![]() |
![]() |
![]() |
![]() |
미조권 갯바위 조황 정말 좋습니다^^반갑습니다^^
미조낚시천국 입니다~~
오늘은 평일이고, 조금시라, 갯바위가 한산했습니다^^
포인트 선정을 꼼곰히 앉혀드렸네요~~
조황은 만족스러웠습니다^^
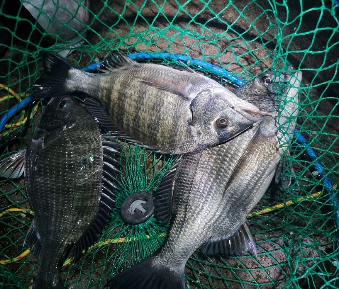
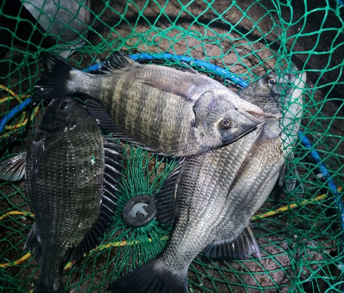
많은 포인트에서, 조과를 올리고, 터트린 포인트에서는 굵은 씨알의 감성돔을 구경할수 있었습니다.
아쉬웠지만, 다음을 기약하며, 철수 하셨습니다^^
요즘 미조권은 정말 핫하다못해 무서울 정도로 굵은 씨알의 감성돔들이 붙어있는것 같습니다.
날씨좋은 날에 손맛 보시러 오시기 바랍니다^^
오늘도 출조해서, 조황을 올려주신 조사님들 감사드리고, 귀가길 안전하게 돌아가시길 바랍니다^^
저희는 항상 최선을 다해 포인트 선정과 가이드를 약속드립니다^^
연락주시고, 예약바랍니다^^
출조시간은 예약하시는 분들에 따라, 달라질수 있으니, 필히 예약하시기 바랍니다^^
혼자오실때는 전날 예약부탁드립니다. 맞춰서 나갈수 있도록 시간을 가지고 미리 예약바랍니다^^
오늘도 출조하신 조사님들 수고하셨습니다.내일도 출조하실 조사님들 전화주시고요^^
항상 최선의 가이드를 약속드립니다
감사합니다^^
■ 미조권 포인트 ■
모도 (띠섬) / 반여 / 율도(밤섬) / 호도(범섬) / 예도(쑥섬) / 사도(뱀섬)
죽암도 / 빗바위 / 미도(쌀섬)/목과도/노루여/가문여 / 고도(외섬)
■ 미조권 선비 ■
1인 2만5천원 ( 2인 출조를 기본으로 하고 있으며, 1인출조시 반드시 예약하셔야 출조가 가능합니다^^)
= ■ 출조시간 ■ =
♣♣ 출조시간 : 주말 - 상황에 따라 언제든지 출조 가능합니다 ^^
: 평일 - 새벽 5시 첫배 입니다.
♣♣ 출조문의 : ☎ (055) 867-3613 ☎ 010-8440-9833
♣♣ 철수시간 : 주말에는 야영철수를 제외하고 1시,3시,5시철수합니다
(기타 상황에따라 유동적으로 철수가 이뤄질수 있습니다.)
♣♣ 전화문의는 저녁 8시전 까지 해주시고, 이후에는 문자나 카톡으로 남겨주시면
감사하겠습니다. (8시 이후에는 무음이라 받지않습니다^^ )
■ 미조낚시천국 : 010-8440-9833 / 055-867-3613
■ 낚시천국호 선장 : 010-8670-3613
미조낚시천국에서는 항상 초심을 잃지않고, 조사님들의 즐거운 낚시여행이 될수있도록
최선의 노력을 다 할 것입니다.
■ 네비주소: 경남 남해군 미조면 미조로 212 미조낚시천국 (미조리아님)
■ 네비구주소 : 경남 남해군 미조면 미조리 168-45번지
♣♣ 출조시간 : 주말 - 상황에 따라 언제든지 출조 가능합니다 ^^
: 평일 - 새벽 5시 첫배 입니다.
♣♣ 출조문의 : ☎ (055) 867-3613 ☎ 010-8440-9833
♣♣ 전화문의는 저녁 8시전 까지 해주시고, 이후에는 문자나 카톡으로 남겨주시면
감사하겠습니다.(8시 이후에는 무음이라 받지않습니다^^ )
|
|
|
|



















