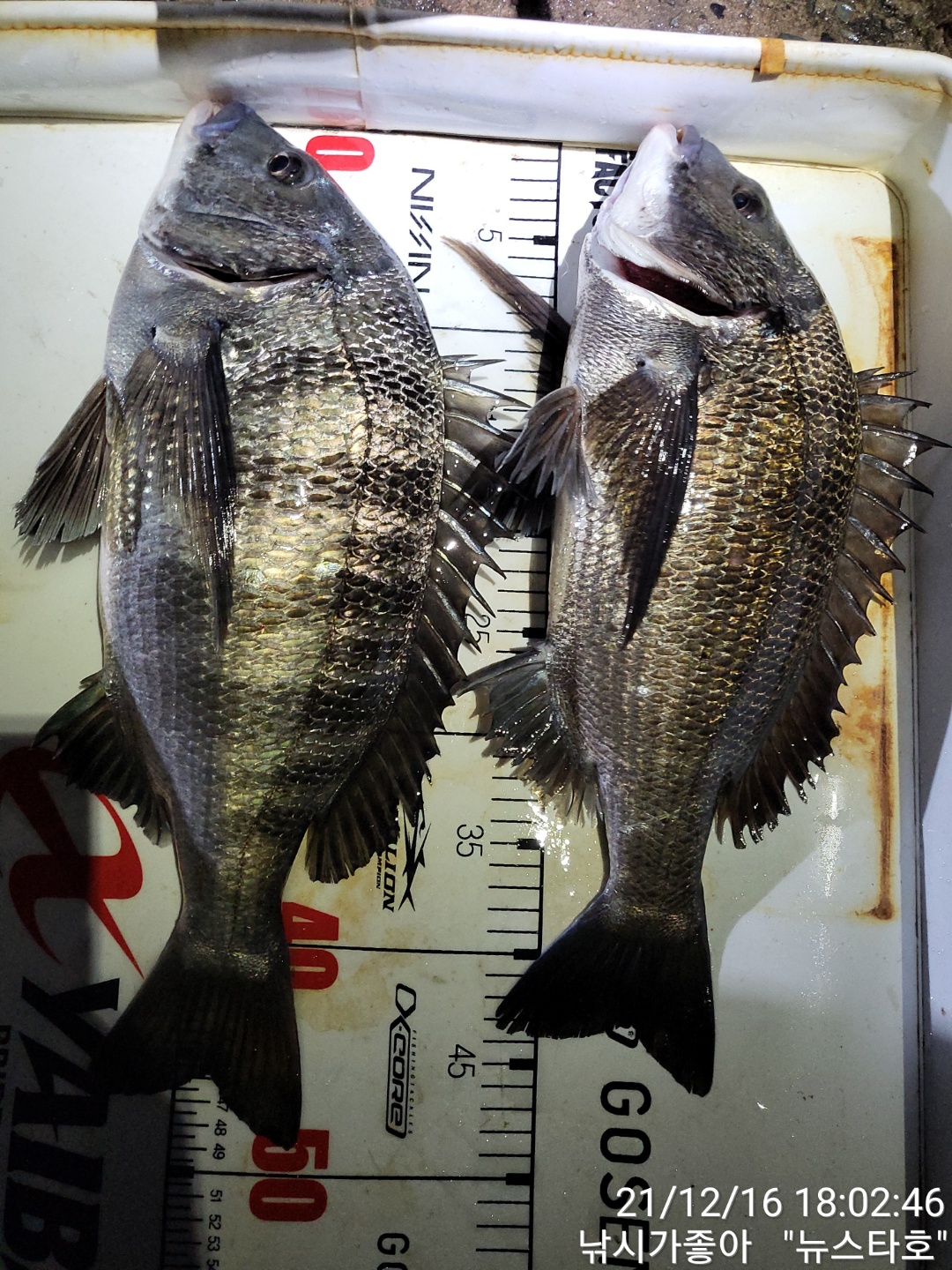
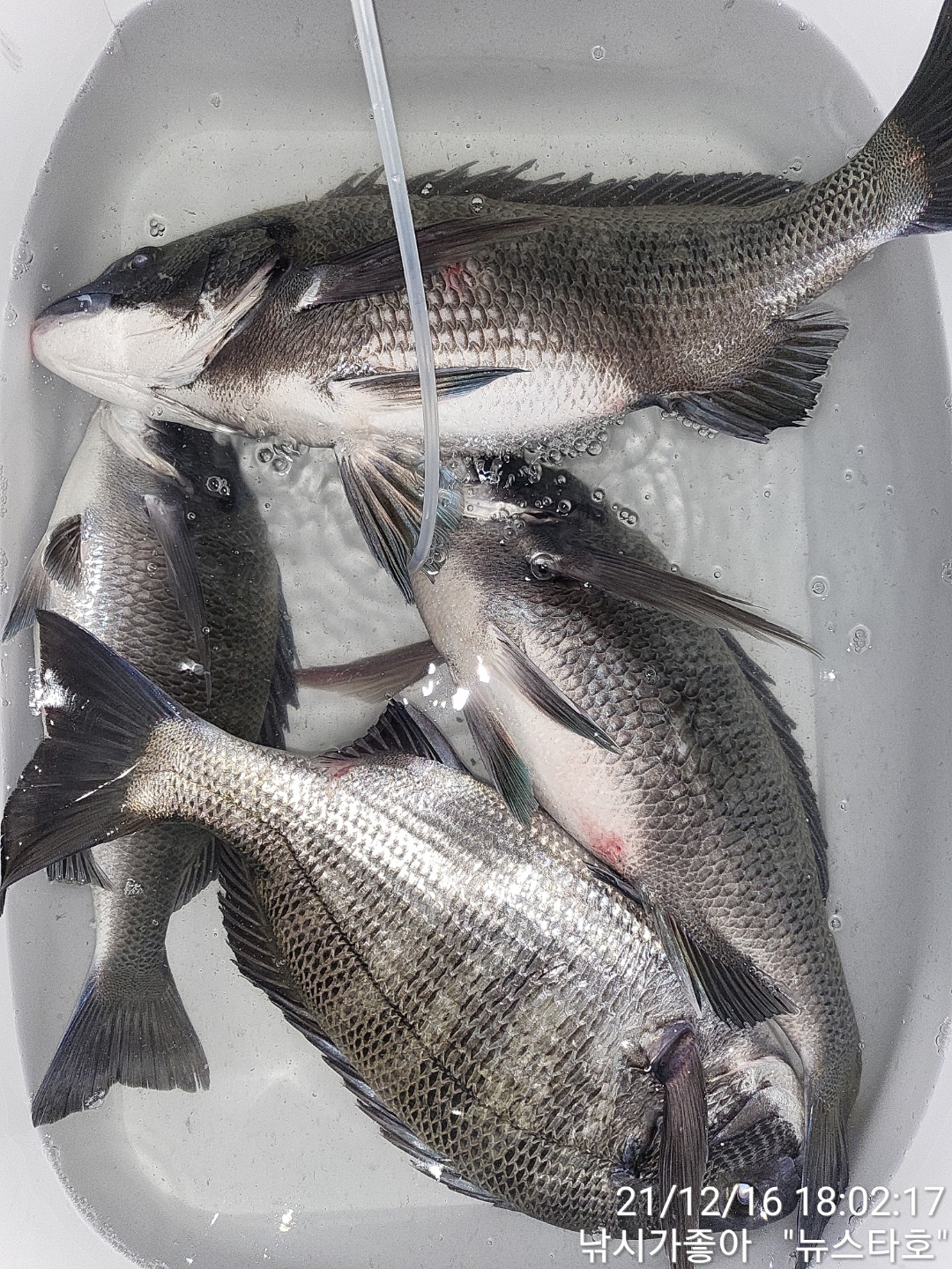
5짜와 마리수 조황 입니다!