회원가입 ▶ 점주선장 승급신청 ▶ 승급완료 ▶ 조황글 작성 |
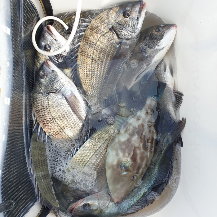
오늘 대모도 감성돔마리수조황 입니다안녕하세요 대모도출조 전문 한라낚시 입니다
오늘대모도 다녀왔네요
감성돔이 많이 나오네요
뻰지도보이고 터트린 포인트도 있었네요
오늘도 함께 해주신분들 감사드립니다
계속해서 금.토.일 대모도 출조 합니다
같이가실분은 미리연락주세요
가을시즌은 기상만 왠만하면 출조 할려고 합니다
조사님들의 일정에 마춰 미리 예약주시면 됩니다
주 출조지는 대모도권.청산도
자세한 사항은 밴드공지란 참조 하시면 출조에도움됩니다자세한조황 사진은 밴드로 확인 바랍니다
완도내만권도 병행 출조 합니다
같이가실분은 미리연락주세요
출조문의 010.3623.6711
토.일은 낚시배 정원관계로 미리예약 바랍니다
밴드검색창에 목포한라낚시 검색하시고 가입하세요
출조.조황 매일매일 확인가능합니다
밴드들어오시면 많은 조황 사진 확인하실수가 있습니다
또는 아래 밴드 링크로 눌러셔도 됩니다
목포한라낚시(완도권대모도출조전문)' 밴드로 초대합니다.
"아래 링크를 눌러 들어오세요.
https://band.us/n/a8a836J3Q2O9j
From 강영진(목포한라낚시)