회원가입 ▶ 점주선장 승급신청 ▶ 승급완료 ▶ 조황글 작성 |











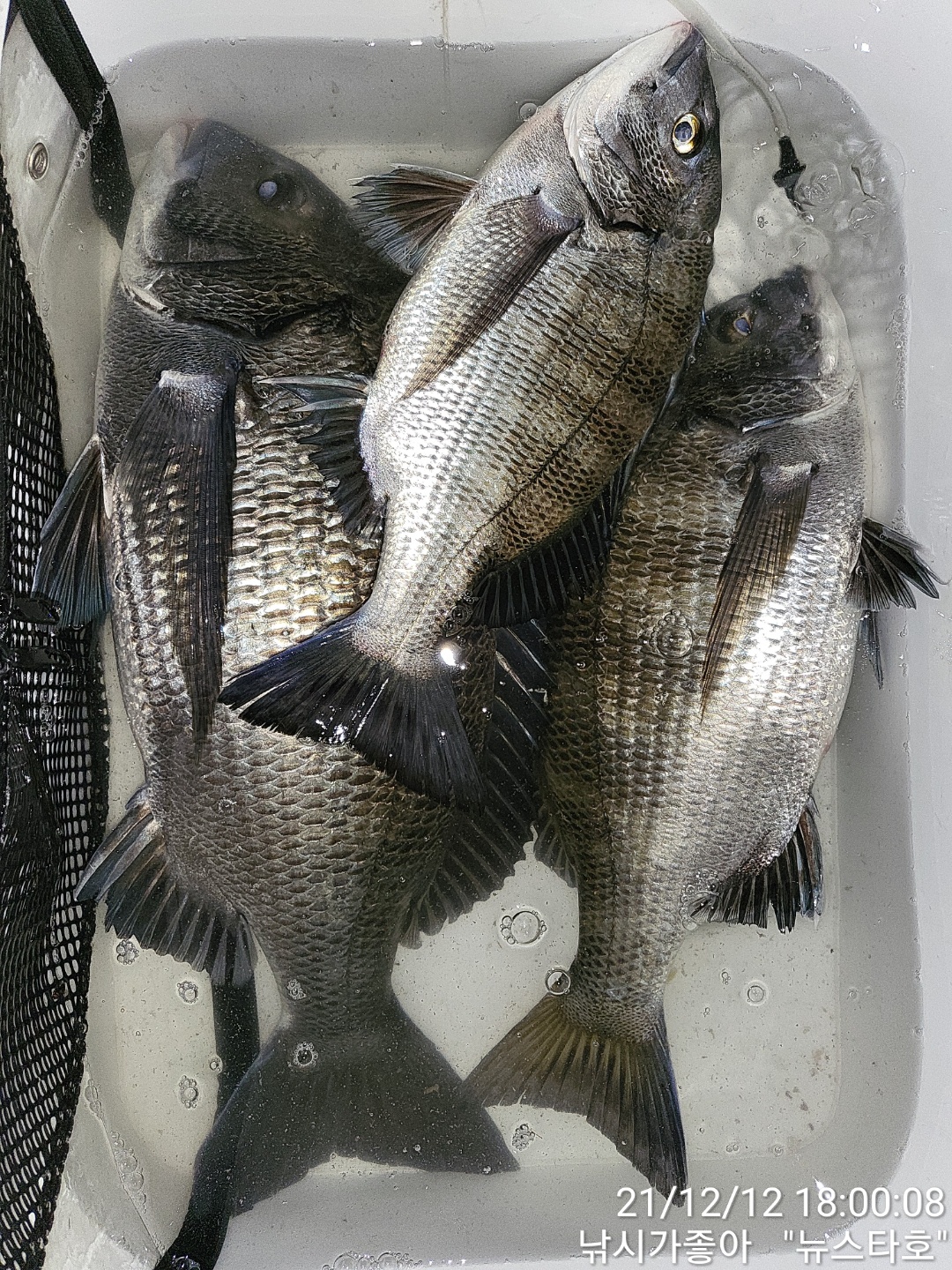
안녕 하십니까! 남해 미조에 낚시가좋아(뉴스타호)인사 드립니다 금일 조황 올려 드립니다 주말을 맞아 바람 예보가 많이 있어서인지 조금은 한산한 주말이었습니다 역시나 점심때쯤 바람이 겁나게 터져 나와 부렀네요 바람을 피해 하선 하다보니 역시나 조과가 많이 떨어지네요 그래도 아쉬운대로 손맛들 보시고들 오셨습니다 오늘 하루도 추운 날씨속에 고생들 많으셨습니다 즐거운 저녁시간들 되시고 오늘 하루도 마무리 잘하시길 바랍니다 감사합니다
*출조시 밑밥및 소품은 준비하여 오셔도 무방하오며 혹여나 준비하시질 못하신 분들을 위하여 최상급 크릴을 준비해 놓도록 하겠습니다 감사합니다*
*출조및 문의사항*
상호:낚시가좋아(뉴스타호)
주소:경남 남해군 미조면 동부대로9
선장님:010-6434-0015