![]() |
![]() |
![]() |
![]() |









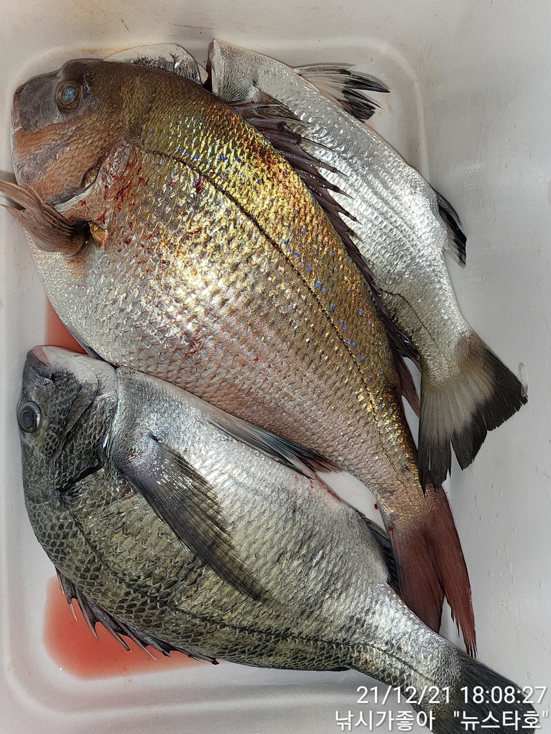
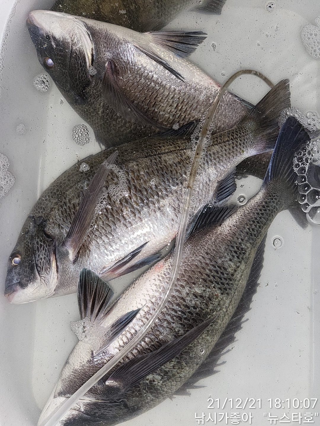
안녕 하십니까 남해 미조에 낚시가좋아(뉴스타호)인사 드립니다 금일 조황 올려 드립니다 금일은 예보는 괜찮다고 되어 있었지만 복병의 바람과 너울이 날씨는 따뜻 하였지만 생각지도 못한 너울과 바람이 불었네요 이리저리 고생들 하시고 그래도 마리수 한곳도 계시고 빈손으로 오신곳도 많았네요 너울과 바람통에 고생들 많으셨습니다 오늘 하루도 마무리 잘하시고 편안한밤 되시길 바랍니다 감사합니다
*출조시 밑밥및 소품은 준비하여 오셔도 무방하오며 혹여나 준비하시질 못하신 분들을 위하여 최상급 크릴을 준비해 놓도록 하겠습니다*
*출조및 문의사항*
상호:낚시가좋아(뉴스타호)
주소:경남 남해군 미조면 동부대로9
선장님:010-6434-0015
|
|
|
|





