폴라리스)평일 갯바위 감성돔 출조조황입니다
인낚ㅣ인터넷바다낚시
어종별선상
어종별갯바위
낚시인조황
점주선장조황
출조정보
낚시광장
낚시지식인
낚시교실
중고장터
휴게실
인낚도서관
인낚몰
0
홈
어종별선상
어종별갯바위
낚시인조황
점주선장조황
출조정보
낚시광장
낚시지식인
낚시교실
중고장터
휴게실
인낚도서관
인낚몰
어종별선상
어종별갯바위
낚시인조황
점주선장조황
출조정보
낚시광장
낚시지식인
낚시교실
중고장터
휴게실
인낚도서관
인낚몰
어종별선상
어종별 선상조황
4대돔 조황
먹물 조황
갈치 조황
볼락&전갱이
빅게임 지깅&파핑
외줄&외수질
기타 어종
어종별 갯바위조황
4대돔 조황
먹물 조황
갈치 조황
볼락&전갱이
농어&삼치&방어&부시리
기타 어종
어종별갯바위
어종별 선상조황
4대돔 조황
먹물 조황
갈치 조황
볼락&전갱이
빅게임 지깅&파핑
외줄&외수질
기타 어종
어종별 갯바위조황
4대돔 조황
먹물 조황
갈치 조황
볼락&전갱이
농어&삼치&방어&부시리
기타 어종
낚시인조황
낚시인 번개조황
낚시인조행기
스탭조행기
우리낚시동호회이야기
전국낚시동호회소개
동호회갤러리
지난 조황자료보기(년도별 조황 자료)
점주선장조황
전국 실시간 조황
선상(배)+좌대 조황
갯바위+방파제 조황
점주선장전용 공지사항
지난 조황자료보기(년도별 조황 자료)
출조정보
낚시인동행출조
점주선장 갯바위 출조
점주선장 선상출조
기상파고정보(기상청)
해상예보
물때표
파고예보(일본)
실시간해양관측예보
스마트조석예보
낚시광장
낚시계뉴스
대회 및 낚시관련 홍보
제품평가단
신상품소개
낚시지식인
Q&A 묻고 답하기
지식인 베스트
조황/포인트 문의
낚시용품 사용기
낚시투표
토론방
新어류도감
낚시교실
낚시기법소개
어종별 낚시교실
입문자교실
중급자교실
낚시용어사전
중고장터
중고장터 이용후기
더치트 사기피해 검색
팝니다
삽니다
교환합시다
무료로 드립니다
부품팝니다
부품삽니다
일반 생활용품 사고 팔기
휴게실
출석부
낚시갤러리
세상사는 이야기(자유게시판)
낚시이야기 마당
먹고사는 이야기
구인구직
칭찬합니다
어째이런일이
습득물 찾기
인낚도서관
인낚 유튜브
인낚 칼럼
블루, 그것이 알고싶다
더블테일의 두 눈으로 보는 세상
입질의추억의 피싱다이어리
나無의 바다 이야기
전문강좌
海巖의 바다낚시 이야기
이성규의 전유동낚시 강좌
조성민의 금요루어클럽
인낚몰
홈소개
공지사항
자주 묻는 질문
운영진에게
광고/제휴문의
회원 랭킹
46
1
목줄은내꺼
27
2
잡어바글바글
26
3
마루미르
23
4
대부도1
15
5
긴꼬리벵에돔55
15
6
리치망고제주
14
7
앵그리정
13
8
김갈치
12
9
배팡
12
10
쌍칼라
11
11
화니이123
11
12
상석바위
10
13
사냥꾼끝판대장
10
14
오사마리
10
15
최리무진
10
16
거제그놈
10
17
시작하는채비와장비
10
18
삼정그린토아
10
19
벵병
9
20
6짜긴꼬리
9
21
육짜방생
9
22
헤리티지
9
23
페드로
9
24
수려한
9
25
4계절벵에
8
26
모카사랑해
8
27
여조사
8
28
큰아범
8
29
감시밥줄
8
30
군산감생킬러
8
31
퓨나인
7
32
구을비도
7
33
푸푸헐
7
34
닉초이
7
35
포항대박이
7
36
신용대
7
37
검은바다
7
38
도선사
7
39
압맥69봉지
6
40
불꽃버디
6
41
갯바위감성
6
42
cdas
6
43
사하주민
6
44
로그온
6
45
민쓰
6
46
무릅고배이
6
47
아나구릉
6
48
경남미디어
6
49
리시안
6
50
숲공
6
51
볼카짱짱짱
6
52
부시리우스2022
6
53
촌놈남해
6
54
여수태평양전동릴
6
55
아티스트rla
6
56
감성사자
6
57
벵창
6
58
오또다
6
59
취한다
6
60
망상어전문
6
61
히히히히히홀
5
62
타짜감시
5
63
깝뱅
5
64
바다낚시꾼의꿈
5
65
플레져
5
66
한국밑밥연맹
5
67
나무사랑쫑
5
68
한마리왔따이
5
69
sss1185
5
70
갓바우조사
5
71
번영
5
72
지나온추억
5
73
김오키
5
74
2vs0
5
75
Vora
5
76
어디로가지
5
77
Nike1972
5
78
어릴적꿈
5
79
원투꾼89
5
80
love
5
81
심낚창
5
82
보이는게다야
5
83
윈드스토퍼
5
84
새벽물때
5
85
큰달메
4
86
일자손금
4
87
진해숭어
4
88
대박초짜
4
89
창원GT
4
90
심통구리
4
91
시그니처latte
4
92
BB오빠
4
93
부남대여tv
4
94
구레전과
4
95
김열정
4
96
66짱구
4
97
지르미누
4
98
제롬느벤너
4
99
분리수거
4
100
감c스나이퍼
점주/선장 >
갯바위 조황
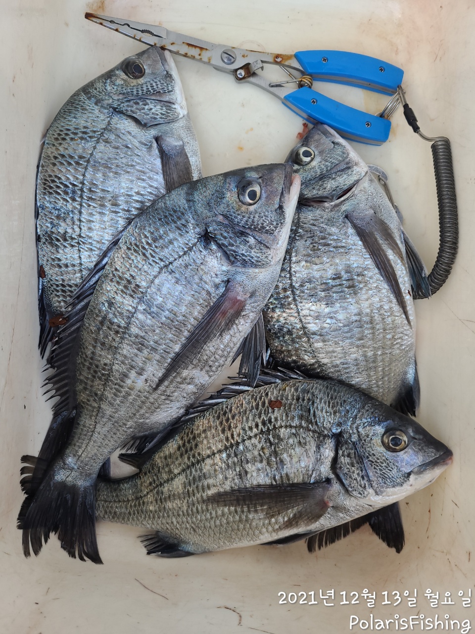
폴라리스)평일 갯바위 감성돔 출조조황입니다
폴라리스피싱
0
455
2021.12.13 15:44
● 출항지 : 통영
● 출조인원 : 6~10명
.
.
.
" 안녕하세요 "
폴라리스피싱입니다
오늘 갯바위출조조황입니다
계속해서 내만부터 준내만권까지 다녀왔습니다
포인트마다 편차도있었구요
오전에는 바람이 고생들좀했습니다
철수때되니 바람이 잔잔해지네요
내일도 가보겠습니다~~~
오늘출조하신 조사님들 수고하셨습니당 꾸벅!!!!
0
신고
목록
글쓴이
2
0
Lv.10
폴라리스피싱
프리미엄회원
144,399 (96.8%)
항상안낚과 어복이충만하시길바라겠습니다^^
12.31
폴라리스)막 철수한 뜨끈뜨끈한 마지막년도 밤볼락조황입니다
12.30
폴라리스)주중 갯바위 감성돔 출조조황입니다
12.30
폴라리스)갯바위 밤볼락 오늘까지 휴항 내일부터다시금
12.28
폴라리스)평일 갯바위 48외 감성돔출조조황입니다~
12.27
폴라리스)평일 갯바위 감성돔 출조조황입니다~
0
댓글
로그인한 회원만 댓글 등록이 가능합니다.
×
Image Upload
로그인한 회원만 등록가능합니다.
제목
이름
날짜
[거제] 다대 조황 입니다
출항지 : 거제 / 출조지 :
거제대도낚시
1649
2021.11.27
거제대도낚시
2021.11.27
[여수,광양] 최저가 금오열도 갯바위 대물감성돔 만나러갑니다..........
출항지 : 여수,광양 / 출조지 :
여수성신낚시
882
2021.11.27
여수성신낚시
2021.11.27
[통영] 척포 동성호) 감성돔 조황입니다!!
출항지 : 통영 / 출조지 :
척포동성피싱
436
2021.11.27
척포동성피싱
2021.11.27
[군산] (야미도바다낚시) 갯바위 조황입니다
출항지 : 군산 / 출조지 :
야미도바다낚시점
395
2021.11.27
야미도바다낚시점
2021.11.27
[여수,광양] 11월 27일 성빈호 출조 다녀왔습니다.
출항지 : 여수,광양 / 출조지 :
여수성빈호
406
2021.11.27
여수성빈호
2021.11.27
[거제] 장승포 대성낚시 11월27일 갯바위조황
출항지 : 거제 / 출조지 :
대성낚시
646
2021.11.27
대성낚시
2021.11.27
[여수,광양] 11/27 주말 마릿수 감성돔 조황~~!!
출항지 : 여수,광양 / 출조지 :
여수썬라이즈호
466
2021.11.27
여수썬라이즈호
2021.11.27
[거제] 장승포 부산낚시에서 벵에돔 조황 전합니다.
출항지 : 거제 / 출조지 :
거제장승포부산낚시
478
2021.11.27
거제장승포부산낚시
2021.11.27
[부산] 가덕자유인낚시 감성돔조황입니다.
출항지 : 부산 / 출조지 :
가덕도자유인낚시
948
2021.11.27
가덕도자유인낚시
2021.11.27
[부산] 가덕한바다낚시조황
출항지 : 부산 / 출조지 :
한바다낚시
512
2021.11.27
한바다낚시
2021.11.27
[남해] 27일 오늘 조황 입니다 !
출항지 : 남해 / 출조지 :
풍성호
727
2021.11.27
풍성호
2021.11.27
[남해] 금일 조황입니다
출항지 : 남해 / 출조지 :
미조대림호
657
2021.11.27
미조대림호
2021.11.27
[부산] 가덕도월척낚시 감성돔 조황입니다
출항지 : 부산 / 출조지 :
가덕도월척낚시
454
2021.11.27
가덕도월척낚시
2021.11.27
[부산] 11월 27일 영도낚시슈퍼 태종대갯바위 조황입니다.
출항지 : 부산 / 출조지 :
영도낚시슈퍼
564
2021.11.27
영도낚시슈퍼
2021.11.27
[거제] 여차낚시연합"감성돔조항"
출항지 : 거제 / 출조지 :
거제여차낚시연합회
1894
2021.11.27
거제여차낚시연합회
2021.11.27
[고성] 욕지군도 대물감성돔 5짜 4짜 입성~ 섬낚시 조황
출항지 : 고성 / 출조지 :
고성섬낚시
1093
2021.11.27
고성섬낚시
2021.11.27
[거제] 지세포 거제바다낚시
출항지 : 거제 / 출조지 :
거제바다낚시
424
2021.11.27
거제바다낚시
2021.11.27
[거제] 양지암 갯바위 감성돔 소식입니다
출항지 : 거제 / 출조지 :
능포나이스낚시
704
2021.11.27
능포나이스낚시
2021.11.27
[부산] 가덕대항낚시[4짜후반/감성돔]조황입니다.
출항지 : 부산 / 출조지 :
가덕도대항낚시선장
628
2021.11.27
가덕도대항낚시선장
2021.11.27
[완도] ***(토) 소안도 조황***
출항지 : 완도 / 출조지 :
달량진낚시
364
2021.11.27
달량진낚시
2021.11.27
[완도] 덕우도,황제도 갯바위 조황 . ^^
출항지 : 완도 / 출조지 :
레져아일랜드
370
2021.11.27
레져아일랜드
2021.11.27
[격포] 11월27일 격포서울낚시 왕등도갯바위 감성돔 조황입니다!
출항지 : 격포 / 출조지 :
격포서울낚시1
381
2021.11.27
격포서울낚시1
2021.11.27
[부산] 호진호!오늘 조황입니다.
출항지 : 부산 / 출조지 :
낫개호진호
391
2021.11.27
낫개호진호
2021.11.27
[거제] 구조라~갯바위 감성돔 손맛이 좋아요~~
출항지 : 거제 / 출조지 :
거제포세이돈낚시
897
2021.11.27
거제포세이돈낚시
2021.11.27
[거제] 지세포-아직도 바다는여름!!벵에돔,참돔 조과입니다!!
출항지 : 거제 / 출조지 :
거제해림호
592
2021.11.27
거제해림호
2021.11.27
[남해] 미조권 5짜 포함 대박조황~~
출항지 : 남해 / 출조지 :
미조낚시천국
939
2021.11.27
미조낚시천국
2021.11.27
[남해] 오늘도 팍팍팍 조황 입니다!
출항지 : 남해 / 출조지 :
낚시가좋아two
633
2021.11.27
낚시가좋아two
2021.11.27
[사천] (유성호)우왕~대박터졌슴다!!4짜 떼감성돔이다!!(내만감성돔조황…
출항지 : 사천 / 출조지 :
피싱유성호
1169
2021.11.27
피싱유성호
2021.11.27
[통영] 폴라리스)주말 갯바위 간략하게좀 올리겠습니다 계속갑니다~
출항지 : 통영 / 출조지 :
폴라리스피싱
492
2021.11.27
폴라리스피싱
2021.11.27
[거제] 해금강 태성호 48/48Cm외 감성돔 소식
출항지 : 거제 / 출조지 :
해금강태성낚시
579
2021.11.27
해금강태성낚시
2021.11.27
초기화
날짜순
조회순
검색
61
62
63
64
65
66
67
68
69
70
Search
검색대상
제목
내용
제목+내용
회원아이디
회원아이디(댓글)
글쓴이
글쓴이(댓글)
또는
그리고
검색어
필수
검색
닫기
검색조건
제목
내용
제목+내용
회원아이디
회원아이디(코)
글쓴이
글쓴이(코)
검색어
또는
그리고
검색
인낚 최신글
17:32
감성돔 카고조황
17:32
거제 ( 어구항 일성호 ) 감성돔 45 40 40 중치급 , 참돔 굿 ~~ 전마선 조황 ~~
17:31
1월출항
17:30
창만호 55.54.53.52 5짜 대물감성돔(월.화 예약가능)
17:30
감성돔 << 흘림 >> 조황입니다~~!! 일요일 2자리@@
17:28
[거제블루]방어/삼치 지깅조황 주의보해제후 대방어 우당탕탕 쏟아지고 6일 예약가능~~
17:28
(몽고호) 감성돔 출조합니다 ~
17:27
(감성돔)해금강권 빵빵한 4짜 꾹꾹이 손맛~신성호(4일 예약)
17:26
안골) 감성돔 흘림 빅사이즈 마릿수 최신 굳조황 - 월욜출조 예약가능
17:26
가덕털보낚시 감성돔 5짜!! 53,52cm외 4짜 마릿수~ 학꽁치 조황!!!
17:24
가마가츠 마스터모델 치누 L-53 판매합니다
17:23
1월23~25일 대마도 예약중~
17:21
왕알쭈꾸미 조항(선비5만)시즌 빅2 EVENT~4일 일욜(출조확정)2자리 예약가능
17:20
유촌 충무호 대물감성돔 철수조황입니다
17:20
*** 1/5~6 (월.화) 추자도 갑니다 ***
17:20
학꽁치 탈참 조황입니다 내일 오전 6시 7시30분 출조합니다
17:20
가덕대항낚시[5짜/감성돔]조황입니다
17:16
욕지권)탱크 5짜4짜들로 마릿수!!
17:15
열기볼락,오늘출항,9명전원만쿨,쭉 예약가능 대포오징어,오늘출항 쭉 예약가능
17:15
와, 혼자서 5수를
17:15
욕지권 5.4.4 감시들 입니다
17:14
(선외기)5짜4짜 대물 감성돔 마릿수 초대박 소식~(4일 예약)
17:12
마산뉴다경호>>4짜4짜4짜 어초여밭 흘림 조황입니다.
17:10
2026.01.01 낫개 은성호 은성피싱 조황
17:10
안경섬으로 바로 갑니다.내일 4자리
17:10
안경섬으로 바로 갑니다.내일 4자리
17:09
감시흘림,4짜,3짜들,굿,,(월,가능)
17:09
시마노 단화 펠트
17:09
내일 복수전 갑니다 내일 기상좋습니다 대물이 사는곳으로 달려봅니다 4분예약중 출조확정 입니다
17:09
내일 복수전 갑니다 내일 기상좋습니다 대물이 사는곳으로 달려봅니다 4분예약중 출조확정 입니다
17:08
미조권 갯바위 5짜 감성돔 입니다^^
17:08
해신피싱호 감성돔 5짜 5짜 4짜 3짜 조황입니다.
17:06
(문어)대빵구리~2.7K 외 원도권 K오버 줄줄이~강민호(5일 예약)
17:05
거제 새바다호 대방어 중방어 대삼치 잡고 왔습니다 월요일 예약됩니다
17:05
4일)참돔 타이라바 출조 잔여 3분 모십니다.
17:02
#거제어구항 수성호#감성돔 도다리 등 금일조황
17:00
해금강 대물 감성돔 51/50Cm와 잔당들
16:57
다래호 박카스 물통급 왕알쭈꾸미 쫙 ~~쫙 달라붙습니다 즐낚하러오세요 월요일부터 자리널널 입니다
16:57
해돋이 열기 쿨러조황 성공~오징어 내일,월~ 예약가능
16:57
다래호 박카스 물통급 왕알쭈꾸미 쫙 ~~쫙 달라붙습니다 즐낚하러오세요 월요일부터 자리널널 입니다
16:55
고성드래곤 어초 감시흘림 마리수 일욜 자리여유
16:53
척포[제일호] 새해~ 대물~덩치 감성돔으로~~~
16:51
척포)최선장~덩치 4짜들과 참돔 5짜로~~
16:49
26년 데미호 첫 대구출조
16:48
내일 대물감성돔 사냥꾼 모집합니다
16:47
낚시광 열기 쿨러 조황~
16:47
글로리호 조황입니다.
16:45
감성돔 흘림 5짜 4짜 퍽퍽마리수
16:43
통영 금정호 대물감성돔 카고 조황! 자리있습니다
16:43
통영 금정호 대물감성돔 카고 조황! 자리있습니다
인낚 최신댓글
15:31
다음주 널널합니다^___^
10:15
다음주 널널합니다^___^
10:01
국내 여건은 이웃나라와 달라서 감성돔이 주력이 될수 밖에 없다고 생각합니다. 고기 크기를 놓고 본다면 그래도…
09:50
우선 포인트에 도착을 하면 배 접안 등으로 소란스럽고 해서 낚시가 잘되지 않는 경향이 있습니다. 서둘러 낚시…
09:39
월요일 예약가능합니다
09:18
아우~~~육짜 감성돔 축하드립니다. 마릿수도 대박이네요. 피아노줄 소리가 꾼의 심장을 요동치게 하는 것 같습…
05:37
어텐더는 구태와 미장 사이에있는 구태보다 더 동조자 컨셉입니다. 어텐더는 동조자 컨셉인데다가 바트에서 힘을 …
03:46
여기는 매년 말이 많네요ㅋ이런 배를 이용하는 사람들도 문제입니다.
02:16
구태는 조작성이 거의 무시되는 극동조자 컨셉입니다. 어텐더3는 구태보다 휨새를 크게 가져가지만 조작성이 앞섭…
01.02
네 조언감사합니다. 새해어복충만하시길^^
01.02
감사합니다. 새해복많이받으세요^^
01.02
야영가능한가요
01.02
@북회귀선 북회귀선님 2026년도도 멋진 기행기 부탁드리며, 항상 건강하세요!^^ 감사합니다.
01.02
@돌격본류대 몇년사이 새해를 바다에서 맞이하였는데, 올해는 날씨가 좋지않아 미리 다녀왔습니다. 본류대님 20…
01.02
감사합니다^^ 새해에도 대물들 하세요
01.02
@폭주기관차 최근 감성돔 낚시에서 작은 방어들이 낚이는 경우가 많아졌습니다. 어떨 때는 낚시가 불가능할 정도…
01.02
엔화가 떨어졌어도 원화역시 무지막지하게 절하되어서 상대적으로 원화대비 엔강입니다
01.02
예약 가능합니다
01.02
싸이즈 좋은 감성돔낚시 글로서 대리만족 하고 갑니다^^
01.02
실감나는 출조길 상황 잘보고갑니다. 추운날씨 건강챙기십시요~^^
01.02
밑밥통 비닐 있습니다. 요고렌시트라고 쯔리겐것이 있는데 비쌉니다. 그래서 통영낚시에서 파는 국산 5장에 2천…
01.02
토ㆍ일요일 감성돔 예약 가능합니다
01.02
오늘 야간 통영권 볼락 붉바리 예약자리 있습니다. 감사합니다.
01.02
4일 주간 감성돔 종일 흘림낚시 예약 가능합니다. 감사합니다
01.02
오늘 야간 볼락루어낚시 주간 돌문어낚시 예약가능합니다. 감사합니다.
01.02
둘 다 써보지 못했지만 가마대 추천 합니다
01.02
저녁5시에 출조확정이고 자리여유이니 느긋하게 전화주세요.
01.02
계속 시마노 쓰셨다면 콜트 한번보세요. 가마랑 시마노랑 다릅니다ㅎㅎ 새로운거 접하시려면 가마 어3 추천드립니…
01.02
어종이 단일어종이네!
01.02
25년 마지막을 멋진 감성돔 2마리로 마무리 하셨네요. 손맛 축하드리고요. 희망찬 26년 되시기를 바랍니다.…
01.02
01.02
01.02
01.01
01.01
01.01
엔화는 떨어져도 일산 조구사들이 가격을 다 올리다보니 효과가 없나봅니다ㅎㅎ 새해복많이받으세요~
01.01
2일새벽 급3자리 가능합니다 새벽 6시출항 5시30분까지 오시면됩니다 040 7404 3202
01.01
영등철이면 한방 노리시는건데 요근래 제가 고민하던 부분이네요 벵에전용대는 널려있으니 감성돔대로 추스려 봅니다…
01.01
Oh짜~~ 어제 놔준 오짜가 한살 더 먹고 나타나셨어요..ㅋ
01.01
우와~ 돼지꽁치닷...
01.01
핸들 캡 + 고무 오링 한개씩 주문하셔야 합니다
01.01
둘중 고민이시라면 어텐더3구요 직구업체에서 말하길 G6가 28년도 출시확정이라고 하네요 그러므로 마스터모델은…
01.01
둘중에는 고민할필요가 있나요?부연설명은 드리지않겠습니다~ 둘중에는 무조건 어텐더3 1.2호 추천합니다
01.01
무쌍님 추운 날씨에 출조하셨네요 대상어 손맛보신거 축하합니다 새해에는 더 어복 충만하시길...
01.01
저는 낚시대 세척후 공기청정기에 올려놓네요 두어시간이면 바짝 말라요
01.01
토ㆍ일요일 감성돔 예약 가능합니다
01.01
내일도 출동~ 예약중 입니다!!!
01.01
낼도 당찬 손맛 보실분 연락주세요 감사합니다
01.01
그것으로 끝이 아닐겁니다 앞으로 지나 온 그 고민 보다 훨씬 수 배는 더 고민하게 될 대목이 바로 장비죠 그…
01.01
먼저 현재 귀하께서는 상당한 조급증이 왕성할 때라는 점 즉 빨리 잡아 보고 픈 그 마음 십분 이해합니다 만,…
온라인 문의 안내
*운영진에게 문의
*광고/제휴 문의
월~금 : 9:00 ~ 18:00
토/일/공휴일 휴무
점심시간 : 12:00 ~ 13:00
인낚몰 초특가
★3,000★ 하야부사 6단 볼락 전갱이 카드채비 SD724 볼락채비
★1,000★볼락낚시에 최적인 메바트로볼 - 캐스팅볼, 메바볼
★13,000~★3NO 일본 오리지날 직수입 극강 멀티 무광 마크사 원줄
★500★ W쿠션 멀티 수중찌 M L - 전유동 반유동 끄심바리 필수품 수중쿠션
★5,900★ 여러개 있으면 아주 좋은 EVA 시스템 백
★ 1+1 플로팅, 세미, 카본 낚시줄 행사 호수선택가능 / 택상 1+1 원줄, 목줄 행사
★6,000★ 예민함의 끝판왕 애니원찌 벵에돔찌 학공치찌
★15,000★ 오동목 구멍찌 5개 + 메쉬 찌케이스 세트
★22만원★ 40W 집어등을 이 가격에!
★5,000★ 전층쿠션 15세트입 S / L 사이즈
★2,000★ 전층쿠션 5세트입 S / L 사이즈
★10,000 미니집어등5개 + 425배터리 1개 + 스토퍼고무 10개