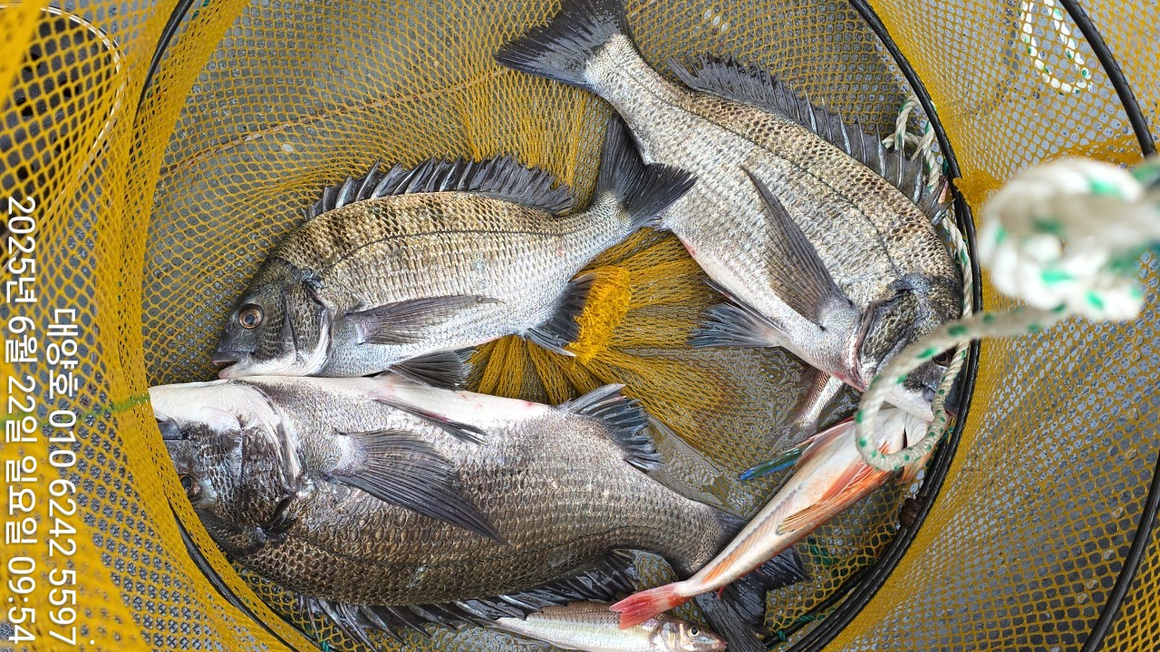
(실시간)빗 속 대물 감성돔과의 사투~5짜 4짜 진행중~대양호(내일 예약중)

신상품 소개


회원 랭킹


공지사항


NaverBand
점주/선장 > 가장 빠른!!  실시간 조황

(실시간)빗 속 대물 감성돔과의 사투~5짜 4짜 진행중~대양호(내일 예약중)

통영대양호국치마을 1 71 2025.06.22 10:22
대형 주차장 주차, 바로 승선하는 편리한 시스템!!! 대양호.
통영 감성돔 흘림낚시 전문 출조 대양호 입니다.
추적추적 내리는 빗 속 핫 포인트로 대물 감성돔을 노리며 달렸고,
꾸준히 들어간 밑밥에 드디어 녀석들의 반응이 시작됩니다~
시작부터 5짜 대물 감성돔이 얼굴을 보이며 조사님들을 긴장하게
만들었고, 방금 4짜까지 한 수 추가하며 추가 입질을 기다리고 있습니다.
굶주린 녀석들의 폭발적인 반응을 기대하며 끝까지 집중해보겠습니다.
내일도 달립니다~ 함께하실 분들 연락주십시오.

23일(월요일)감성돔 HOT포인트 출조 진행~ 예약 가능합니다!!

☆ 돌문어 (원도권) 사전 예약접수☆
-7월 9일부터 통영 원도권 돌문어 밭으로 직항합니다.
-사전 예약 진행중이니 많은 관심 부탁드립니다~

▣ 대양호 출조 일정 안내 ▣ 기상만 좋으면 상시 출조!!!
▣ 대양호 출조 예약일정 ▶ https://band.us/band/82143442/post/32
☆23일(월) 5물, 통영권 감성돔 흘림낚시 "예약가능"
☆24일(화) 6물, 통영권 감성돔 흘림낚시 "예약가능"
☆25일(수) 7물, 통영권 감성돔 흘림낚시 "예약가능"
0

좋은 글이라고 생각되시면 "추천(좋아요)"을 눌러주세요!


, , , , , , , , , , , , , , , , , , , , , , ,

  • 페이스북으로 보내기
  • 트위터로 보내기
  • 구글플러스로 보내기
  • 카카오스토리로 보내기
  • 네이버밴드로 보내기
  • 네이버로 보내기
  • 텀블러로 보내기
  • 핀터레스트로 보내기
1 댓글
23일 감성돔/참돔 흘림낚시 예약가능합니다. 감사합니다.
 
포토 제목
 

인낚 최신글


인낚 최신댓글


온라인 문의 안내


월~금 : 9:00 ~ 18:00
토/일/공휴일 휴무
점심시간 : 12:00 ~ 13:00