(주말)초도권 새벽출조 조황!!

회원 랭킹


NaverBand
점주/선장 > 갯바위 조황
b_hot_activegloat_200x80.gif b_hot_nios_200x80.gif b_hot_ggsusan_hongeu_200x80.gif b_hot_innakmall_200x80_211203.gif

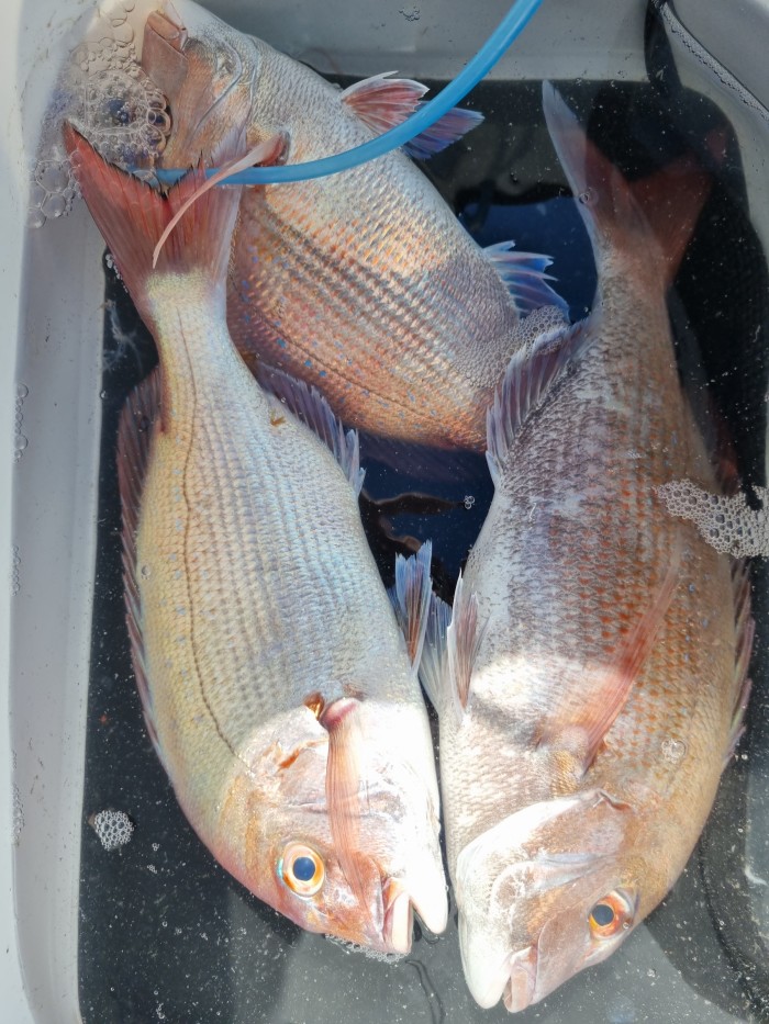
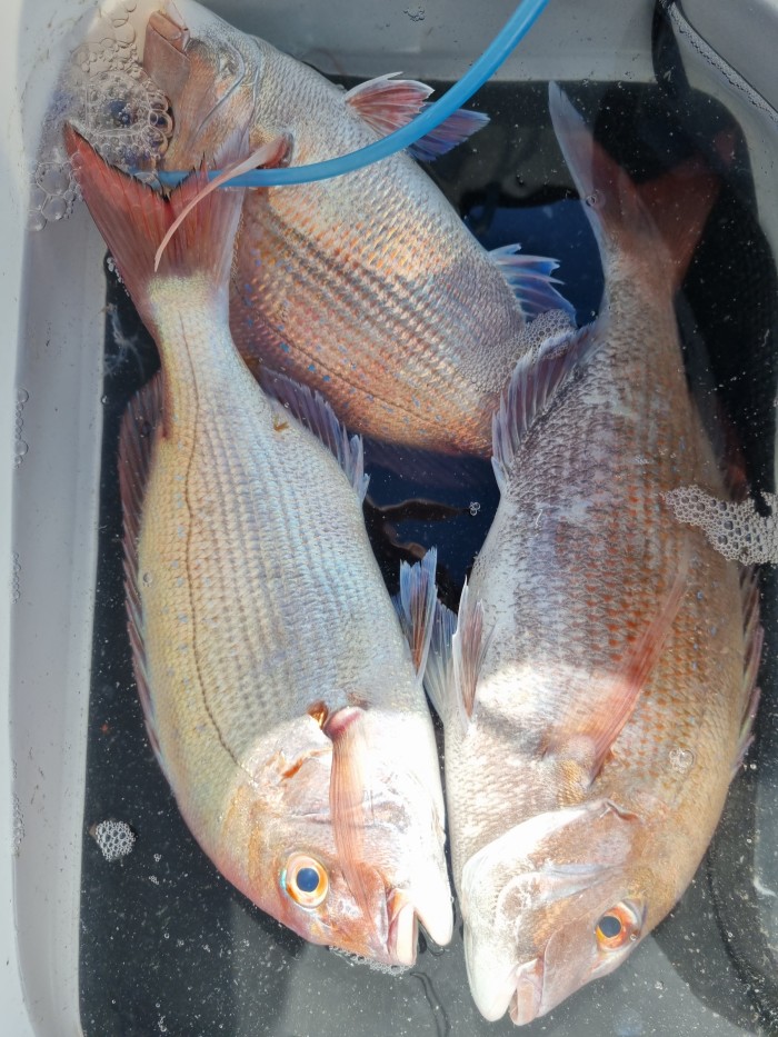
(주말)초도권 새벽출조 조황!!

고흥명성피싱호 0 401
● 출항지 : 고흥,녹동

f3f596bc4b3587fbd33107cfe7b21877_1635728638_1827.jpg

초도권 새벽출조 조황입니다!  바다수온 변화가 

심하네요! 조황이 많이 아쉽네요!

명성피싱호와 함께하여주신 조사님께 감사드리며,

낼도 변함없이 새벽출조 합니다!


출조문의:010-3610-8884

^^명성피싱호 밴드에 가입하시면 많은 정보를 

보실 수 있습니다 ^^ 


f3f596bc4b3587fbd33107cfe7b21877_1635729036_3023.jpg 

f3f596bc4b3587fbd33107cfe7b21877_1635729088_2531.jpg
f3f596bc4b3587fbd33107cfe7b21877_1635729171_1883.jpg
f3f596bc4b3587fbd33107cfe7b21877_1635729202_8716.jpg
f3f596bc4b3587fbd33107cfe7b21877_1635729224_7235.jpg
1248d23b8f50a8939f7d96fc2359bb55_1635729836_6107.jpg
1248d23b8f50a8939f7d96fc2359bb55_1635729868_0977.jpg
1248d23b8f50a8939f7d96fc2359bb55_1635729918_9913.jpg
























 



 

0 댓글
제목
 
 

인낚 최신글


인낚 최신댓글


온라인 문의 안내


월~금 : 9:00 ~ 18:00
토/일/공휴일 휴무
점심시간 : 12:00 ~ 13:00