(실시간)감성돔 100프로 손맛 마릿수 대박 행진~거제대어1호(25일 예약)

신상품 소개


회원 랭킹


공지사항


NaverBand
점주/선장 > 가장 빠른!!  실시간 조황

(실시간)감성돔 100프로 손맛 마릿수 대박 행진~거제대어1호(25일 예약)

거제대어1호 1 119 2025.09.24 10:02
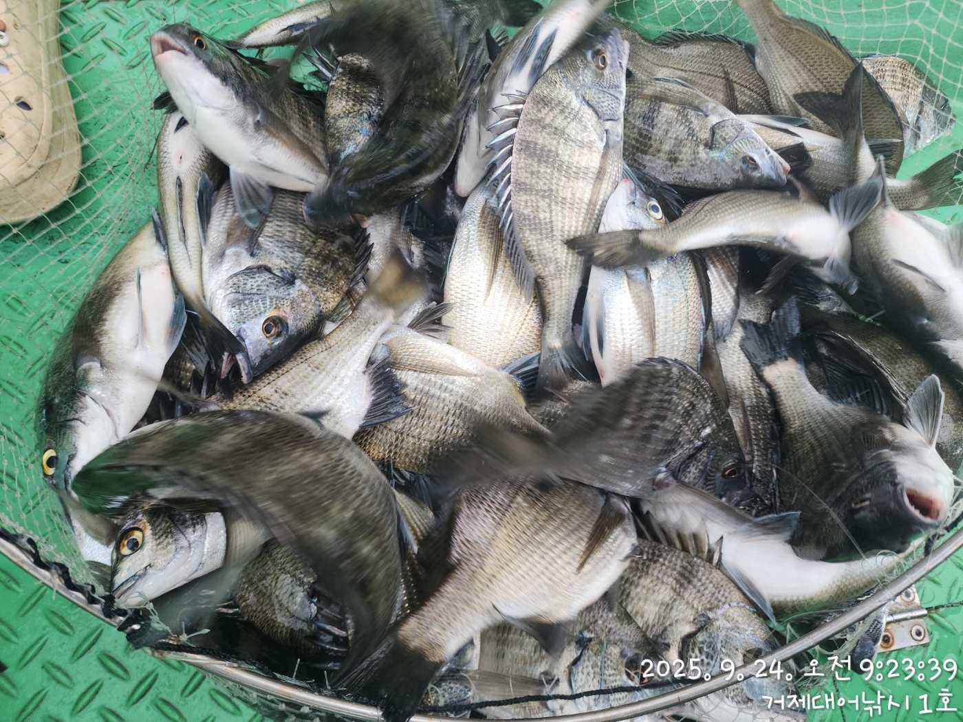
거제대어1호 감성돔 흘림낚시 조황입니다.
몇 일 꾸준한 마릿수 대박 조황이 이어지고 있습니다. 가을 시즌
상당한 개체수가 포인트로 진입한 듯 새벽부터 이어지는 입질에
조사님 전원 손맛 진행중이시고 빠지는 녀석들도 여전히 많지만
금새 다시 들어오는 입질에 포인트에는 긴장감이 가득합니다.
오늘도 대박 조황을 위해 집중해보겠습니다. 매일 달립니다.
함께하실 분들 연락주십시오~

낚시와 숙박이 가능한 거제대어낚시 많은 이용을 바랍니다.
25일(목요일) 내만 감성돔낚시와 선외기 대여 예약 가능합니다.

▣ 거제대어낚시 감성돔/돌문어/선외기대여 일정 안내 ▣
☆25일(목)먼바다 참돔 내만 감성돔 선외기대여 "예약가능"
☆26일(금)먼바다 참돔 내만 감성돔 선외기대여 "예약가능"
☆27일(토)먼바다 참돔 내만 감성돔 선외기대여 "예약가능"
☆28일(일)먼바다 참돔 내만 감성돔 선외기대여 "예약가능"

거제대어낚시 선상낚시 예약(독채 민박 운영)
문의 ☎ 010-6400-2082 / ☎ 010-454-3937
ㅁ선외기 예약: ☎ 010-6400-2082
■ 밴드: https://band.us/@geojdaeeofishing
0

좋은 글이라고 생각되시면 "추천(좋아요)"을 눌러주세요!


, , , , , , , , , , , , , , , , , , , , , , , , , , , , , , , , , , , , , , , , , ,

  • 페이스북으로 보내기
  • 트위터로 보내기
  • 구글플러스로 보내기
  • 카카오스토리로 보내기
  • 네이버밴드로 보내기
  • 네이버로 보내기
  • 텀블러로 보내기
  • 핀터레스트로 보내기
1 댓글
거제대어1호 25-09-24 10:02 0  
25일 거제권 내만 가을 감성돔 흘림낚시 선외기대여 예약가능합니다. 감사합니다.
 
포토 제목
 

인낚 최신글


인낚 최신댓글


온라인 문의 안내


월~금 : 9:00 ~ 18:00
토/일/공휴일 휴무
점심시간 : 12:00 ~ 13:00