![]() |
![]() |
![]() |
![]() |
▶ 7/30(금) ◀
오전 9시 /오후16시(야영)
밤9시 정상 출항◀
▶7월31토요일 ◀
09시...오후4시(야영)
밤9시...12시
▶8월1일◀
09시당일낚시및(야영)만 가능 합니다
※ 위 출조 시간 외 기상악화 시
출항 시간이 바뀔 수가 있으니
출조 전 반드시
정 선장에게 직접 문의하시기 바랍니다.
전국의 조우님, 안녕하세요?
통영 삼덕항에 위치한 통영 몬스터호 정 상민 선장입니다.
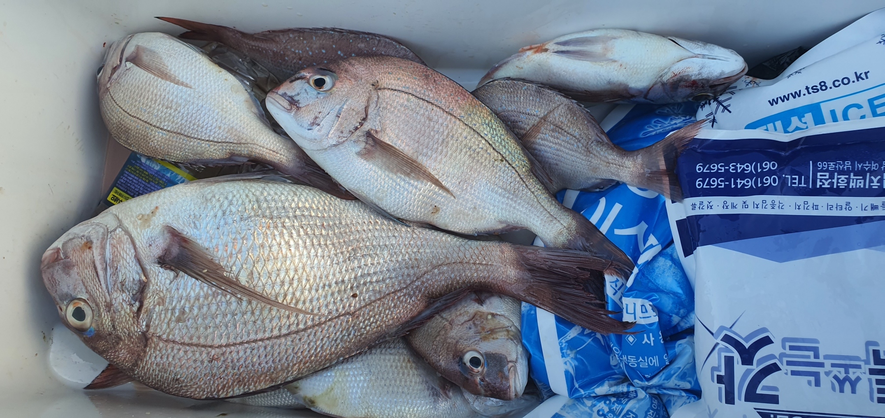
오늘의 국도조황 입니다...
오늘은 어제와 다르게 남서풍이 불었습니다.
남서풍이 불어 무더울쭐 알았지만 공기는 시원하게 느껴 졌습니다.
어제는 고기 한마리도 안보이드만 오늘은 몇 마리 보이네요.
고기 힘겹게 잡아놓고 망테기 줄이 끈껴서 수장 하신분...ㅋㅋㅋ
망생 사이즈가 많아 놓아 주신분...
출조하신분이 너무 없어서 조황이 너무 쑥스럽네요..ㅠㅜ
출조문의는 언제든지 콜~~입니다~^^
국도권으로 집중 출조 하겠사오니
언제든지 출조 문의 주시기 바랍니다.
※ 주의보 상황이 아닌 이상 몬스터호는
매일 매일 국도권으로 출조합니다!!!
몬스터호 정선장과 함께하실 조우님들께서는
아래 전번으로 전화주시면 감사하겠습니다.
몬스터호 정 선장
010.7169.2333
|
|
|
|










