![]() |
![]() |
![]() |
![]() |
안녕하세요 남해 미조 대림호입니다
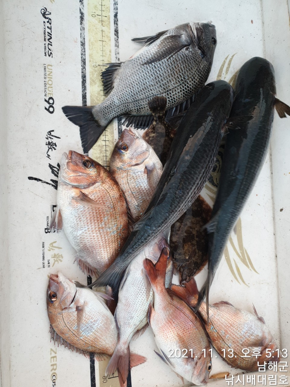
금일 조황입니다
큰놈들의 입질인지 터진게 많답니다
그래도 나올놈은 나오네요
출조하신 조사님들 수고하셨습니다
*밑밥 / 미끼 예약가능합니다
아래번호로 전화주세요
<미조 낚시배 대림호>
*선장연락처 : 010-2090-0407
*갯바위낚시&선상낚시 전문
*승선정원 - 선장포함 18명 / 톤수 - 7.93t)
*주소 : 남해군 미조면 미조로 318번길 16 대림호
—————————————————————
[출항시간]
*갯바위 첫배시간
-주중 : 새벽5시
-주말 : 기본 새벽2시 (출조시간 예약손님에 한해서유동적이오니 전화문의 바랍니다)
—————————————————————
*갯바위 철수시간
-(전날 야영손님 제외) 11시 / 1시 / 3시 / 5시
—————————————————————
*포인트이동
-한두시간 전에 미리 전화주시면 상황에따라 언제든 가능합니다
—————————————————————
*포인트안내
-띠섬 , 반여 , 밤섬 , 범섬 , 쑥섬 , 사도 , 죽암도 , 쌀섬, 목과도 , 노루여, 가문여, 빗바위 등등
—————————————————————
*위치안내
- 저희 대림호는 꿈엔들펜션(가게앞) 50m 이내에서 승선하실수있도록 항시 대기중이며 기상만 따라준다면 매일출항합니다.( 단, 매월 둘째주 화요일은 휴무입니다)
—————————————————————
※처음 찾아오시는 분은 도착후 전화주시면 주차안내 도와드리겠습니다
—————————————————————
*낚시배와 펜션 함께 운영하고있습니다 (꿈엔들펜션)
-펜션문의 : 010-2620-1067
-낚시문의 : 010-2090-0407
*대림호 블로그 바로가기
https://m.blog.naver.com/minmin3476/222567133824?afterWebWrite=true
*대림호 밴드 바로가기
https://band.us/band/10708001/post/1268881784
*꿈엔들펜션 바로가기
|
|
|
|











