거문도 출항은
포기하며 낼새벽 소리도(연도)출항합니다.
· 출조일시2021-01-14(목)
· 출조인원20명
· 어종감성돔
20181226.174849.891.M0019239L9.jpg

소리도(연도)출항 시간은 아침06시30 출항하여 오후16시 철수합니다.

함깨하실분 연락바랍니다.
F12063988E.jpg

F120640034.jpg

F1206399M6.jpg

F120640178.jpg

김진운의 피/싱/스/토/리

 

갯바위 출항 정보

20191203.111141.787.M0019239L9.jpg

?

 

네비주소 :여수시 소호1길 38

예약문의

010-4053-0718

신한은행

110-377-031313

김진운

100

여수갯바위낚시

여수피싱스토리

김진운 선장

590
항구명 여수소호선착장
승선인원 20명
출조점명 피싱스토리
배 타는 곳사무실 옆 여수소호선착장
홈페이지 바로가기 Click
낚시뚜

0 댓글
제목
게시물이 없습니다.
 
 

인낚 최신글


인낚 최신댓글


온라인 문의 안내


월~금 : 9:00 ~ 18:00
토/일/공휴일 휴무
점심시간 : 12:00 ~ 13:00