※ 출조 시 에깅 장비와 갈치 채비 준비해 오시면
참고!!!
내일은 북서쪽에서 찬 공기가 남하하면서
아침 기온이 오늘보다 4~7℃ 낮아져 춥다고 합니다.
갯바위 출조 시 방한에 신경 쓰셔야겠습니다.
안녕하세요?
항상 즐겁고 안전한 출조를 지향하는 호호피싱입니다.^^
먼저 조황을 올리기 전에...
오늘 역사적인 누리호 발사가 있었지요.
순수 우리 기술로 만든 발사체...

멀긴 했지만...삼덕항에서도 목격이 되더군요.
멋집니다. 캬~~
대~~한 민국~~짝짝~짝 짝짝~~
오늘도 보람찬 하루를 마치고 들어 왔습니다. ㅎ

오후 들면서 북.북동풍이 제법 불더니
철수를 끝낸 지금 시간은 다시 햇살이 땃땃하게 비치기 시작합니다.
근래 들어 다소 춥다보니
햇살이 고맙게 느껴집니다. ㅎ

새벽엔 뜬금없이 비가...

가랑비 수준일것 같더니 제법 굵은 비가 내렸네요.
비...
비오면 좋긴 하지만... 낚시하기엔 쫌...

무늬 사냥에 나서신 ㅈㅇ씨의 이른 아침 소식
포인트에 염소들이 떼거리로 있어서
싸이렌으로 좀 쫒아 드렸는데... ㅎ

새벽...준수한 씨알로 3연타~
선상배들만 안 들어오면 갯바위서도 손맛 보실 수 있습니다. ^^
철수 후 확인 결과 총12수 하셨답니다.
ㅈㅇ씨~ 고생하셨어예~~

비때문에 조기 철수하신 ㅎㅈ씨의 갈치 소식
수고 많으셨어요~

녹색집어등을 들고 오시는 바람에... 갈치 선상배들이 새벽3시까지 진을 치는 바람에...
잔씨알들로만 손맛 보셨습니다. @@
차라리 녹등을 끄고 갈치배들 집어등에 비해 상대적으로 어두운
갯바위 주변을 노렸으면 좋았을걸...
하는 슨장의 생각.

그냥 소소하게 구워 드실 정도만 담아 가신 ㄱㄷ씨의 쿨러...
두분 다 차가운 기온과 비까지 내리는 상황에
수고들 많으셨습니더~
담번엔 밝은 백등 들고 오셔서
한쿨러 그득~ 담아가세요~ ^^

오후 야영 출조...
한쪽엔 먹구름이 드리워져 있었고...

욕지권부터 서서히 햇살이 비치기 시작합니다.

다들 북동풍 피해 꼭꼭 숨어 있었기에 별다른 걱정은 없었지만...
다들 좀 잡으셨는지... ^^

한분 한분 안전하게 철수 후 삼덕항으로 내달립니다.
야영팀들도 같이 철수하는 상황이라
짐들이 만만치 않습니다. ^^
앞에서 일일이 짐 정리해주신 ㄴㄷ씨~
감사합니다~

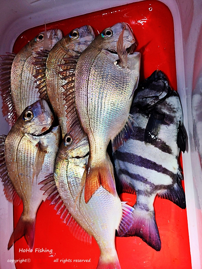
나홀로 출조해서 내일은 가족분들과 동출 하시기로 한 ㄴㄷ씨의 굵은 뺀찌들 조과~
10여수 모두 얼핏봐도 3짜는 되어 보입니다.
철수 때...
" 쫌 잡았어예~ "
" 예~ 마릿수는 십여수 했는데 씨알이 다 좋습니다~ "

어우야~~ 묵직~~합니다. ㅎ

무작위로 아무거나 들어 봐도 다들 묵직~~
씨알 굿~~

가을...가을...하더니 아주 살이 오를대로 올랐습니다.

요런 녀석들 갯바위서 손맛 보시면...
왔다!죠~~ ^^

증확~~하게 34cm 나옵니다.
고생 많으셨습니다~

일단 꽝은 면했다던 ㅎㅇ씨의 소식

자연산 참도미 상사리와 뺀찌로 손맛은 보셨다 합니다.
늘 감사합니다~

부시리 뚜디리 잡고 뽀인트 이동하신 ㅊㄱ씨는...
횟감으로 농어까지 한수 하셨답니다.

늘 동생분 챙겨 주신다고 고생이신 ㅊㅈ씨...
담번에 또 손맛 좀 보입시더~ ^^
수고 많으셨습니다~

옆집 행님 하사품...
어제 저녁...
혼자 조황 올린다고 가게에 있으니...
" 호호야~ 니 밥은 묵고 하나? "
" 아니예? 아직... "
" 아나~ 이기라도 묵고 해라~ "
" 앗싸~ 감사 감사~~ "
" 머선 큰일 한다꼬 밥도 안묵꼬 그라고 있노? "
ㅎㅎㅎ
장어탕. 생김치. 파김치. 찐전갱이...
덕분에 배 터지게 잘 묵었어예~~ ^^
오늘 하루도 모두들 수고 많으셨습니다~
호호 호는 주말까지 위 일정대로 정상 출조 하겠습니다.
호호피싱은 갯바위 출조 시
원투낚시 조사님들의 출조 문의도 환영합니다.
각종 방송매체를 통해 낚시 장르가 계속 소개되면서
낚시 인구의 저변 확대로 이어지고 있는 요즘...
남녀노소 누구나 쉽게 하실 수 있는 원투낚시~
그중에서도 갯바위에서도 원투낚시가 가능하냐는
문의전화를 최근 들어 많이 받았네요. ㅎ
※ 위 이미지는 지니월드님의 tistory에서 퍼온것임을 밝힙니다.
갯바위 원투낚시에 대해 궁금하신 초보 조사님들께
아주 유용한 낚시 정보와 지식을 제공해주고 계시더군요.
원투낚시에 대한 정보가 필요하신 조사님들께서는
호호피싱은 갯바위 출조 시 찌낚시 조사님들과 포인트가 겹치지 않게
원하시는 어종에 맞는 연화도. 초도권의 수심 좋은 포인트로
갯바위 원투 낚시 조사님들을 안내하도록 하겠습니다.
많은 문의 바랍니다.
※ 원투낚시 미끼 구입은 선장에게 전화 주시면
자세히 알려 드리겠습니다.^^
호호피싱은 조사님들께 친절함으로 다가갈 것이며,
앞으로의 조황 소식은 고기가 잘 되든...안 되든...
항상 거짓없는 정확한 정보만을 전달하겠습니다.
지켜봐 주시고 부족한 점 지적해주시면 감사하겠습니다.