척포)최선장~4짜후반 감시외 마릿수~참돔까지~~
인낚ㅣ인터넷바다낚시
어종별선상
어종별갯바위
낚시인조황
점주선장조황
출조정보
낚시광장
낚시지식인
낚시교실
중고장터
휴게실
인낚도서관
인낚몰
0
홈
어종별선상
어종별갯바위
낚시인조황
점주선장조황
출조정보
낚시광장
낚시지식인
낚시교실
중고장터
휴게실
인낚도서관
인낚몰
어종별선상
어종별갯바위
낚시인조황
점주선장조황
출조정보
낚시광장
낚시지식인
낚시교실
중고장터
휴게실
인낚도서관
인낚몰
어종별선상
4대돔 조황
먹물 조황
갈치 조황
볼락&전갱이
빅게임 지깅&파핑
외줄&외수질
기타 어종
어종별갯바위
4대돔 조황
먹물 조황
갈치 조황
볼락&전갱이
농어&삼치&방어&부시리
기타 어종
낚시인조황
낚시인 번개조황
낚시인조행기
스탭조행기
우리낚시동호회이야기
전국낚시동호회소개
동호회갤러리
지난 조황자료보기(년도별 조황 자료)
점주선장조황
전국 실시간 조황
선상(배)+좌대 조황
갯바위+방파제 조황
점주선장전용 공지사항
지난 조황자료보기(년도별 조황 자료)
출조정보
낚시인동행출조
점주선장 갯바위 출조
점주선장 선상출조
기상파고정보(기상청)
해상예보
물때표
파고예보(일본)
실시간해양관측예보
스마트조석예보
낚시광장
낚시계뉴스
대회 및 낚시관련 홍보
제품평가단
신상품소개
낚시지식인
Q&A 묻고 답하기
지식인 베스트
조황/포인트 문의
낚시용품 사용기
낚시투표
토론방
新어류도감
낚시교실
낚시기법소개
어종별 낚시교실
입문자교실
중급자교실
낚시용어사전
중고장터
중고장터 이용후기
더치트 사기피해 검색
팝니다
삽니다
교환합시다
무료로 드립니다
부품팝니다
부품삽니다
일반 생활용품 사고 팔기
휴게실
출석부
낚시갤러리
세상사는 이야기(자유게시판)
낚시이야기 마당
먹고사는 이야기
구인구직
칭찬합니다
어째이런일이
습득물 찾기
인낚도서관
인낚 유튜브
인낚 칼럼
블루, 그것이 알고싶다
더블테일의 두 눈으로 보는 세상
입질의추억의 피싱다이어리
나無의 바다 이야기
전문강좌
海巖의 바다낚시 이야기
이성규의 전유동낚시 강좌
조성민의 금요루어클럽
인낚몰
홈소개
공지사항
자주 묻는 질문
운영진에게
광고/제휴문의
회원 랭킹
44
1
왕초보태공
31
2
미호
28
3
쌩기똥기
22
4
오사마리
21
5
마루미르
18
6
ctan
17
7
돌붕어
16
8
Nike1972
14
9
블루홀리
13
10
시작하는채비와장비
13
11
왕사미다내꺼
12
12
무덕이
12
13
망상어전문
12
14
전공태
12
15
나돔
11
16
하루모
11
17
부산그녀석
11
18
꿈의사냥5짜
10
19
테리6443
9
20
장생포털보낚시
9
21
고기잡으세
9
22
촌놈남해
9
23
돌돔참돔
9
24
Donf까
9
25
울트
8
26
물망사
8
27
감성전설
8
28
토영낚린이
8
29
로그온
8
30
농약한잔의여유
8
31
린사장
8
32
낄낄이
8
33
벵에만한다
8
34
야무지네
8
35
불타는시마
7
36
한국밑밥연맹
7
37
쌍칼라
7
38
재팔79
7
39
불꽃버디
7
40
대물헌트
7
41
블루피싱호
7
42
앵그리정
7
43
부산오리
7
44
우하하
7
45
와니와니와니
7
46
양산서가이드피싱샵
7
47
허쯔
7
48
신용대
6
49
갓바우조사
6
50
푸른생선
6
51
취한다
6
52
가마인
6
53
신강수도
6
54
아귀찜
6
55
감시밥줄
6
56
감시마을
6
57
때구어장
6
58
거침없이산다
6
59
마린보이573
6
60
그믐달
6
61
만또라미
6
62
X10A
6
63
둥시
5
64
APPLEPIE
5
65
로지즈
5
66
FTWiceman
5
67
상석바위
5
68
복사초등대
5
69
4계절벵에
5
70
벵병
5
71
김해장유아디다스
5
72
감시잡아보자궁
5
73
진주진이
5
74
gaskjy
5
75
금땡
5
76
감시통조림
5
77
광주고프로
5
78
부시리우스2022
5
79
지나온추억
5
80
밍킈
5
81
앵글러킴미르
5
82
보라빛바다
5
83
방생또방생
5
84
모카사랑해
5
85
마구자비조
5
86
바다사나이월천
5
87
거제그놈
5
88
리미티드아마추어
5
89
짱규
5
90
감성돔대장
5
91
BB오빠
5
92
꼴방MAN
5
93
좌타우타
5
94
쏘렝이
5
95
빵곰
5
96
2vs0
5
97
새조개
4
98
제림여
4
99
쿨린펀취
4
100
사하주민
점주/선장 >
갯바위 조황
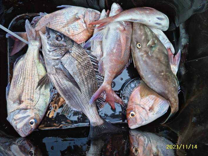
척포)최선장~4짜후반 감시외 마릿수~참돔까지~~
척포최선장
0
550
2021.11.14 17:33
● 출항지 : 통영
● 출조인원 : 6~10명
주 소
~통영시 산양읍 척포길 193~7
구주소
~통영시 산양읍 미남리 203~2
척포)최선장
~010~4581~5222
사무실
~055~646~3084
~~~출조하실 조우님들은
신분증 지참은 필수이오니
참고 바랍니다~~~
척포 최선장 조황은~~~
~~내만~준 내만권입니다~~
***
~원도권이 아닙니다~
***
척포 최선장의 주요 출조지~~
내 만
; 혈도~진작지~학림~오곡~
연대~저도~송도 등등~
준내만
; 비진도~용초도~부지도 등등~
~ 출조하실 조우님들은 참고 하시길 ~
~~***
주말에는 정원(???) 관계로
예약은 필수입니다
***~~~
~~~~~~조 황 소 식 ~~~~~~~
2021년 11월 14일~
덩치 4짜외 마릿수 소식~
오늘도 감시 참돔 출조~~
감시는 덩치 좋은 4짜 후반으로
손맛보고 오시네요~~
잔넘도 몇마리 나오구요~~
대물급으로(5짜~??) 추정되는 넘은
팅~~하고 오시네요~아깝다~~
감시 대신 참돔으로 손맛보고 오신
조우님은 "감시는 잘던데요~"하면서
쫌은 아쉬워 하시구요~~
이제 감시가 척포권에 붙었나 봅니다~
어제,오늘 터지는 넘들과 가지고 오는
넘들이 쫌 있는것을 보면 앞으로가
기대가 되네요~~
야영하신 조우님도
농어와 참돔으로 손맛보고 감시는
냠냠하셨다고 하시네요~ㅎㅎ
대체미끼 하나쯤은 챙겨 오시구요~
오늘같으면 필요 없기는 하더라는
조우님도 계시기는 하네요~
잡어가 많이 빠진것 같구요~~
전갱이~고등어가 많이 붙은곳도
있기는 하지만~~
내일도 정상 출조 합니다~~
조황을 안 올려도 날씨만 좋으면
출조는 계속 됩니다~
출조하실 조우님은 전화로
문의 하시구요~~
출조하실 조우님들은
미리 미리 전화 예약 하시고
찾아 주시길~~
~~
척포 최선장호를 찾아 주시는
조우님들은 승선전에 필히
선명을 확인 후 승선 하시길
선명=
"척포 최선장"
입니다
~~
***
~~척포 최선장은
혼자
는
야영 출조를 하지 않습니다~
혼자
는 위험하니
두분이서 오세요~~
**
0
신고
목록
글쓴이
2
1
Lv.9
척포최선장
프리미엄회원
123,269 (84.8%)
척포최선장 입니다 여러분의 출조길을 안전하게 책임지겠습니다
12.30
척포)최선장~감시,참돔~학꽁치는 쿨러로~~
12.29
척포)최선장~감시,참돔~학꽁치,전갱이 쿨러로 ~
12.28
척포)최선장~덩치 4짜(47cm) 감시~학꽁치 소식~~
12.26
척포)최선장~바람속 참돔~학꽁치,전갱,고등어로~~
12.24
척포)최선장~학꽁치,전갱,고등~쿨러로~~
0
댓글
로그인한 회원만 댓글 등록이 가능합니다.
×
Image Upload
로그인한 회원만 등록가능합니다.
제목
이름
날짜
[거제] 해금강 태성호 감성돔 소식
출항지 : 거제 / 출조지 :
해금강태성낚시
513
2021.11.14
해금강태성낚시
2021.11.14
[남해] 상주 조황입니다
출항지 : 남해 / 출조지 :
상주낚시통
581
2021.11.14
상주낚시통
2021.11.14
[거제] 양지암 갯바위 감성돔 소식입니다
출항지 : 거제 / 출조지 :
능포나이스낚시
730
2021.11.14
능포나이스낚시
2021.11.14
[사천] (유성호) 놀람주의!!!오늘 내만감성돔조황 불났어요(주말마릿수 …
출항지 : 사천 / 출조지 :
피싱유성호
1281
2021.11.14
피싱유성호
2021.11.14
[거제] 다대 조황 입니다
출항지 : 거제 / 출조지 :
거제대도낚시
1248
2021.11.14
거제대도낚시
2021.11.14
[거제] 대포권 조황
출항지 : 거제 / 출조지 :
거제방주호
703
2021.11.14
거제방주호
2021.11.14
[통영] 대박피싱]조황올리야 되나 말아야되나? 낼도 정상출조
출항지 : 통영 / 출조지 :
통영대박피싱
961
2021.11.14
통영대박피싱
2021.11.14
[통영] 흑룡]빵빵한 다랑어..부터[내일 새벽3시] 종일......
출항지 : 통영 / 출조지 :
흑룡피싱
697
2021.11.14
흑룡피싱
2021.11.14
[부산] 가덕새바지낚시 감성돔/고등어조황!
출항지 : 부산 / 출조지 :
가덕새바지낚시
534
2021.11.14
가덕새바지낚시
2021.11.14
[통영] 척포)최선장~4짜후반 감시외 마릿수~참돔까지~~
출항지 : 통영 / 출조지 :
척포최선장
551
2021.11.14
척포최선장
2021.11.14
[거제] 구조라~한포인트에서 60수까지~~
출항지 : 거제 / 출조지 :
거제포세이돈낚시
1372
2021.11.14
거제포세이돈낚시
2021.11.14
[통영] 백일청묭호 감성돔,참돔조황
출항지 : 통영 / 출조지 :
통영백일청용호
457
2021.11.14
통영백일청용호
2021.11.14
[완도] 대모도권!! 마릿수 감성돔 조황!!!!!~철수길바빠 일부조황입니…
출항지 : 완도 / 출조지 :
완도국제낚시
360
2021.11.14
완도국제낚시
2021.11.14
[통영] [[척포은성호]]참돔//뺀찌//고등어*전갱이 쿨러 조황~~~
출항지 : 통영 / 출조지 :
척포은성호
393
2021.11.14
척포은성호
2021.11.14
[거제] 여차낚시연합 감성돔조항
출항지 : 거제 / 출조지 :
거제여차낚시연합회
1031
2021.11.14
거제여차낚시연합회
2021.11.14
[여수,광양] 금오열도 감성돔 조황입니다
출항지 : 여수,광양 / 출조지 :
씨울프피싱
363
2021.11.14
씨울프피싱
2021.11.14
[부산] 만남피심갯바위감성돔/잡어조황입니다
출항지 : 부산 / 출조지 :
가덕도만남낚시
466
2021.11.14
가덕도만남낚시
2021.11.14
[통영] 폴라리스)주말 갯바위 감성돔/전갱이/갈치 마릿수쫌....계속해서…
출항지 : 통영 / 출조지 :
폴라리스피싱
358
2021.11.14
폴라리스피싱
2021.11.14
[완도] 명성호 갯바위조황
출항지 : 완도 / 출조지 :
명성호
304
2021.11.14
명성호
2021.11.14
[통영] 두미도 우와 살아 있네요...! 내일 새벽05시 종일낚시로~!~…
출항지 : 통영 / 출조지 :
통영몬스터호
1205
2021.11.14
통영몬스터호
2021.11.14
[여수,광양] 글로리호 안도,연도 조황입니다
출항지 : 여수,광양 / 출조지 :
글로리피싱
460
2021.11.14
글로리피싱
2021.11.14
[여수,광양] 돌산 자갈밭호 휴일 감성돔 및 참돔 마릿수 조황입니다
출항지 : 여수,광양 / 출조지 :
여수자갈밭호선장
434
2021.11.14
여수자갈밭호선장
2021.11.14
[통영] 척포[제일호] 감성돔~참돔~뺀찌~전갱이 조황~~
출항지 : 통영 / 출조지 :
척포제일호
405
2021.11.14
척포제일호
2021.11.14
[고흥,녹동] 명성피싱호 새벽출조 조황
출항지 : 고흥,녹동 / 출조지 :
고흥명성피싱호
419
2021.11.14
고흥명성피싱호
2021.11.14
[통영] ^^완전종일^^사량권 감성돔^^45부터~~
출항지 : 통영 / 출조지 :
통영감성호
438
2021.11.14
통영감성호
2021.11.14
[여수,광양] 11/14 휴일 감성돔 조황~~!!
출항지 : 여수,광양 / 출조지 :
여수썬라이즈호
377
2021.11.14
여수썬라이즈호
2021.11.14
[군산] (야미도바다낚시) 갯바위 조황입니다
출항지 : 군산 / 출조지 :
야미도바다낚시점
319
2021.11.14
야미도바다낚시점
2021.11.14
[통영] 탑피싱]연화도좌사리 / 대부시리 팡팡,참돔조황(출조시간안내)
출항지 : 통영 / 출조지 :
통영탑피싱
496
2021.11.14
통영탑피싱
2021.11.14
[고흥,녹동] 토,일요일 감성돔 조황입니다
출항지 : 고흥,녹동 / 출조지 :
나로도이스크라호
442
2021.11.14
나로도이스크라호
2021.11.14
[통영] 스타] 욕지권 두미권 주말 팅팅~속에 감성돔 참돔 조황 월요일 …
출항지 : 통영 / 출조지 :
통영스타피싱
357
2021.11.14
통영스타피싱
2021.11.14
초기화
날짜순
조회순
검색
81
82
83
84
85
86
87
88
89
90
Search
검색대상
제목
내용
제목+내용
회원아이디
회원아이디(댓글)
글쓴이
글쓴이(댓글)
또는
그리고
검색어
필수
검색
닫기
검색조건
제목
내용
제목+내용
회원아이디
회원아이디(코)
글쓴이
글쓴이(코)
검색어
또는
그리고
검색
인낚 최신글
09:02
16일,도다리 입맛,손맛,선상 상차림 즐기고,내일출항(수~예약가능)
09:01
문어) 원도권문어 KKK조황~ 수요일부터 원도권예약가능
08:45
카고감성돔 5짜5짜5짜 4짜~~내일예약중
08:41
" 새해 복 많이 받으세요 ~ " 강성낚시
08:25
가마가츠 G3 1-50
08:24
왕열기볼락,만쿨행진,수요일부터출항,쭉 예약가능/봄도다리퍽퍽매일출항 수,목,금,토,일,쭉
08:21
타이렁라바~~
08:06
씨알급 대물조황 사진...
07:59
야간낙지(선비5만식사제공) 야간낙지 오늘3자리있습니다
07:58
대물감성돔 시즌답게 터지고 바늘빠지고 아쉬움이
07:54
대물감성돔 시즌답게 터지고 바늘빠지고 아쉬움이
07:52
왕오징어 기상좋은 목요일부터 예약가능합니다!!
07:51
[볼락루어] 욕지권 조황입니다.. 17일 정상출항합니다.
07:49
안골) 감성돔 흘림 빅사이즈 마릿수 굳조황 - 설당일 11시출조 예약가능
07:44
감성돔흘림5짜급,5짜급,4짜,4짜,4짜외 찐한손맛
07:43
감성돔 흘림 마리수 조황 진해안골 서진호
07:26
G4구형 가이드세트외
07:25
포항강성2호. 한치. 출조
07:02
다이와 18토너먼트 경기릴 구해요
05:14
12토너 3000
04:32
Gm-3784 블랙골드3L
01:57
원전항)봄도다리 1분씩 한사라씩 잡고 18일 내일 출항갑니다~
+1
01:03
다이와 토너먼트 DW-1024T 판매
00:54
감성돔(카고)ㅡ57,55,53,51,,5짜.4짜급으로 손맛굿굿(수,예약가능)
00:51
가마가츠 내피팝니다GM3798 LW 사이즈
02.16
15일 <주간도다리>&<야간낙지>목,금,토,일 예약가능
02.16
문어) 원도권문어 키로오버외 조황~ 수욜부터 원도권예약가능~
02.16
어초 감성돔 52외 빠지고 벗겨지고 (흘림)
02.16
가덕천성진양 좌대조황 (26/2/16/월)
02.16
2/16 씨알좋은봄도다리 손맛 입맛 굿굿~~ 수요일예약가능
02.16
다이와 토너먼트40밑밥통, 두레박,주걱통,미끼통세트 새상품
02.16
15일 <주간도다리>&<야간낙지>목,금,토,일 예약가능
02.16
봄도다리 좋지 못한사항속 솥뚜껑도다리에 왕도다리로 손맛보시고
02.16
14일세진호/돌문어kg.마릿수많이~수.가능~
02.16
나이스2호) 15일 대물 감성돔 조황. 사이즈가 후덜덜하네요
02.16
다대 감성돔 조황입니다
02.16
2/16일 장생포 동네낚시 조황
02.16
2/`16 여수대박호 금오도권 씨알좋은감성돔 조황입니다 수요일 자리여유있습니다
02.16
start ..감씨
02.16
카고감성돔 5짜5짜 다수4짜 손맛굿굿GOGO~
02.16
고성드래곤 어초 감시흘림 4짜4짜외 수욜 자리여유
02.16
다이와 구명조끼
02.16
야간낙지 조항(선비5만)시즌 빅2 EVENT~17일 화욜(출조확정)8자리 예약가능 합니다
02.16
목요일부터 감성돔카고 모집
02.16
월요일 여수 금오열도 감성돔조황
02.16
다이와 자동 팽창식구명복 DF-9403 새제품입니다
02.16
[도다리]씨알좋고,빨래판까지~!! 회밥상은멋드러집니다~ 목금토일 쭉 예약가능합니다!
02.16
가마가츠 gc293 슬림 로드케이스 방수커버 포함
02.16
왕열기볼락,만쿨행진,수요일부터출항,쭉 예약가능/봄도다리퍽퍽매일출항 수,목,금,토,일,쭉 예약가능
02.16
감성돔 거제인성낚시 4짜
인낚 최신댓글
07:55
대박나세요 선장님! 제가 내린 10걸음 옆에 손님 내려주는 선장님 그쪽배 타는 손님은 또 무슨죄입니까 매너 …
02.16
▶작성자 본인에 의해 삭제된 댓글입니다.(삭제일시 : 2026-02-16 20:57:15)
02.16
2일동안 시간을 알차게 사용하셔서 즐기신듯 합니다.^&^ 사이즈좋은 감시로 손맛 보셧네요. 축하 드립니다. …
02.16
별시리 히안한 일이 있었네요. 손맛는 귀선님이 보시고 바늘이 다른 바늘이...ㅎ 저두 비슷한 경험이 있습니다…
02.16
선장 양반 매너좀 지키면서 합시다 무슨 저수지 붕어낚시 하는것도 아니고 먼저다른선사에서 낚시 하고있는 자리와…
02.16
내일 설당일 감성돔 흘림 출동합니다~!!!!
02.16
2일 자유낚시를 아주 알차고 재미있게 즐기셨네요. 즐거운 조행길에 멋진 손맛까지 축하드리고요. 수고하셨습니다…
02.16
18일부터 예약 가능합니다
02.16
다섯명 이하는 기름값이 안된다고 출항을 안합니다 이것은 저도이해합니다 돈 벌려고 하는 것이니까 당연히 돈 벌…
02.16
칼라피싱 문의해보세요. 아마 ags 가이드 1개비용과 초리 im가이드4개교체비용이 별차이 없을수도있을껍니다.…
02.16
18일부터 예약가능 합니다
02.16
저도 어제 배탄 사람입니다 미리 뒤에 도보로 내려 오는 포인트라고 선고지해줬더라면 저희가 선택 할수 있었을텐…
02.16
어제 배탄 사람입니다. 아무리사람이 많다하지만 무슨 시장통도아니고 저희보다 늦게온사람이 배먼저타고나가고 저희…
02.16
부럽습니다 축하합니다
02.16
잘보고갑니다 ^^
02.16
20일(금) 낮열기낚시 예약가능합니다. 06시까지 오시면 자리추첨후 출조합니다.
02.16
18일부터 예약 가능합니다
02.16
18일부터 예약 가능합니다
02.16
다른선장님이랑 통화했는데 그렇게 내리는거 아니라는데여 ㅋ 사량도 가시는 선장님들도 그렇게 내려주는거 첨음봤다…
02.16
▶작성자 본인에 의해 삭제된 댓글입니다.(삭제일시 : 2026-02-16 09:29:27)
02.16
▶작성자 본인에 의해 삭제된 댓글입니다.(삭제일시 : 2026-02-16 09:28:08)
02.16
▶작성자 본인에 의해 삭제된 댓글입니다.(삭제일시 : 2026-02-16 09:27:58)
02.16
10걸음 옆자리 배 바로꼽아뿌는 매나없는 선장님~
02.16
18일(수) 예약 가능합니다
02.16
저러고선 고기안잡히면 사람들이쓰레기버려서 환경이오염돼서 고기가없다는
02.16
여차 정상운행중이라 합니다. 26.2.15. 현재
02.16
물 때, 수심체크, 물의 흐름, 상황에 대처하는 채비변화 그리고 게속 생각하는 낚시를 해야 합니다. 그냥 흘…
02.16
답변감사합니다.선생님
02.15
02.15
이양반 외지등대서 낚시하고있을때 혼자 배끌고와서 찌흘러가는 바로앞까지 배붙혀서 혼자 볼락털털이한다고 꼬장피더…
02.15
17일(화) 설당일 예약중 입니다~^^
02.15
아니면 피싱as 부품 주문에 부품도 보시고 주문하시면 됩니다
02.15
피싱as에 문의해보세요
02.15
다른사람 갯바위에서 낚시하고있는데 배바로 꼽네요 무슨 삼천포 발방낚시하는줄아나보네요ㅋ 기본상식이라는게 없습니…
02.15
내일 예약 가능합니다 연휴동안 예약 가능합니다
02.15
내일도 출동~ 예약중 입니다^___^
02.15
내일도 출동~ 예약중 입니다^___^
02.15
조항 문의하면 무조건 오라하고 기분 나쁘게 전화 받아 많이 불쾌하네요 오 죽 했으면 아내가 통화 하는 걸 듣…
02.15
@북회귀선 다시판매하는거는 저는 전혀 개의치않습니다 저한테 구입한릴이 기스가 있다 문제가있다 거짓을 얘기하셔…
02.15
내일 예약 가능합니다
02.15
내일 예약 가능합니다
02.15
02.15
02.15
거짓조황에 10걸음 옆자리 배 바로꼽아뿌는 매나없는 선장님~ 많이 벌고 많이 쳐먹으세요~
02.15
거짓조황에 10걸음 옆자리 배 바로꼽아뿌는 매나없는 선장님~ 많이 벌고 많이 쳐먹으세요~
02.15
거짓조황에 10걸음 옆자리 배 바로꼽아뿌는 매나없는 선장님~ 많이 벌고 많이 쳐먹으세요~
02.15
거짓조황에 10걸음 옆자리 배 바로꼽아뿌는 매나없는 선장님~ 많이 벌고 많이 쳐먹으세요~
02.15
최근 목요일까지 미조권 황좋았습니다 포인트마다 감시가 붙은곳있고 안붙은곳있습니다~ 좋은선사이용하셔서 손맛보시…
02.15
시마노 다이와 일련번호는 동일합니다. 보증처리때문에 모든로드나 릴은 테크늄이든 하포든 모든 로드들 품번은 똑…
02.14
오래전 어떤 가이드분이 볼락 올라오면 갯바위던져두라더군요 점심때 뻣뻣힌게 굳은 그놈들을 회를떠서 먹는데 꼬들…
온라인 문의 안내
*운영진에게 문의
*광고/제휴 문의
월~금 : 9:00 ~ 18:00
토/일/공휴일 휴무
점심시간 : 12:00 ~ 13:00
인낚몰 초특가
★설특가 190,000★ 파직스 자동팽창식 구명의 PL-181+원줄+장갑
★설특가 99,000★ 디캡스 자동팽창식 구명복+원줄+장갑
★설특가 8,000부터★ ISF 바칸 삼나무 테이블
★설특가 4,000★ FF 블리츠 전자캐스팅볼 점등 점멸 + 구매수량만큼 425배터리 증정 / 4개단위로 구매시 케이스 증정
★설특가 12,000★ 티렉스 미니 일렉볼 + BR322 배터리 1개 증정
★설특가 6,000★ 티렉스 일렉트로볼 점등 점멸
★설특가 18,000부터★ 1+1 플로팅, 세미, 카본 낚시줄 행사 호수선택가능 / 택상 1+1 원줄, 목줄 행사
★3,000★ MAEK 맥 호래기 대바늘 호래기콕 J타입 (카본바디 2입)
★5,000★ 어부공방 NEW 호래전
★4,500★ 야마시타 SB 호래기 대바늘
★3,000★ 하야부사 6단 볼락 전갱이 카드채비 SD724 볼락채비
★1,000★볼락낚시에 최적인 메바트로볼 - 캐스팅볼, 메바볼