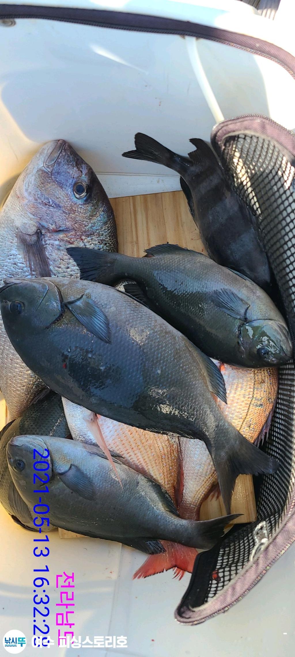
13일 거운도 돌돔 긴꼬리 참돔 조황입니다

회원 랭킹


NaverBand
점주/선장 > 갯바위 조황
b_hot_activegloat_200x80.gif b_hot_nios_200x80.gif b_hot_ggsusan_hongeu_200x80.gif b_hot_innakmall_200x80_211203.gif

13일 거운도 돌돔 긴꼬리 참돔 조황입니다

kd피싱스토리 0 1,013
● 출항지 : 여수,광양
innak_Thoo.jpg낚시뚜에서 인낚으로 보내는 자동조황
top01.png

여수갯바위낚시

여수피싱스토리

top02.png
한가한 평일 느즈막히 출항하여 오후까지
즐낚하고 철수합니다.

오늘밤 정상출항합니다.
· 출조일시2021-05-13(목)
· 출조인원10명
· 어종돌돔,벵에돔,참돔
20181226.174849.891.M0019239L9.jpg
 
F1289801EI.jpg

5짜외~~

F1289800VO.jpgF1289799A5.jpg

4짜 긴꼬리

F1289798R3.jpg

몇방터지셨다니~~

F1289797DB.jpgF1289796TA.jpg

떼깔 좋읍니다~~

김진운의 피/싱/스/토/리

 

갯바위 출항 정보

20191203.111141.787.M0019239L9.jpg

 

네비주소 :여수시 소호1길 38

예약문의

010-4053-0718

신한은행

110-377-031313

김진운

100

여수갯바위낚시

여수피싱스토리

김진운 선장

590
항구명 여수소호선착장
승선인원 20명
출조점명 피싱스토리
배 타는 곳사무실 옆 여수소호선착장

홈페이지 바로가기 Click

낚시뚜


0 댓글
제목
 
 

인낚 최신글


인낚 최신댓글


온라인 문의 안내


월~금 : 9:00 ~ 18:00
토/일/공휴일 휴무
점심시간 : 12:00 ~ 13:00