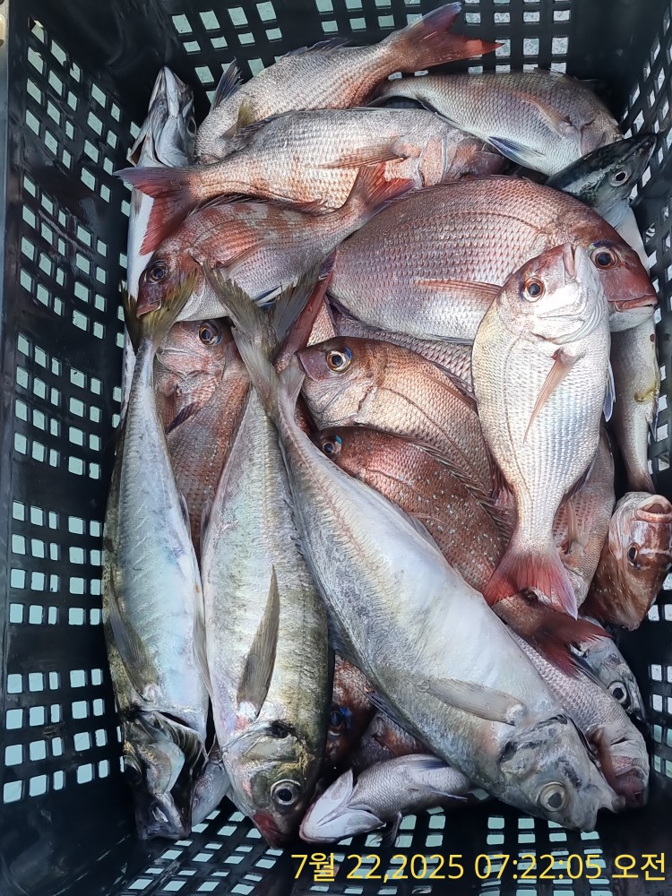
참돔(해금강 초대박 실시간) 슈퍼전갱이떼들~조기철수~신성호(23일 예약)

신상품 소개


회원 랭킹


공지사항


NaverBand
점주/선장 > 가장 빠른!!  실시간 조황

참돔(해금강 초대박 실시간) 슈퍼전갱이떼들~조기철수~신성호(23일 예약)

신성피싱 1 64 2025.07.22 09:07
거제 해금강권 참돔 흘림낚시 신성호입니다.
수일째 이어지는 해금강권 슈퍼전갱이와 참돔떼들~ 새벽부터 쉴시간이 없을
정도로 녀석들의 美친 활성도에 몇수 터지고~ 빠지면서 다시 덤벼드는 참돔들
과 슈퍼전갱이로 손맛 몸맛까지 빡세게 보고, 오늘도 조기철수길에 오릅니다.

해금강권 신성호가 진입하는 포인트에는 참돔, 슈퍼전갱이들이 엄청 진입
했습니다. 장비 챙기시고~ 얼른 오시길 바랍니다.

23일(수요일) 주간 흘림낚시 상시 예약 가능합니다.
오늘도 거제 신성호를 찾아 주신 조사님 수고 많으셨습니다.

▣ 거제 신성호 출조 일정 안내 ▣ 참돔낚시
※ 몸만 오면 되는 "생활낚시"는 상시 출조 가능하고, 예약 운영중.
☆23일(수) 해금강권 "참돔 전갱이 흘림낚시" "예약가능"
☆24일(목) 해금강권 "참돔 전갱이 흘림낚시" "예약가능"
☆25일(금) 해금강권 "참돔 전갱이 흘림낚시" "예약가능"
☆26일(토) 예약완료

거제 신성호 ☎010-2826-7133
(출항지 동계) 거제시 남부면 다포리 232-7
(출항지 하계) 거제시 동부면 오송7길
▶ 신성호 밴드 :  https://band.us/@sinsungho
0

좋은 글이라고 생각되시면 "추천(좋아요)"을 눌러주세요!


, , , , , , , , , , , , , , , , , , , , , , , , , , , , , , , , , , , , , ,

  • 페이스북으로 보내기
  • 트위터로 보내기
  • 구글플러스로 보내기
  • 카카오스토리로 보내기
  • 네이버밴드로 보내기
  • 네이버로 보내기
  • 텀블러로 보내기
  • 핀터레스트로 보내기
1 댓글
신성피싱 25-07-22 09:07 0  
23일 주간 대물 참돔 전갱이낚시 해금강권 예약 가능합니다. 감사합니다.
 
b_hot_innakmall_200x80_240307.jpg b_hot_nios_200x80.gif b_hot_ggsusan_hongeu_160x100.gif b_hot_innakmall_200x80_211203.gif
포토 제목
 

인낚 최신글


인낚 최신댓글


온라인 문의 안내


월~금 : 9:00 ~ 18:00
토/일/공휴일 휴무
점심시간 : 12:00 ~ 13:00