(실시간)2방 팅 4짜급 감성돔 소나기 HIT 진행 中~대어낚시(27일 예약)

신상품 소개


회원 랭킹


공지사항


NaverBand
점주/선장 > 가장 빠른!!  실시간 조황

(실시간)2방 팅 4짜급 감성돔 소나기 HIT 진행 中~대어낚시(27일 예약)

거제대어1호 0 43 10일전
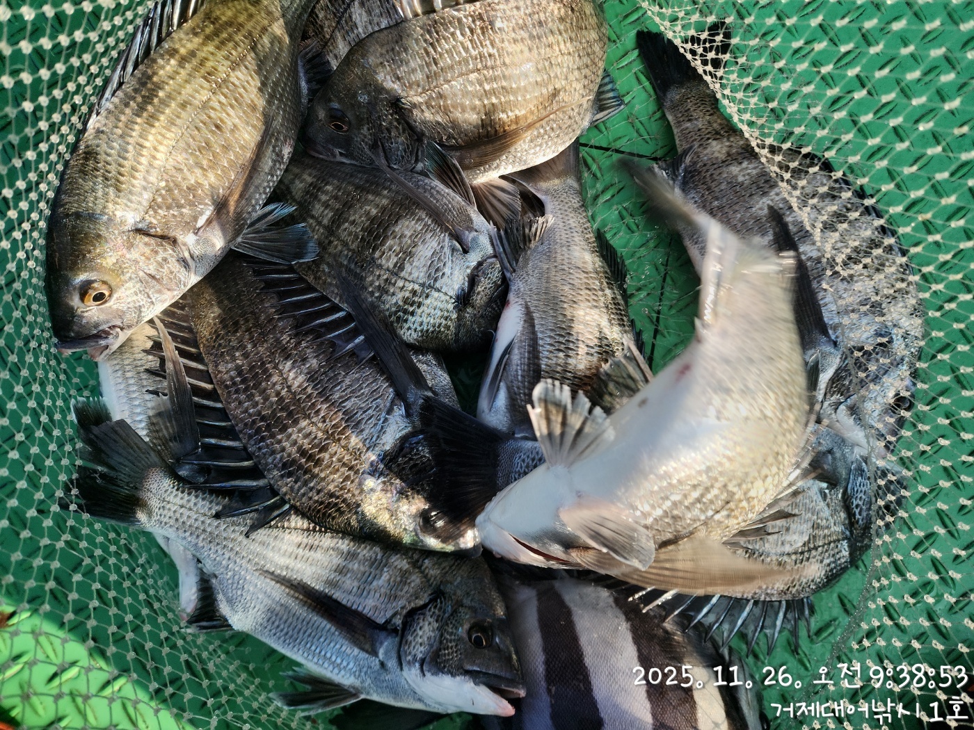
거제대어1호 어초, 여밭 감성돔 흘림 조황입니다.
좋은 물때 구간 어초여밭권 새벽부터 따박 따박 전해지는 입질에
포인트에는 긴장감이 가득합니다. 예고 없이 찾아온 막강한 대물의
입질에 팅 팅 2방 터트리고 빠지는 녀석들도 제법 많지만 4짜급의
감성돔들로 마릿수 손맛 찐하게 즐기고 있습니다.
제법 많은 개체수가 먹이 활동을 하고 있는 듯 하니 남은 시간
집중해보겠습니다. 내일 예약 가능합니다~

쭉~좋은 물때 구간으로 진입 승율은 더욱더 상승하는 곡선입니다.
27일(목요일) 감성돔낚시와 선외기 대여 예약 가능합니다.

▣ 거제대어낚시 감성돔/돌문어/선외기대여 일정 안내 ▣
※ 낚시 힐링은 "거제대어낚시"에서 낚시배+숙박까지 한방에 해결~
☆27일(목) 어초여밭 감성돔낚시 선외기대여 "예약가능"
☆28일(금) 어초여밭 감성돔낚시 선외기대여 "예약가능"
☆29일(토) 어초여밭 감성돔낚시 선외기대여 "예약가능"
☆30일(일) 어초여밭 감성돔낚시 선외기대여 "예약가능"

거제대어낚시 선상낚시 예약(독채 민박 운영)
문의 ☎ 010-6400-2082 / ☎ 010-454-3937
ㅁ선외기 예약: ☎ 010-6400-2082
■ 밴드: https://band.us/@geojdaeeofishing
0

좋은 글이라고 생각되시면 "추천(좋아요)"을 눌러주세요!


, , , , , , , , , , , , , , , , , , , , , , , , , , , , , , , , , , , , , , , , , ,

  • 페이스북으로 보내기
  • 트위터로 보내기
  • 구글플러스로 보내기
  • 카카오스토리로 보내기
  • 네이버밴드로 보내기
  • 네이버로 보내기
  • 텀블러로 보내기
  • 핀터레스트로 보내기
0 댓글
 
b_hot_innakmall_200x80_240307.jpg b_hot_nios_200x80.gif b_hot_ggsusan_hongeu_160x100.gif b_hot_innakmall_200x80_211203.gif
포토 제목
 

인낚 최신글


인낚 최신댓글


온라인 문의 안내


월~금 : 9:00 ~ 18:00
토/일/공휴일 휴무
점심시간 : 12:00 ~ 13:00