폴라리스)밤 볼락 있는거 확인만하고 후딱왔습니다 내일도
02월 17일(화)
인낚 현재접속자
18,899명 (
162
)
공지사항
인낚도서관
점주선장전용 공지사항
로그인
광고/제휴 문의
운영진에게
인낚ㅣ인터넷바다낚시
0
어종별선상
어종별갯바위
낚시인조황
점주선장조황
출조정보
낚시광장
낚시지식인
낚시교실
중고장터
휴게실
인낚도서관
인낚몰
0
어종별선상
4대돔 조황
먹물 조황
갈치 조황
볼락&전갱이
빅게임 지깅&파핑
외줄&외수질
기타 어종
어종별갯바위
4대돔 조황
먹물 조황
갈치 조황
볼락&전갱이
농어&삼치&방어&부시리
기타 어종
낚시인조황
낚시인 번개조황
낚시인조행기
스탭조행기
우리낚시동호회이야기
전국낚시동호회소개
동호회갤러리
지난 조황자료보기(년도별 조황 자료)
점주선장조황
전국 실시간 조황
선상(배)+좌대 조황
갯바위+방파제 조황
점주선장전용 공지사항
지난 조황자료보기(년도별 조황 자료)
출조정보
낚시인동행출조
점주선장 갯바위 출조
점주선장 선상출조
기상파고정보(기상청)
해상예보
물때표
파고예보(일본)
실시간해양관측예보
스마트조석예보
낚시광장
낚시계뉴스
대회 및 낚시관련 홍보
제품평가단
신상품소개
낚시지식인
Q&A 묻고 답하기
지식인 베스트
조황/포인트 문의
낚시용품 사용기
낚시투표
토론방
新어류도감
낚시교실
낚시기법소개
어종별 낚시교실
입문자교실
중급자교실
낚시용어사전
중고장터
중고장터 이용후기
더치트 사기피해 검색
팝니다
삽니다
교환합시다
무료로 드립니다
부품팝니다
부품삽니다
일반 생활용품 사고 팔기
휴게실
출석부
낚시갤러리
세상사는 이야기(자유게시판)
낚시이야기 마당
먹고사는 이야기
구인구직
칭찬합니다
어째이런일이
습득물 찾기
인낚도서관
인낚 유튜브
인낚 칼럼
블루, 그것이 알고싶다
더블테일의 두 눈으로 보는 세상
입질의추억의 피싱다이어리
나無의 바다 이야기
전문강좌
海巖의 바다낚시 이야기
이성규의 전유동낚시 강좌
조성민의 금요루어클럽
메인
어종별선상
어종별갯바위
낚시인조황
점주선장조황
출조정보
낚시광장
낚시지식인
낚시교실
중고장터
휴게실
인낚도서관
인낚몰
0
점주/선장 >
갯바위 조황
회원가입 ▶ 점주선장 승급신청 ▶ 승급완료 ▶ 조황글 작성
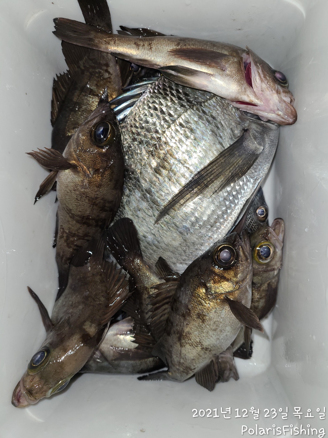
폴라리스)밤 볼락 있는거 확인만하고 후딱왔습니다 내일도
폴라리스피싱
0
444
2021.12.23 23:37
● 출항지 : 통영
● 출조인원 : 1~2명
.
.
.
" 안녕하세요 "
폴라리스피싱입니다
밤 볼락출조조황입니다
조황이나 확인차 실력없는 슨장다녀왔습니다
한 포인트 찾은 결과 볼락얼굴 확인할수있었구요
슨수분들이 내렸으면 더 좋은조황확인이되었을텓데
실력없는 슨장이 내리는바람에 아쉬움이남았네요
내일도 가보겠습니다~~
오늘은 웜,청개비 미끼 둘다에 반응하네요
출조에 참고하세요
#
나름 알베기는 방생하고 얼라 꾸브줄려고 몇수챙겼습니다
알베기포함하면 그래도 25수가까이는했더래요
육안으로 확인되는거는 방생했는데
저기에도 알베기가 있을지는 .....으흠
0
신고
목록
글쓴이
2
0
Lv.10
폴라리스피싱
프리미엄회원
144,399 (96.8%)
항상안낚과 어복이충만하시길바라겠습니다^^
12.31
폴라리스)막 철수한 뜨끈뜨끈한 마지막년도 밤볼락조황입니다
12.30
폴라리스)주중 갯바위 감성돔 출조조황입니다
12.30
폴라리스)갯바위 밤볼락 오늘까지 휴항 내일부터다시금
12.28
폴라리스)평일 갯바위 48외 감성돔출조조황입니다~
12.27
폴라리스)평일 갯바위 감성돔 출조조황입니다~
0
댓글
로그인한 회원만 댓글 등록이 가능합니다.
×
Image Upload
로그인한 회원만 등록가능합니다.
제목
이름
날짜
2
[통영] 욕지/갈도] 감성돔 조황...내일 새벽06시 출항~[오후3시 철…
2
출항지 : 통영 / 출조지 :
통영몬스터호
902
2021.12.28
통영몬스터호
2021.12.28
[해남,진도] 《명인낚시》가거도 만재도 태도 매일출항합니다~
출항지 : 해남,진도 / 출조지 :
명인낚시
403
2021.12.28
명인낚시
2021.12.28
[사천] (유성호) 28일 덩치좋은 4짜내만감성돔조황들(이벤트 진행중)
출항지 : 사천 / 출조지 :
피싱유성호
1116
2021.12.28
피싱유성호
2021.12.28
[완도] 오늘 청산도 조황 입니다
출항지 : 완도 / 출조지 :
목포한라낚시
718
2021.12.28
목포한라낚시
2021.12.28
[거제] 장승포낚시 감성돔 조황입니다
출항지 : 거제 / 출조지 :
장승포낚시갈매기호
870
2021.12.28
장승포낚시갈매기호
2021.12.28
[제주] NO.1피싱샵 12월 28일 추자군도 갯바위 찌낚 조황입니다~~…
출항지 : 제주 / 출조지 :
피싱샵No.1
1066
2021.12.28
피싱샵No.1
2021.12.28
[여수,광양] 12/28 금오열도 감성돔 조황~~!!
출항지 : 여수,광양 / 출조지 :
여수썬라이즈호
584
2021.12.28
여수썬라이즈호
2021.12.28
[통영] 척포)최선장~덩치 4짜(47cm) 감시~학꽁치 소식~~
출항지 : 통영 / 출조지 :
척포최선장
1017
2021.12.28
척포최선장
2021.12.28
[무안,신안] 가거도 상태도 모든 포인트에서 감성돔 낯짝 보여주네요!
출항지 : 무안,신안 / 출조지 :
신신낚시목포점
703
2021.12.28
신신낚시목포점
2021.12.28
[여수,광양] 12월 28일 출조다녀왔습니다. 오전7시 출조합니다.
출항지 : 여수,광양 / 출조지 :
여수성빈호
536
2021.12.28
여수성빈호
2021.12.28
[부산] 고수낚시 고수호 내만 감성돔 조황입니다
출항지 : 부산 / 출조지 :
낫개고수낚시
626
2021.12.28
낫개고수낚시
2021.12.28
[부산] 호진호!4짜후반 감성돔입니다.돼지입니다.
출항지 : 부산 / 출조지 :
낫개호진호
639
2021.12.28
낫개호진호
2021.12.28
[통영] 척포[제일호] 참돔~~마릿수 조황으로~~~
출항지 : 통영 / 출조지 :
척포제일호
962
2021.12.28
척포제일호
2021.12.28
[완도] 명성호 갯바위조황
출항지 : 완도 / 출조지 :
명성호
414
2021.12.28
명성호
2021.12.28
[부산] 만남피싱44외감성돔/학꽁치대박입니다
출항지 : 부산 / 출조지 :
가덕도만남낚시
841
2021.12.28
가덕도만남낚시
2021.12.28
초기화
날짜순
조회순
검색
11
12
13
14
15
Search
검색대상
제목
내용
제목+내용
회원아이디
회원아이디(댓글)
글쓴이
글쓴이(댓글)
또는
그리고
검색어
필수
검색
닫기
검색조건
제목
내용
제목+내용
회원아이디
회원아이디(코)
글쓴이
글쓴이(코)
검색어
또는
그리고
검색
인낚몰 초특가
★설특가 190,000★ 파직스 자동팽창식 구명의 PL-181+원줄+장갑
★설특가 99,000★ 디캡스 자동팽창식 구명복+원줄+장갑
★설특가 8,000부터★ ISF 바칸 삼나무 테이블
★설특가 4,000★ FF 블리츠 전자캐스팅볼 점등 점멸 + 구매수량만큼 425배터리 증정 / 4개단위로 구매시 케이스 증정
★설특가 12,000★ 티렉스 미니 일렉볼 + BR322 배터리 1개 증정
★설특가 6,000★ 티렉스 일렉트로볼 점등 점멸
★설특가 18,000부터★ 1+1 플로팅, 세미, 카본 낚시줄 행사 호수선택가능 / 택상 1+1 원줄, 목줄 행사
★3,000★ MAEK 맥 호래기 대바늘 호래기콕 J타입 (카본바디 2입)
★5,000★ 어부공방 NEW 호래전
★4,500★ 야마시타 SB 호래기 대바늘
★3,000★ 하야부사 6단 볼락 전갱이 카드채비 SD724 볼락채비
★1,000★볼락낚시에 최적인 메바트로볼 - 캐스팅볼, 메바볼