(실시간)감성돔 4짜군단~굵은놈들 퍽퍽퍽~거제대어낚시(17일 예약)

신상품 소개


회원 랭킹


공지사항


NaverBand
점주/선장 > 가장 빠른!!  실시간 조황

(실시간)감성돔 4짜군단~굵은놈들 퍽퍽퍽~거제대어낚시(17일 예약)

거제대어1호 0 98 2025.11.16 10:45
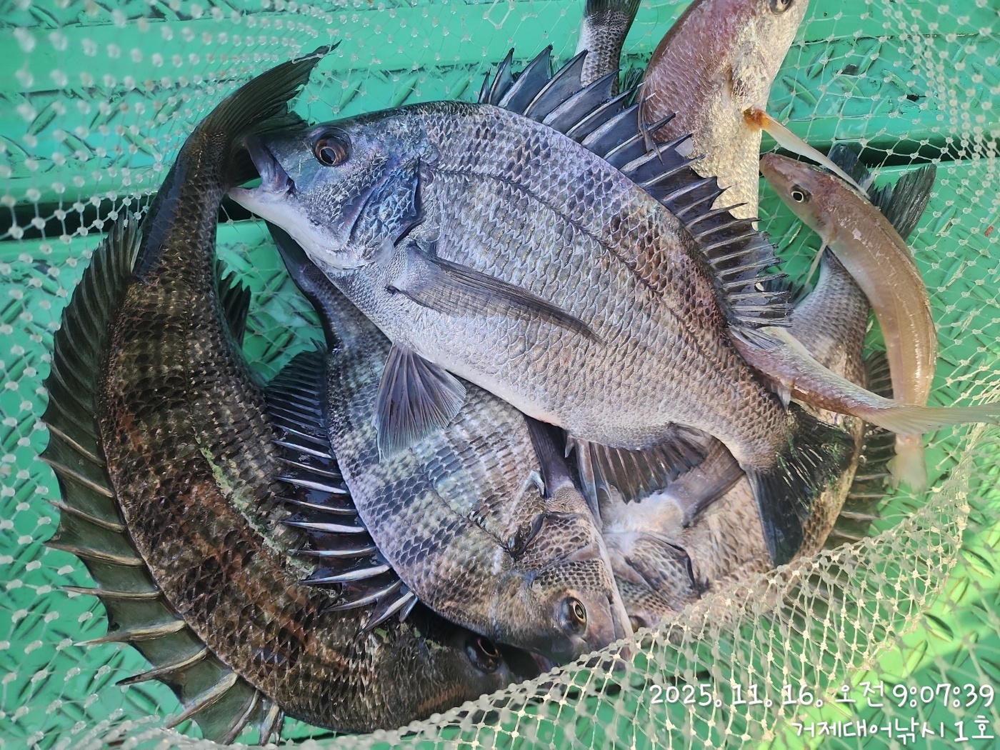
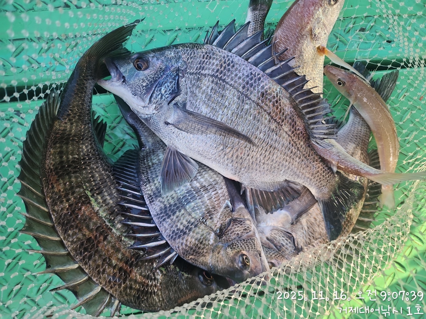
거제대어낚시1호 어초, 여밭 감성돔흘림 조황입니다.
새벽 타임 매일 총소리가 울려 퍼지는 어초여밭 대물 포인트에서
씨알 좋은 놈들의 폭풍 입질이 이어집니다 아쉽게 2방 터트리긴
했지만 4짜 4짜 외 4짜급들로 마릿수 손맛 즐기고 계시네요~
좋은 포인트 환경 속 남은 시간 집중해보겠습니다.

주말까지 좋은 물때 구간으로 진입 승율은 더욱더 상승하는 곡선입니다.
내일, 17일(월요일) 내만 감성돔낚시와 선외기 대여 예약 가능합니다.

▣ 거제대어낚시 감성돔/돌문어/선외기대여 일정 안내 ▣
※ 낚시 힐링은 "거제대어낚시"에서 낚시배+숙박까지 한방에 해결~
☆17일(월) 어초여밭 감성돔낚시 선외기대여 "예약가능"
☆18일(화) 어초여밭 감성돔낚시 선외기대여 "예약가능"
☆19일(수) 어초여밭 감성돔낚시 선외기대여 "예약가능"
☆20일(목) 어초여밭 감성돔낚시 선외기대여 "예약가능"
☆21일(금) 어초여밭 감성돔낚시 선외기대여 "예약가능"

거제대어낚시 선상낚시 예약(독채 민박 운영)
문의 ☎ 010-6400-2082 / ☎ 010-454-3937
ㅁ선외기 예약: ☎ 010-6400-2082
■ 밴드: https://band.us/@geojdaeeofishing
0

좋은 글이라고 생각되시면 "추천(좋아요)"을 눌러주세요!


, , , , , , , , , , , , , , , , , , , , , , , , , , , , , , , , , , , , , , , , , ,

  • 페이스북으로 보내기
  • 트위터로 보내기
  • 구글플러스로 보내기
  • 카카오스토리로 보내기
  • 네이버밴드로 보내기
  • 네이버로 보내기
  • 텀블러로 보내기
  • 핀터레스트로 보내기
0 댓글
 
포토 제목
 

인낚 최신글


인낚 최신댓글


온라인 문의 안내


월~금 : 9:00 ~ 18:00
토/일/공휴일 휴무
점심시간 : 12:00 ~ 13:00