녹동갯바위
실전낚시
실전낚시 입니다
**기상만 허락하면 감성돔,참돔,벵에돔,돌돔에 추적은 계속됩니다.
계절낚시를 좋아하는 갯바위 전문점으로서 돌돔,참돔,벵어돔,감성돔들과의 사랑놀이를 즐기려고 노력 하겠습니다~~~ *^^*
*** 신분증 꼬~~옥 지참하셔야 됩니다.
*** 구명조끼도 꼬~옥 착용하시구요~~~(매장에 대여용 준비되어 있습니다)
*** 손소독제 매장과 배에 비치되어있습니다.
***본인과 타인을 위해서도 마스크 꼭 착용해주세요.
*** 갯바위 전용선으로 (9.77t) 출항 합니다***
*** 단체.동호회팀.야영팀~ 쭈욱 달려보렵니다.***
3호: 먼바다권: 삼부도.거문도
중내만권: 부도.섭도.다랑도.병풍도.장도.초도
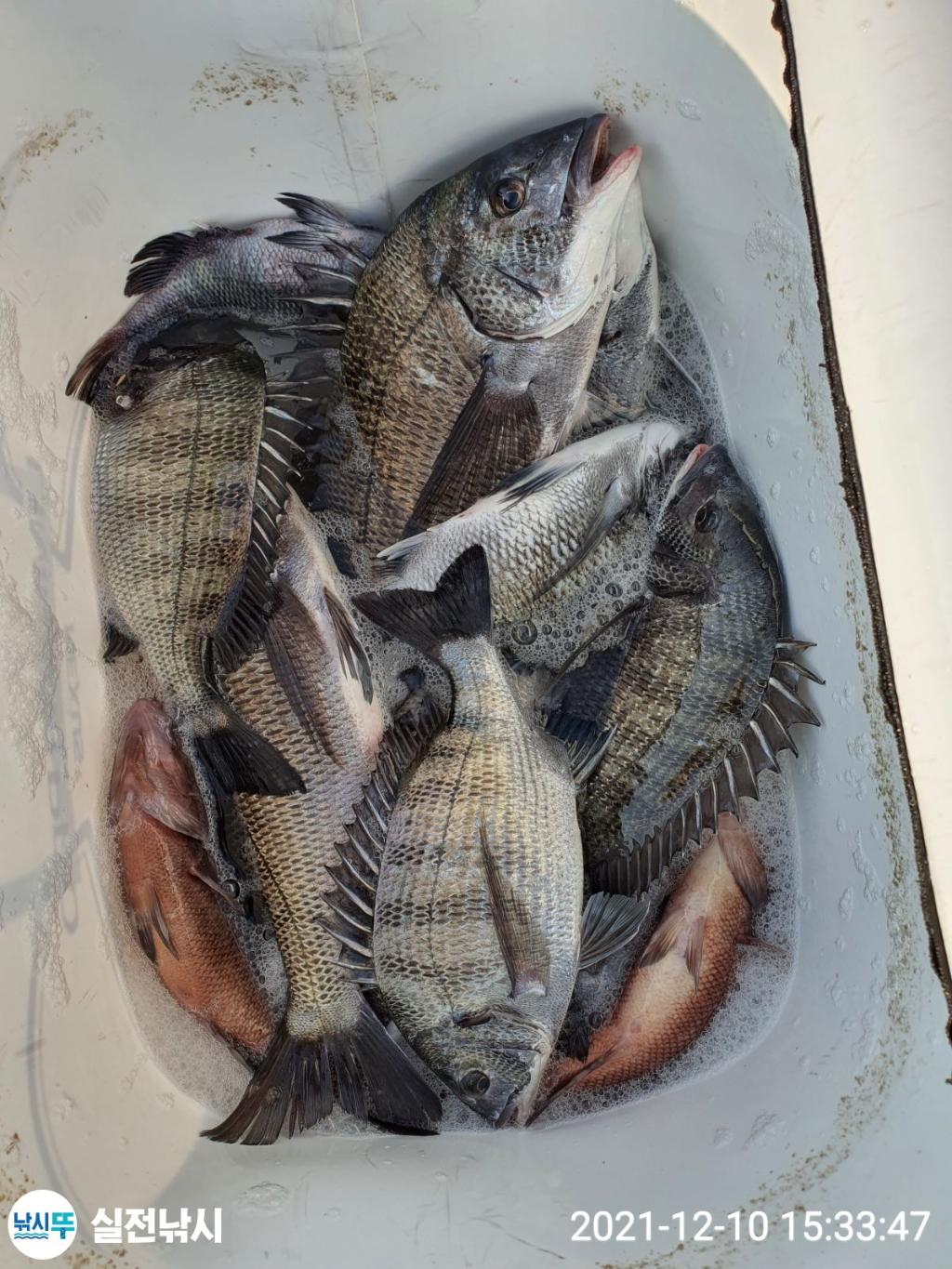
돌돔.참돔.벵에돔.감성돔.
1호: 돌돔.참돔.볼락 감성돔을 대상으로 출항합니다.
부도.섭도.다랑도.병풍도.장도권
초도.장도.삼부도.거문도 20년이상 운전하고 낚시한 선장이
직접 가이드 합니다.
***생활낚시 출항합니다~~^^
1호 : 선상낚시 전용선(9.77톤)
3월~6월- 쏨벵이.붉바리.
7월~12월 문어.갑오징어.쭈꾸미
선단 : 참돔타이라바. 부쉬리.방어 출항 합니다~~^---^
*** 루어 , 애기, 봉돌, 기타채비 준비되어 있습니다. ^---^
↓↓밴드주소↓↓
갯바위낚시
https://band.us/@siljeonfishing
생활낚시
https://band.us/@sgbp
홈페이지 방문 --> Click!!
기상만 허락하면 돌돔 벵에돔 참돔 감성돔에 추적은 계속됩니다.
**포인트 선정에 신중을 기하여 즐거운하루가 될수있도록최선을 다하겠습니다**
조금 여유있게 도착하셔서 따뜻한 커피한잔과 조황 정보와 낚시 이야기를 함께
나누면 더욱 좋겠죠~~*^^********** 미리 예약 해주시면 감사하겠습니다*************미끼류 (크릴 파우더 압맥 청갯지렁이 성게등등~~) 종류별로 준비되어 있습니다
**돌돔미끼는 (보라성게.말똥성게.전복.참갯지렁이,게고동) 꼭 예약부탁드립니다!!!매장 주소(네비게이션): 고흥군 도양읍 봉암리 2788-1 (녹동 썬비치 호텔옆).신 주 소 : 고흥군 도양읍 비봉로 189번지
매장영업시간: 낮 1시부터~~아침 7시까지.~~^^휴대전화 : 0 1 0 - 7 1 1 4 - 1 2 5 5 매장전화 : 0 6 1 - 842 - 3657
배타는곳 : 매장 바로 앞~~^^ 주차하시고 바로 승선 하세요~~~*^^*
주차장 : 엄청 넓구요~~~^^
** 정확한 포인트 설명과 조사님의 입장에서 생각하는 자세로 최선을 다하겠습니다~~*^^**
예약문의
010-7114-1255
농협
김지송 선장
안녕하세요 녹동 실전낚시 입니다 반갑습니다
로그인한 회원만 등록가능합니다.