[수빈호] 14시 열기뽈병행출조 벌써...내일자리여유
인낚ㅣ인터넷바다낚시
어종별선상
어종별갯바위
낚시인조황
점주선장조황
출조정보
낚시광장
낚시지식인
낚시교실
중고장터
휴게실
인낚도서관
인낚몰
0
홈
어종별선상
어종별갯바위
낚시인조황
점주선장조황
출조정보
낚시광장
낚시지식인
낚시교실
중고장터
휴게실
인낚도서관
인낚몰
어종별선상
어종별갯바위
낚시인조황
점주선장조황
출조정보
낚시광장
낚시지식인
낚시교실
중고장터
휴게실
인낚도서관
인낚몰
어종별선상
4대돔 조황
먹물 조황
갈치 조황
볼락&전갱이
빅게임 지깅&파핑
외줄&외수질
기타 어종
어종별갯바위
4대돔 조황
먹물 조황
갈치 조황
볼락&전갱이
농어&삼치&방어&부시리
기타 어종
낚시인조황
낚시인 번개조황
낚시인조행기
스탭조행기
우리낚시동호회이야기
전국낚시동호회소개
동호회갤러리
지난 조황자료보기(년도별 조황 자료)
점주선장조황
전국 실시간 조황
선상(배)+좌대 조황
갯바위+방파제 조황
점주선장전용 공지사항
지난 조황자료보기(년도별 조황 자료)
출조정보
낚시인동행출조
점주선장 갯바위 출조
점주선장 선상출조
기상파고정보(기상청)
해상예보
물때표
파고예보(일본)
실시간해양관측예보
스마트조석예보
낚시광장
낚시계뉴스
대회 및 낚시관련 홍보
제품평가단
신상품소개
낚시지식인
Q&A 묻고 답하기
지식인 베스트
조황/포인트 문의
낚시용품 사용기
낚시투표
토론방
新어류도감
낚시교실
낚시기법소개
어종별 낚시교실
입문자교실
중급자교실
낚시용어사전
중고장터
중고장터 이용후기
더치트 사기피해 검색
팝니다
삽니다
교환합시다
무료로 드립니다
부품팝니다
부품삽니다
일반 생활용품 사고 팔기
휴게실
출석부
낚시갤러리
세상사는 이야기(자유게시판)
낚시이야기 마당
먹고사는 이야기
구인구직
칭찬합니다
어째이런일이
습득물 찾기
인낚도서관
인낚 유튜브
인낚 칼럼
블루, 그것이 알고싶다
더블테일의 두 눈으로 보는 세상
입질의추억의 피싱다이어리
나無의 바다 이야기
전문강좌
海巖의 바다낚시 이야기
이성규의 전유동낚시 강좌
조성민의 금요루어클럽
인낚몰
홈소개
공지사항
자주 묻는 질문
운영진에게
광고/제휴문의
로그인
자동로그인
회원가입
|
정보찾기
점주선장조황
전국 실시간 조황
선상(배)+좌대 조황
갯바위+방파제 조황
점주선장전용 공지사항
지난 조황자료보기(년도별 조황 자료)
신상품 소개
긱스 나노에이스
낚시고 미장구레 VIP 대본류 벵에돔 파우더
낚시고 위력 벵에돔 파우더
천류 카모 피싱백
천류 레자 피싱백
zzis 찌스 전자기울찌 호리존탈 전유동전용 출시!
회원 랭킹
29
1
대부도1
27
2
왕초보태공
26
3
오사마리
26
4
울트
15
5
로그온
15
6
시작하는채비와장비
15
7
마루미르
12
8
bk2
12
9
Nike1972
12
10
꿈의사냥5짜
11
11
거제그놈
10
12
방어지코
10
13
상석바위
10
14
블루홀리
10
15
잡어바글바글
9
16
벵병
9
17
즐낚쵝오
9
18
부산그녀석
9
19
대물헌트
9
20
sss1185
9
21
군산감생킬러
9
22
쌩기똥기
9
23
취한다
8
24
퓨나인
8
25
리치망고제주
8
26
타짜감시
8
27
내만벵에
8
28
젠틀낚시
8
29
삼정그린토아
8
30
쌍칼라
8
31
개꽝도사
7
32
모카사랑해
7
33
고기잡으세
7
34
새조개
7
35
벵에저격수ㅋㅋ
7
36
벵에만한다
7
37
4계절벵에
7
38
바다가인
7
39
영종도청이
7
40
육짜방생
7
41
블루피싱호
7
42
감성돔대장
6
43
동해살감시
6
44
감생똥자
6
45
G3매니아
6
46
신용대
6
47
감성전설
6
48
구태2
6
49
하안감생이
6
50
사하주민
6
51
여조사
6
52
방생또방생
6
53
앵그리정
6
54
울산동구27
6
55
감시마을
6
56
배팡
6
57
갓바우조사
6
58
보이는게다야
6
59
미풍
6
60
민쓰
6
61
아빠어부야
6
62
여수태평양전동릴
6
63
말랑파파
6
64
검은바다
5
65
엘리트낚시꾼
5
66
양산서가이드피싱샵
5
67
포포님
5
68
메론좋아
5
69
시간없어이것들아
5
70
목줄은내꺼
5
71
굼낚시왕
5
72
제롬느벤너
5
73
한번만쮸
5
74
나라스카이2.5
5
75
치악산돼지
5
76
바다의귀공자™
5
77
Donf까
5
78
존갈리아노
5
79
최리무진
5
80
김갈치
5
81
번디기
5
82
연산동아톰
5
83
촌놈남해
5
84
긴꼬리망상돔
5
85
HoYaHoYa
5
86
3짜이하방생
5
87
밖미역섬
5
88
심통구리
5
89
대발22
4
90
니코보코
4
91
물멍r
4
92
왕찌
4
93
인벤터
4
94
낚린이ㅡ제주
4
95
놈을찾아
4
96
코리아테츠야
4
97
감시잡아보자궁
4
98
박종훈
4
99
신강수도
4
100
내가가면주의보
공지사항
09.01
★ 2025년 9월 5일 사이트 리뉴얼 오픈 안내
06.09
★ "Connect Error: No such file or directory" 에러가 발생시
05.29
★ 카이퍼넷 방화벽 차단시 설정방법
07.03
★ 사이트 정상운영 ★ 24.07.03
06.19
★ 사이트 정상운영 ★ 24.06.19
06.17
★ 사이트 정상운영 ★
06.14
★ 서비스 일시정지 - 서버이전작업 ★
07.14
★ 112차 제품평가단 위촉 명단 발표
07.07
★ 112차 제품평가단모집 - 1차
11.01
★ 111차 제품평가단 위촉 명단 발표
점주/선장 > 가장 빠른!!
실시간 조황
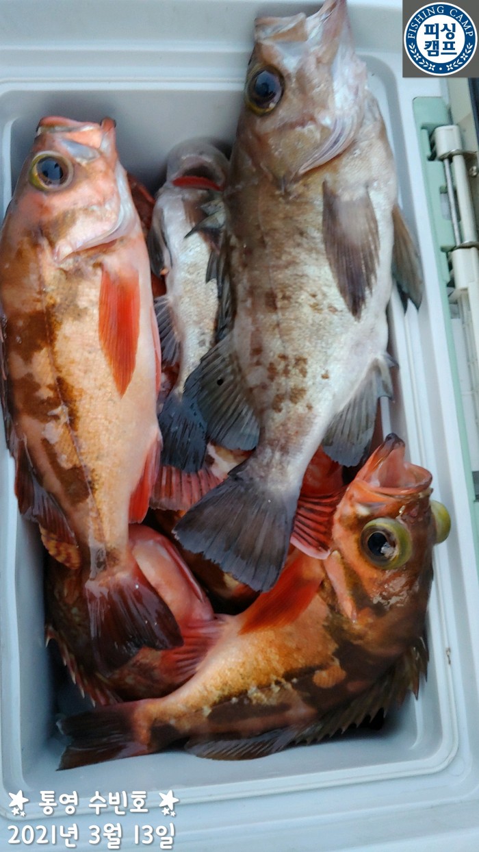
[수빈호] 14시 열기뽈병행출조 벌써...내일자리여유
통영수빈호
통영
0
562
2021.03.13 18:40
네임
카드
통영수빈호
경남 통영시 도산면 수월리 방파제
010-5044-1677
실시간 예약
홈페이지
밴드 바로가기
유튜브/SNS
싸이즈 멋집니다. 한분은 벌써 쿨러 다채워 갑니다.
내일도 14시 출항합니다. 여유자리 많아요.
010 - 8853 - 1677
0
좋은 글이라고 생각되시면 "추천(좋아요)"을 눌러주세요!
게시물 신고
목록
0
댓글
로그인한 회원만 댓글 등록이 가능합니다.
×
Image Upload
로그인한 회원만 등록가능합니다.
목록
번호
포토
제목
이름
날짜
*
3
★필독★ 실시간 조황 이용 규칙 - 2021.07.20 변경
3
인터넷바다낚시
2020.11.05
31398
뉴 태진호 왕오징어 마리수조황!!!( 오후2시출항)!!!
태진호
2
50분전
태진호
06:17
31397
야간(일요일)왕오징어가 꾸준히 올라오네요 월요일도 8만원에 예약…
감포에스코트호
7
4시간전
감포에스코트호
03:34
31396
오징어낚시 조항사진입니다
수궁호영덕군
14
7시간전
수궁호영덕군
00:21
31395
오리온!원도권문어!대물 찾으러 원도권으로 달립니다~내일예약가능
진해오리온피싱
19
01.25
진해오리온피싱
01.25
31394
1월 25일 일요일 풍류호 지깅 조황입니다
부산풍류호
19
01.25
부산풍류호
01.25
31393
신발짝 왕열기 우당탕탕~내일 왕열기+볼락 14시 출항~ 예약가능
진해김해낚시비타민
18
01.25
진해김해낚시비타민
01.25
31392
통영 금정호 대물감성돔 카고 조황! 내일 흘림자리있습니다
유촌금정낚시
36
01.25
유촌금정낚시
01.25
31391
오리온피싱:내일도원도권 달립니다~내일예야가능
진해오리온피싱
13
01.25
진해오리온피싱
01.25
31390
1월 25일 감성돔 조황
퓨리호
23
01.25
퓨리호
01.25
31389
타이라바 실시간 내일 출항확정
통영드레이크호
20
01.25
통영드레이크호
01.25
31388
(실시간)문어 밭 발견~K전후 외 중치급 퍽 퍽 퍽~고고피싱호(…
고고피싱호
26
01.25
고고피싱호
01.25
31387
통영 뉴아트호 1/25(일) 2키로급으로 시작하네요
아트호
12
01.25
아트호
01.25
31386
1/25(일) 원도권돌문어 대물 4.07k포획 성공~ 내일 출항…
통영리차드피싱
17
01.25
통영리차드피싱
01.25
31385
감성돔 실시간 대박 전원 손맛에 밥도 못 먹은 현장 생생 후기
삼천포강백호
32
01.25
삼천포강백호
01.25
31384
실시간 4짜,5짜 피딩~
거제챔프호
25
01.25
거제챔프호
01.25
31383
[진해대박낚시]참돔 타이라바 실시간
진해대박낚시
18
01.25
진해대박낚시
01.25
31382
1
4짜들외 시원시원한 손맛!!! 20일(월) 출동합니다!!!
1
거제최강피싱
29
01.25
거제최강피싱
01.25
31381
감성돔 현재
거제인성낚시
34
01.25
거제인성낚시
01.25
31380
1
《감성돔》4짜외 어초ㆍ여밭에서~
1
거제은아3호
29
01.25
거제은아3호
01.25
31379
1
《감성돔》4짜4짜외 어초에서~
1
거제은아호
29
01.25
거제은아호
01.25
31378
(감성돔)실시간 4짜 4짜급들 소나기 HIT~가고파호(26일 예…
거제가고파
27
01.25
거제가고파
01.25
31377
(감성돔)어초여밭 실시간 소식 4짜 전후 손맛 中 대어1호(26…
거제대어1호
23
01.25
거제대어1호
01.25
31376
(감성돔)연일 5짜 소식~실시간 대물의 습격~신성호(26일 예약…
신성피싱
19
01.25
신성피싱
01.25
31375
(어초여밭)실시간 감성돔 4짜 손맛 中~본격 대물 시즌 젠틀호(…
거제젠틀호
21
01.25
거제젠틀호
01.25
31374
48 46 42 실시간 조황입니다
프로포즈호
25
01.25
프로포즈호
01.25
31373
오늘일요일 대왕오징어 사냥갑니다 놀러오세요
감포에스코트호
21
01.25
감포에스코트호
01.25
31372
"힛트"24일,입항<주간쭈꾸미>&<야간낙지>월요일 예약가능
썬플라워호10톤
36
01.24
썬플라워호10톤
01.24
31371
통영 금정호 대물 감성돔 카고 조황! 내일자리있습니다
유촌금정낚시
34
01.24
유촌금정낚시
01.24
31370
다래호 왕알쭈꾸미 내일도 달립니다 즐낚하러오세요 자리널널 입니다
다래호
19
01.24
다래호
01.24
31369
(실시간)大문어 추적~2.5K1.6K 외 주렁 주렁~고고피싱호(…
고고피싱호
33
01.24
고고피싱호
01.24
초기화
날짜순
조회순
검색
1
2
3
4
5
6
7
8
9
10
Search
검색대상
제목
내용
제목+내용
회원아이디
회원아이디(코)
글쓴이
글쓴이(코)
또는
그리고
검색어
필수
검색
닫기
인낚 최신글
06:50
주말은 외줄 낚시로 즐겼습니다
06:17
뉴 태진호 왕오징어 마리수조황!!!( 오후2시출항)!!!
06:17
뉴 태진호 왕오징어 마리수조황!!!( 오후2시출항)!!!
06:16
[부성피싱1호]먹물폭탄 대왕오징어 사이즈 좋습니다!! 오늘자리여유 계속예약중!!
06:12
포항강성2호 감성돔 볼락 붕장어
06:00
진해뉴스타)곰발바닥급 미친듯이 물어주고~(오늘예약가능
06:00
야간낙지.사이즈 ㅇ사리수 만족
05:49
거진항 해신호 1월25일 어구가자미 조황
05:38
25일 문어 마리수 조황, 원도권으로 계속 출항합니다.
05:30
통영스카이호..."" 신발짝 왕열기 대박"".... 오늘 6자리 여유 예약가능합니다
05:28
"대물감성돔" 5짜와49.48.47.46.46.외 마릿수 대박조황~(예약가능)
05:18
뉴은빛나래호 대왕 오징어 먹물폭탄 먹물파티 조황입니다(번출가능)
05:15
은빛나래호 대왕 오징어 먹물폴탄 조황입니다(오늘 번출가능)
05:07
19파블테크늄3000번 양방향 판매합니다.
05:04
선라인 40주년 로드케이스
05:04
타작!! 계속되는 타작조황
05:02
삼우 빅케치 해선 골드 630 민장대
04:30
욕지,밤볼락 대부분 만족한 조황입니다.
03:34
야간(일요일)왕오징어가 꾸준히 올라오네요 월요일도 8만원에 예약중입니다
03:34
야간(일요일)왕오징어가 꾸준히 올라오네요 월요일도 8만원에 예약중입니다
02:27
[부성피싱7호]미친대왕열기 신발오버사이즈 낚시대 부서집니다...오늘도그곳으로~ 오늘예약가능
00:31
[가격인하] 원투릴에 장착 K-스핀2, TS논드랙 스풀 판매
00:21
오징어낚시 조항사진입니다
01.25
문어) 원도권 묵직한손맛 굿굿!!~ 금.토.일 원도권문어 예약가능
01.25
쭈꾸미 우당탕! 전원 마릿수 채우고 철수!
01.25
25일<주간쭈꾸미>&<야간낙지>월,화 예약가능
01.25
긴로 릴 구함
01.25
야간낙지 왕낙지들 사이즈 최고최고~!!쭉~뽑고~!!(월,화,수 예약중)
01.25
소품
01.25
오리온!원도권문어!최고의 손맛 원도권으로 달립니다~내일예약가능
01.25
시마노 돌돔릴 4000t
01.25
시마노IN-025N/동계낚시내의
01.25
지4 릴시트 클립이랑 지5 밑에 금장
01.25
밤볼락 쿵쾅쾅 실시간 1/25. 뉴대양호
01.25
[부성피싱호]실시간오징어조황!! 오징어계속올라옵니다!! 낼1호오징어/7호열기 자리여유
01.25
유양T볼락 6.3미터(미사용 신품)
01.25
욕지]감성돔조황~낼은 좌사리까지(월05시)
01.25
[외줄]씨알좋은 왕열기.만쿨.반쿨(월.화요일.출항확정)
01.25
완도더킹호 참돔타이라바 조황!! 다음주 자리여유
01.25
[왕오징어] 씨알대박~ 쿨러조황! 내일도 출항합니다! 화수목금토일 예약가능~
01.25
쯔리무사 힙커버
01.25
시마노 비비엑스 바칸..45리터.
01.25
제주스마트호 서귀포권갑오징어조황
01.25
1월 25일 일요일 거진항 어구 가자미 쪼끔 잡앗어요 사이즈 죽음
01.25
[송도광성호] 금일 25일 열기 조황 ~ 내일 열기 출조 자리여유 !!
01.25
시마노모자판매
01.25
노스페이스 검정색 100사이즈(NJ2HR50A) 미사용 신품
01.25
완전종일)탱크51,50외 터지고 난리부르스(05시-17시)
01.25
[부산 유강피싱] 유강호 방어 입질이 살아납니다~~
01.25
이태리) 팬디 남성 크로스백
인낚 최신댓글
06:36
감성돔으로 손맛도 보셨고 또 나눔도 하셨네요. 무척 보람된 출조가 되셨지 싶습니다. 축하드리고요. 수고하셨습…
03:28
수중찌와 막대찌 사이 간격 없에고 딱 붙혀서 채비 하시면 그나마 멀리 날아 갑니다. 남해갯강구 초기버전 막대…
03:21
안온다고 했지 안물린다고는 안했읍니다. 결론~ 물놈은 와서 뭄
01.25
거상 보증서 아직써보질않았네요. 니신 국내 공식수입원이 거상으로알고있습니다. 여럿 사용하다가 현재는 호수별로…
01.25
사진의막대찌 던져서는 안 날라가게 생겼네요.. 물에 담그면 날아 갈겁니다 특색 없는 슬립형 약간의 조류만 있…
01.25
하부중심 원추형 수중찌 이하 동일 막대든 수중이든 무거운것에 하나에 걸어야됩니다....
01.25
내일 급 1자리 예약 가능하십니다 5시30분까지 오시면됩니다 010 7404 3202
01.25
판매글마다 송료에 관해표시해 놓습니다 관세관련해선 무관세다 확정으로 말하지않습니다 복불복인거 같습니다 이런 …
01.25
사금융이 불법이 아니고 법정 이윤 이상으로 이자를 받는게 불법입니다 채권을 가지고 있는 쪽에서 거주지나 금융…
01.25
지극히 정상이고 저렇게 돼야만 합니다. 저렇게 안돼있으면 그게 비정상 입니다. 글로 설명하려다 어려워서 그만…
01.25
델가드 5짜감성돔까지 걸어봤습니다. 많이 휘지만 탄성이 좋은 낚시대 입니다. 개인적으로 1-53치곤 밸런스 …
01.25
모기 방어된다해서 삿지 뚫린다 했으면 안사죠 ㅋㅋ
01.25
결론은 별 효과 없다는 말씀이시죠? ㅎㅎ
01.25
대부분 통관비 포함 가격입니다
01.25
낼 예약가능 합니다
01.25
가마 노플라이존 하고 비슷 하다보고요 작년에 노플라이존 입어봤는데 빨대 뚫고 들어 왔습니다...!!!ㅎㅎㅎㅎ…
01.25
내일도 출동합니다~!!! 널널하게 손맛보러 가실 분 연락주세요^_^
01.25
26일(월) 주간열기낚시 예약가능합니다. 06시까지 오시면 자리추첨후 출조합니다.
01.25
26일(월) 출동!!! 좋은 날 최강과 원줄 흘리러 가실 분 연락주세요^_^
01.25
26일(월) 주간열기낚시 예약가능합니다. 06시까지 오시면 자리추첨후 출조합니다.
01.25
26일(월) 출동!!! 좋은 날 최강과 원줄 흘리러 가실 분 연락주세요^_^
01.25
내일 예약 가능합니다
01.25
내일 예약 가능합니다
01.25
낼 예약가능 합니다
01.25
01.24
구태f50 한번써보고 싶었는데 결국 못 구했네요. 저도안써봤지만 이번 구레f도 아틀도 참 잘나온듯합니다. 후…
01.24
저도 인해스페셜 너무좋아합니다. 클레버헌트 도 궁금하네요. 후기감사합니다^^
01.24
굿우우우웃~
01.24
01.24
2506스풀은 16년식이전 모든스피닝릴 다.호환됩니다. TL들어간약자 18년식부터는 호환안됩니다. 하이텐보조…
01.24
3대 원도권가면 감성돔대 말고 벵에대 드는게 좋습니다 감성돔만 물어주질 않으니깐요 19아틀 1.5호 사용중인…
01.24
보증서만 구하신다면 또 사용가능하십니다.
01.24
원도권을 다니시니 저라면 1.5호로 가겠습니다. 심적으로 안정감도 들테구요
01.24
월요일 이후 쭉 예약가능 합니다
01.24
@한실 ㅋㅋㅋ사진 기가 막힌데요?ㅎㅎ
01.24
뽈락 씨알들이 참 좋으네요~
01.24
설명 감사합니다
01.24
어텐더 2-3배 가격대의 모두들 조타는 낚시대도 있지만 어텐더2만 고집하는 1인 입니다. 제가 조아하는 이유…
01.24
문자 이제 봤네요 출조지 몇칠예정 입니까?
01.24
26일(월) 주간열기낚시 예약가능합니다. 06시까지 오시면 자리추첨후 출조합니다.
01.24
오~
01.24
21 인해스페셜. 중고가 40~60 사이(수리 이력 없을경우입니다)
01.24
^^
01.24
^^
01.24
01.24
01.24
25일(일) 내일 2자리 여유 있습니다^_^
01.24
25일(일) 내일 2자리 여유 있습니다^_^
01.24
그게 아마도 제조사 낚시대 차이 인듯 합니다 저도 한동안 가마대 사용하다 시마노대쓰면 낚시대 성향차이 있어서…
01.24
호야님 말씀그대로 입니다. 명불허전 표현이 딱 이네요. G5 주력대로 사용하다보니 앞쏠림 있긴하지만 둔감한 …
온라인 문의 안내
*운영진에게 문의
*광고/제휴 문의
월~금 : 9:00 ~ 18:00
토/일/공휴일 휴무
점심시간 : 12:00 ~ 13:00
인낚몰 초특가
MAEK 맥 호래기 대바늘 호래기콕 J타입 (카본바디 2입)
어부공방 NEW 호래전
야마시타 SB 호래기 대바늘
★3,000★ 하야부사 6단 볼락 전갱이 카드채비 SD724 볼락채비
★1,000★볼락낚시에 최적인 메바트로볼 - 캐스팅볼, 메바볼
★13,000~★3NO 일본 오리지날 직수입 극강 멀티 무광 마크사 원줄
★500★ W쿠션 멀티 수중찌 M L - 전유동 반유동 끄심바리 필수품 수중쿠션
★5,900★ 여러개 있으면 아주 좋은 EVA 시스템 백
★ 1+1 플로팅, 세미, 카본 낚시줄 행사 호수선택가능 / 택상 1+1 원줄, 목줄 행사
★6,000★ 예민함의 끝판왕 애니원찌 벵에돔찌 학공치찌
★15,000★ 오동목 구멍찌 5개 + 메쉬 찌케이스 세트
★22만원★ 40W 집어등을 이 가격에!