회원가입 ▶ 점주선장 승급신청 ▶ 승급완료 ▶ 조황글 작성 |
오늘 출조 다녀온 조황소식 전합니다.
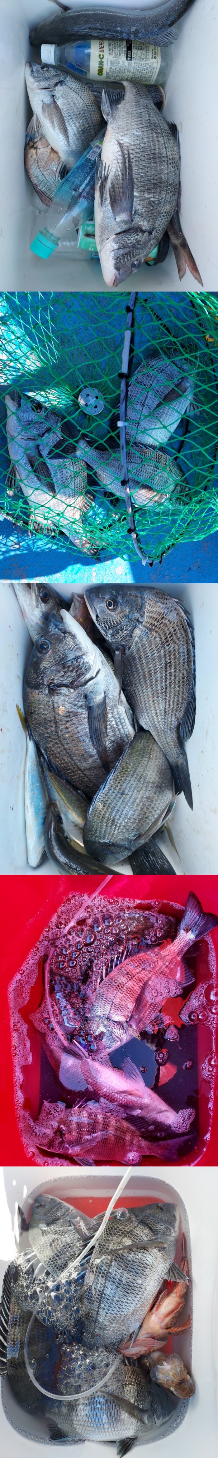
주중에 기상이 좋지 못하여 오늘 첫 출조 다녀왔는데요..
감시들의 조황을 볼수 있었습니니다.
오늘 함께 해 주신 조사님들 고생 많으셨습니다.
내일 토요일도 초도권 출조 갑니다.
함께 하실 조사님들 연락 주십시요.
출조시간은 새벽 4시 입니다.
출조시 마스크 착용 꼭 부탁드립니다.!!
조황 정보나 궁금하신 사항은 전화 주십시요.
조사님들의 물음에 최선을 다하는 포인트호가 되겠습니다.
포인트호 선장 010-2113-7666
고흥풍남 포인트호로 밴드 들어온시면 최근 조황과 자세한 조황 보실수 있습니다.