![]() |
![]() |
![]() |
![]() |
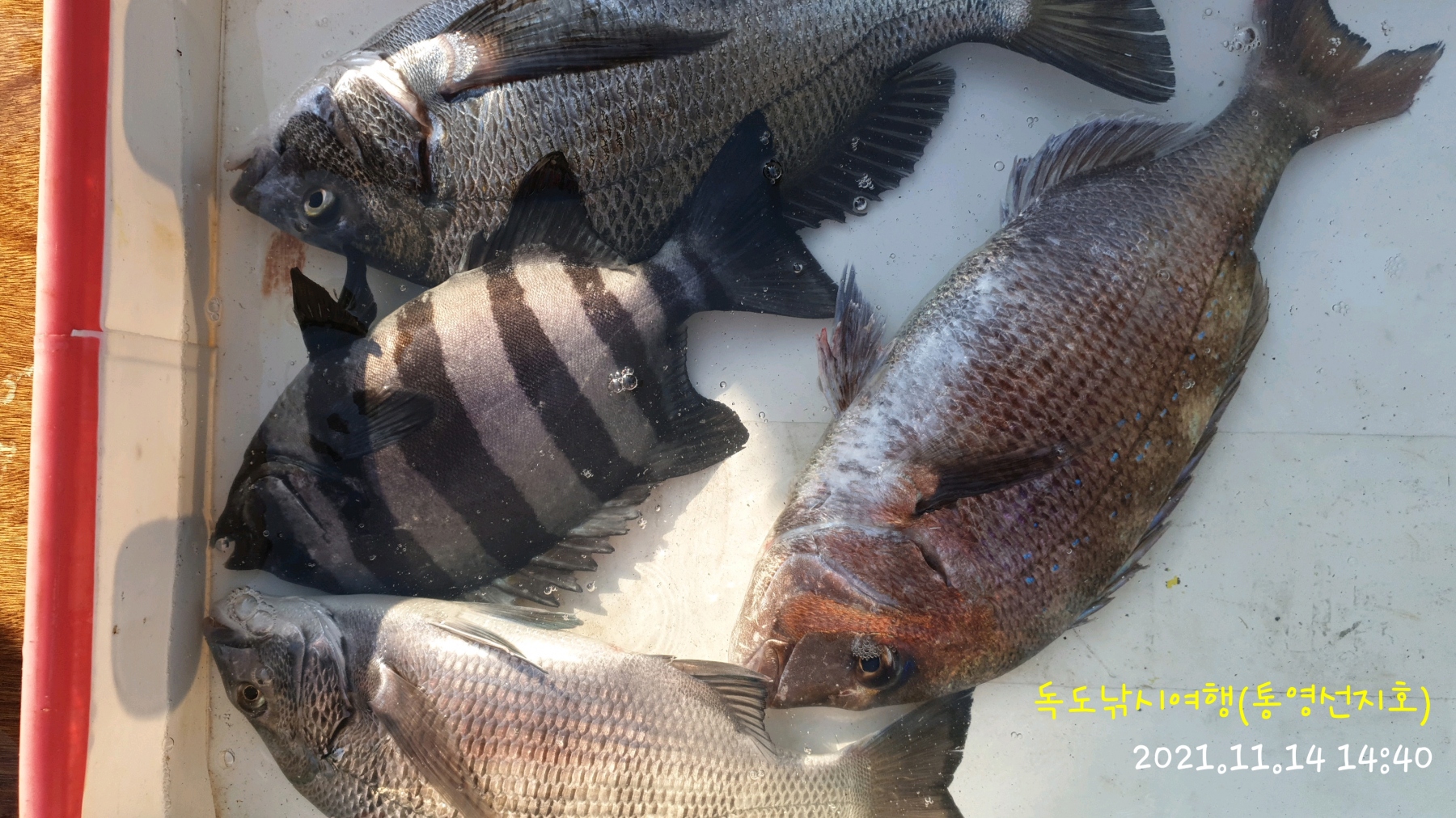
욕지권]5짜감성돔.참돔들 (목09시)▫️휴게실과 선실에
손소독제 비치되어있습니다
손소독은 필수입니다.
▫️ 승선시 손소독과
마스크착용은 필수입니다
꼭 꼭 지켜주세요~
불편하신점 양해부탁드립니다.
5짜 감성돔 입니다~
축하드립니다
바람이 있는 주말이었습니다
그와중에도 5짜 감성돔이
나와주었습니다
그외에도 사이즈별로 나와주었고
여러어종으로 주말조황을
마무리 하였습니다
잡어들이 여전히 극성이라
대체미끼는
꼬옥 챙겨오셔야합니다~
시즌답게 감성돔들이 얼굴을 보여줍니다
잔잔한 사이즈부터 큰것들까지
섞여들어오는 입질에
각 포인트마다 터트림이 많았습니다
터트림이 많은만큼
채비와 목줄관리에 신경쓰시어
낚시하셔야 합니다
이번주간은 방한에도
신경쓰시어 챙겨주세요~
토요일.일요일~쭉~~~~
사량도.나무여.두미도.욕지권으로
감성돔.참돔.뺀찌 등 여러어종을
대상어로 출항합니다
함께하실분 문의주세요
(갈도는 기상확인후 들어갑니다)
빈손철수하시지 않도록
더 부지런히 ~!!
만족하는 그날까지
의지를 불태워보겠습니다~
바다조황은 장담할수없고 알수도없지만
만족스런 좋은조황을 위해
선장은 늘 최선을 다해
최고의 포인트로 모시겠습니다
▪️예약문의는
055.644.1782
010.8509.5407 선장직통
010.2585.1130 복님이
▪️갯바위
▫️출항시간
평일 : 05시~17시전후 철수
주말 :
▫️사량도/나무여/두미도/욕지권/갈도출항
▫️선비
사량도/나무여 40.000원
두미도/욕지권 50.000원
갈 도 60.000원
▫️오시는길 밑밥준비하시어 오세요
▫️오시는길
신) 통영시 도산면 도산일주로2284
구) 통영시 도산면 법송리 6
(고성ic~10분이내//북통영ic~5분이내)
▫️통영시내안들어갑니다~~!!
|
|
|
|














