척포)최선장~덩치 4짜중반외~~참돔,밤뽈은~~
02월 18일(수)
인낚 현재접속자
4,121명 (
165
)
공지사항
인낚도서관
점주선장전용 공지사항
로그인
광고/제휴 문의
운영진에게
인낚ㅣ인터넷바다낚시
0
어종별선상
어종별갯바위
낚시인조황
점주선장조황
출조정보
낚시광장
낚시지식인
낚시교실
중고장터
휴게실
인낚도서관
인낚몰
0
어종별선상
4대돔 조황
먹물 조황
갈치 조황
볼락&전갱이
빅게임 지깅&파핑
외줄&외수질
기타 어종
어종별갯바위
4대돔 조황
먹물 조황
갈치 조황
볼락&전갱이
농어&삼치&방어&부시리
기타 어종
낚시인조황
낚시인 번개조황
낚시인조행기
스탭조행기
우리낚시동호회이야기
전국낚시동호회소개
동호회갤러리
지난 조황자료보기(년도별 조황 자료)
점주선장조황
전국 실시간 조황
선상(배)+좌대 조황
갯바위+방파제 조황
점주선장전용 공지사항
지난 조황자료보기(년도별 조황 자료)
출조정보
낚시인동행출조
점주선장 갯바위 출조
점주선장 선상출조
기상파고정보(기상청)
해상예보
물때표
파고예보(일본)
실시간해양관측예보
스마트조석예보
낚시광장
낚시계뉴스
대회 및 낚시관련 홍보
제품평가단
신상품소개
낚시지식인
Q&A 묻고 답하기
지식인 베스트
조황/포인트 문의
낚시용품 사용기
낚시투표
토론방
新어류도감
낚시교실
낚시기법소개
어종별 낚시교실
입문자교실
중급자교실
낚시용어사전
중고장터
중고장터 이용후기
더치트 사기피해 검색
팝니다
삽니다
교환합시다
무료로 드립니다
부품팝니다
부품삽니다
일반 생활용품 사고 팔기
휴게실
출석부
낚시갤러리
세상사는 이야기(자유게시판)
낚시이야기 마당
먹고사는 이야기
구인구직
칭찬합니다
어째이런일이
습득물 찾기
인낚도서관
인낚 유튜브
인낚 칼럼
블루, 그것이 알고싶다
더블테일의 두 눈으로 보는 세상
입질의추억의 피싱다이어리
나無의 바다 이야기
전문강좌
海巖의 바다낚시 이야기
이성규의 전유동낚시 강좌
조성민의 금요루어클럽
메인
어종별선상
어종별갯바위
낚시인조황
점주선장조황
출조정보
낚시광장
낚시지식인
낚시교실
중고장터
휴게실
인낚도서관
인낚몰
0
점주/선장 >
갯바위 조황
회원가입 ▶ 점주선장 승급신청 ▶ 승급완료 ▶ 조황글 작성
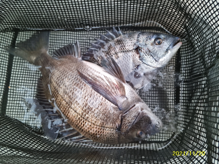
척포)최선장~덩치 4짜중반외~~참돔,밤뽈은~~
척포최선장
0
895
2021.11.20 17:57
● 출항지 : 통영
● 출조인원 : 11~15명
주 소
~통영시 산양읍 척포길 193~7
구주소
~통영시 산양읍 미남리 203~2
척포)최선장
~010~4581~5222
사무실
~055~646~3084
~~~출조하실 조우님들은
신분증 지참은 필수이오니
참고 바랍니다~~~
척포 최선장 조황은~~~
~~내만~준 내만권입니다~~
***
~원도권이 아닙니다~
***
척포 최선장의 주요 출조지~~
내 만
; 혈도~진작지~학림~오곡~
연대~저도~송도 등등~
준내만
; 비진도~용초도~부지도 등등~
~ 출조하실 조우님들은 참고 하시길 ~
~~***
주말에는 정원(???) 관계로
예약은 필수입니다
***~~~
~~~~~~조 황 소 식 ~~~~~~~
2021년 11월 20일~
덩치 4짜 감시외 참돔,뽈~
주말을 맞아 몇분의 조우님들께서
감시~참돔~농어,밤뽈(야영)~출조를~~
초반 시즌에 너무 많이 터지고
벗겨지는게 지난 시즌하고
틀리는게(??) 뭔가 이상합니다~~
대물급들은 다 터지고 벗겨지고
4짜 중반으로 손맛보고 오신 조우님들과
잔넘으로 손맛보신 조우님들은
그래도 괜찮지만 벗겨묵고 터자묵은
조우님들은 많이 아쉬워 하셨는데~~
그래도 손맛은 썬~하게 보고 왔다고
하시네요~ㅋㅋ
야영하신 조우님들도
참돔으로 손맛보고 밤뽈과 농어가신
조우님은 농어는 없고 밤뽈은 있는데
마릿수가 아직은 안된다고~ㅋㅋ
대신 씨알은 좋다고 하시네요~~
내일도 나가 보입시다~~
전갱이~고등어 좋아하시는 조우님은
출조하셔도 좋을듯 하네요~~
씨알 좋은 고등어와 전갱이는
많은 마릿수로 쿨러 조황으로 해
오시것습니다~~
내일도 정상 출조 합니다~~
조황을 안 올려도 날씨만 좋으면
출조는 계속 됩니다~
출조하실 조우님은 전화로
문의 하시구요~~
출조하실 조우님들은
미리 미리 전화 예약 하시고
찾아 주시길~~
~~
척포 최선장호를 찾아 주시는
조우님들은 승선전에 필히
선명을 확인 후 승선 하시길
선명=
"척포 최선장"
입니다
~~
***
~~척포 최선장은
혼자
는
야영 출조를 하지 않습니다~
혼자
는 위험하니
두분이서 오세요~~
**
0
신고
목록
글쓴이
2
1
Lv.9
척포최선장
프리미엄회원
123,269 (84.8%)
척포최선장 입니다 여러분의 출조길을 안전하게 책임지겠습니다
12.30
척포)최선장~감시,참돔~학꽁치는 쿨러로~~
12.29
척포)최선장~감시,참돔~학꽁치,전갱이 쿨러로 ~
12.28
척포)최선장~덩치 4짜(47cm) 감시~학꽁치 소식~~
12.26
척포)최선장~바람속 참돔~학꽁치,전갱,고등어로~~
12.24
척포)최선장~학꽁치,전갱,고등~쿨러로~~
0
댓글
로그인한 회원만 댓글 등록이 가능합니다.
×
Image Upload
로그인한 회원만 등록가능합니다.
제목
이름
날짜
[부산] 가덕도월척낚시 감성돔 조황입니다
출항지 : 부산 / 출조지 :
가덕도월척낚시
626
2021.12.10
가덕도월척낚시
2021.12.10
[부산] 가덕한바다낚시조황
출항지 : 부산 / 출조지 :
한바다낚시
464
2021.12.10
한바다낚시
2021.12.10
[부산] 가덕자유인낚시 감성돔조황입니다.
출항지 : 부산 / 출조지 :
가덕도자유인낚시
681
2021.12.10
가덕도자유인낚시
2021.12.10
[남해] 오늘도 쫙 깔아봅니다!
출항지 : 남해 / 출조지 :
낚시가좋아two
1129
2021.12.10
낚시가좋아two
2021.12.10
[남해] 12/10 미조 대림호 조황입니다 !
출항지 : 남해 / 출조지 :
미조대림호
801
2021.12.10
미조대림호
2021.12.10
[거제] 장승포 대성낚시 12월10일 벵에돔20수이상 외 감성돔소식
출항지 : 거제 / 출조지 :
대성낚시
752
2021.12.10
대성낚시
2021.12.10
[남해] 봄같던 오늘 조황
출항지 : 남해 / 출조지 :
풍성호
690
2021.12.10
풍성호
2021.12.10
[거제] 다대 조황 입니다
출항지 : 거제 / 출조지 :
거제대도낚시
1225
2021.12.10
거제대도낚시
2021.12.10
[거제] 지세포-감성돔,참돔,벵에돔 조과입니다!!
출항지 : 거제 / 출조지 :
거제해림호
744
2021.12.10
거제해림호
2021.12.10
[거제] 해금강낚시인의집 5짜 감시 조황입니다.
출항지 : 거제 / 출조지 :
해금강낚시인의집
877
2021.12.10
해금강낚시인의집
2021.12.10
[부산] 12월 10일 영도낚시슈퍼 조황입니다.
출항지 : 부산 / 출조지 :
영도낚시슈퍼
461
2021.12.10
영도낚시슈퍼
2021.12.10
[거제] 양지암 갯바위 감성돔 소식입니다
출항지 : 거제 / 출조지 :
능포나이스낚시
822
2021.12.10
능포나이스낚시
2021.12.10
[통영] 폴라리스)어제,오늘 갯바위 감성돔 마릿수쫌....내일은 정상
출항지 : 통영 / 출조지 :
폴라리스피싱
573
2021.12.10
폴라리스피싱
2021.12.10
[통영] 백일청용호 감성돔조황
출항지 : 통영 / 출조지 :
통영백일청용호
418
2021.12.10
통영백일청용호
2021.12.10
[여수,광양] 12/10 금오열도 감성돔 조황~~!!
출항지 : 여수,광양 / 출조지 :
여수썬라이즈호
442
2021.12.10
여수썬라이즈호
2021.12.10
초기화
날짜순
조회순
검색
71
72
73
74
75
Search
검색대상
제목
내용
제목+내용
회원아이디
회원아이디(댓글)
글쓴이
글쓴이(댓글)
또는
그리고
검색어
필수
검색
닫기
검색조건
제목
내용
제목+내용
회원아이디
회원아이디(코)
글쓴이
글쓴이(코)
검색어
또는
그리고
검색
인낚몰 초특가
★설특가 190,000★ 파직스 자동팽창식 구명의 PL-181+원줄+장갑
★설특가 99,000★ 디캡스 자동팽창식 구명복+원줄+장갑
★설특가 8,000부터★ ISF 바칸 삼나무 테이블
★설특가 4,000★ FF 블리츠 전자캐스팅볼 점등 점멸 + 구매수량만큼 425배터리 증정 / 4개단위로 구매시 케이스 증정
★설특가 12,000★ 티렉스 미니 일렉볼 + BR322 배터리 1개 증정
★설특가 6,000★ 티렉스 일렉트로볼 점등 점멸
★설특가 18,000부터★ 1+1 플로팅, 세미, 카본 낚시줄 행사 호수선택가능 / 택상 1+1 원줄, 목줄 행사
★3,000★ MAEK 맥 호래기 대바늘 호래기콕 J타입 (카본바디 2입)
★5,000★ 어부공방 NEW 호래전
★4,500★ 야마시타 SB 호래기 대바늘
★3,000★ 하야부사 6단 볼락 전갱이 카드채비 SD724 볼락채비
★1,000★볼락낚시에 최적인 메바트로볼 - 캐스팅볼, 메바볼