![]() |
![]() |
![]() |
![]() |






















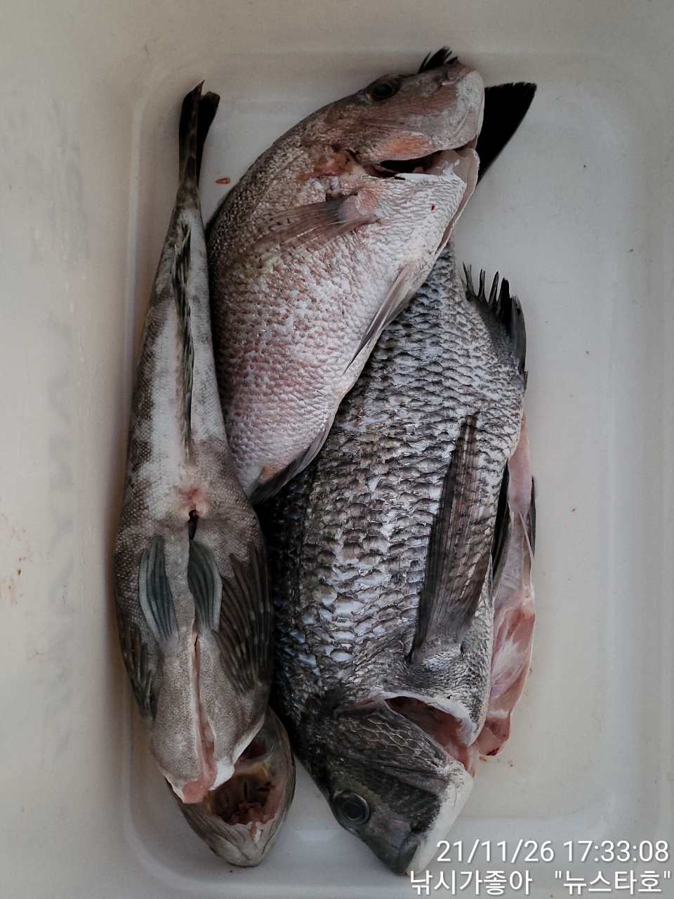
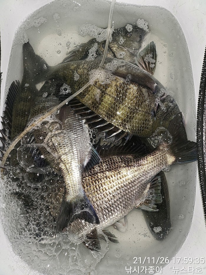
안녕 하십니까 남해 미조에 낚시가좋아(뉴스타호) 인사 드립니다 금일 조황 올려 드립니다 이번주 내내 바람이 탱탱 불어 제껴 주더니만 오늘은 언제 그랬냐는듯이 완전 봄날씨 였네요 그동안 많이 굶었는지 허덕허덕 하네요 오늘은 첫 5짜 감성돔과 판테기 조황까지 마리수와 사이즈 둘다 겸비 하였네요 어지간해선 웬만하면 정말 손맛들 보시고들 오시네요 올핸 정말 감시대박 이네요 오늘 하루도 고생들 많으셨습니다 즐거운 저녁시간들 되시고 오늘 하루도 마무리 잘하시길 바랍니다 감사합니다
*출조시 밑밥및 소품은 준비하여 오셔도 무방하오며 혹여나 준비하시질 못하신 분들을 위하여 최상급 크릴을 준비해 놓도록 하겠습니다 감사합니다*
*출조및 문의사항*
상호:낚시가좋아(뉴스타호)
주소:경남 남해군 미조면 동부대로9
선장님:010-6434-0015
|
|
|
|





