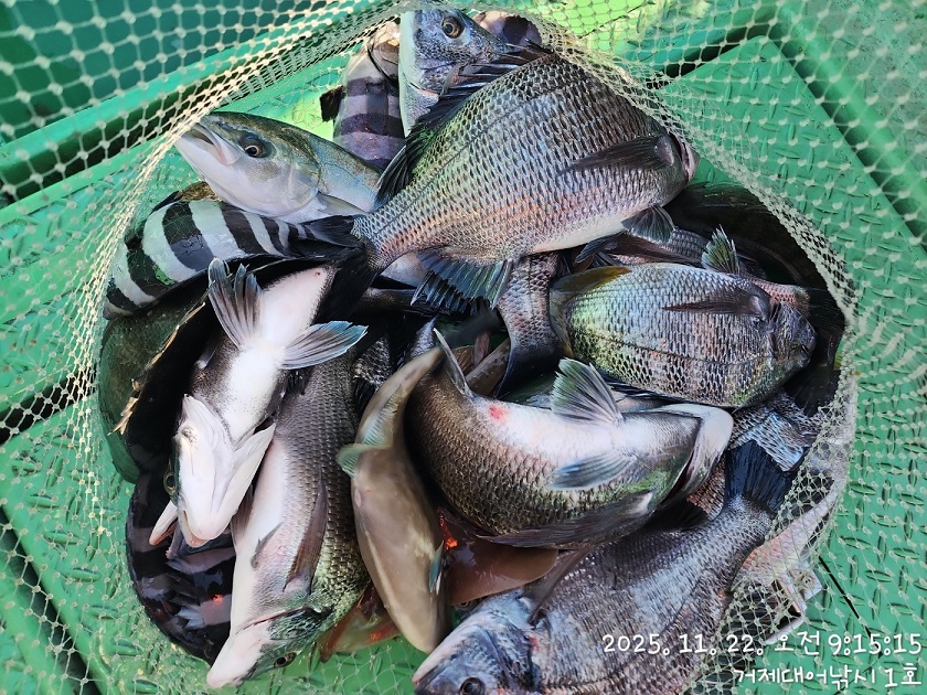
감성돔(대박 실시간)4짜4짜4짜4짜4짜4짜 깔렸네~대어1호(23일 예약)

신상품 소개


회원 랭킹


공지사항


NaverBand
점주/선장 > 가장 빠른!!  실시간 조황

감성돔(대박 실시간)4짜4짜4짜4짜4짜4짜 깔렸네~대어1호(23일 예약)

거제대어1호 1 70 2025.11.22 09:59
거제대어낚시1호 어초,여밭 감성돔 흘림낚시 조황입니다.
퍽~퍽 4짜,4짜,4짜,4짜,4짜급들외 쏟아집니다. 엄청난 활성도에 본격적인
감성돔시즌이라 대물들이 많이 진입한 것 같습니다. 터지고~ 빠지고~
다시 덤비는 녀석들과의 짜릿한 손맛, 남은시간 즐겨 보겠습니다.
내일 예약가능합니다.

거제대어낚시2호 어초, 여밭 감성돔 흘림 조황입니다.
감당이 안되는 대물들 3방 터트리고, 4짜,4짜,4짜,4짜급들 마리수로 찐한
손맛중입니다.오늘은 씨알부터 마리수까지 만족~ 대물들이 들어 왔습니다.
선수들 장비 챙겨서 오셔도 되겠습니다.남은시간 집중해 보겠습니다.
내일 예약가능합니다.

※ 낚시 힐링은 "거제대어낚시"에서 낚시배+숙박까지 한방에 해결~
☆23일(일) 어초여밭 감성돔낚시 선외기대여 "예약가능"
☆24일(월) 어초여밭 감성돔낚시 선외기대여 "예약가능"
☆25일(화) 어초여밭 감성돔낚시 선외기대여 "예약가능"
☆26일(수) 어초여밭 감성돔낚시 선외기대여 "예약가능"

거제대어낚시 선상낚시 예약(독채 민박 운영)
문의 ☎ 010-6400-2082 / ☎ 010-454-3937
ㅁ선외기 예약: ☎ 010-6400-2082
■ 밴드:  https://band.us/@geojdaeeofishing
0

좋은 글이라고 생각되시면 "추천(좋아요)"을 눌러주세요!


, , , , , , , , , , , , , , , , , , , , , , , , , , , , , , , , , , , , , , , , , ,

  • 페이스북으로 보내기
  • 트위터로 보내기
  • 구글플러스로 보내기
  • 카카오스토리로 보내기
  • 네이버밴드로 보내기
  • 네이버로 보내기
  • 텀블러로 보내기
  • 핀터레스트로 보내기
1 댓글
거제대어1호 25-11-22 09:59 0  
23일 감성돔낚시 선외기대여 예약 가능합니다. 감사합니다
 
b_hot_innakmall_200x80_240307.jpg b_hot_nios_200x80.gif b_hot_ggsusan_hongeu_160x100.gif b_hot_innakmall_200x80_211203.gif
포토 제목
 

인낚 최신글


인낚 최신댓글


온라인 문의 안내


월~금 : 9:00 ~ 18:00
토/일/공휴일 휴무
점심시간 : 12:00 ~ 13:00