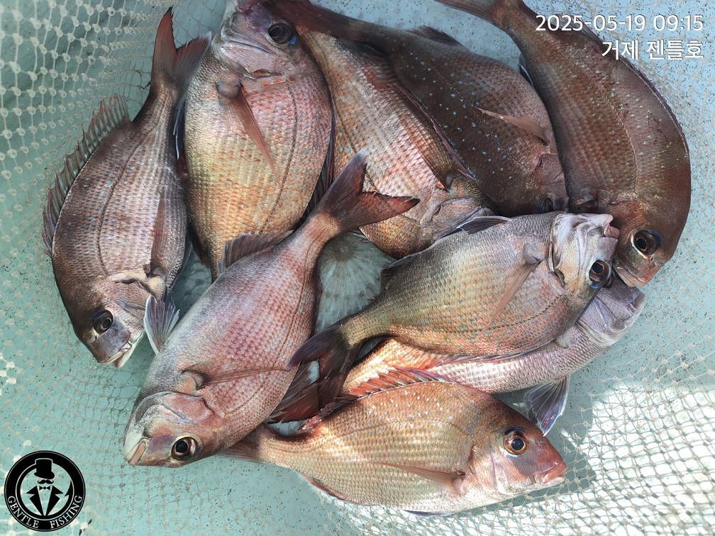
참돔(실시간)한 방 팅~ 활성도OK 두자릿수 PASS 젠틀호(21일 예약중)

신상품 소개


회원 랭킹


공지사항


NaverBand
점주/선장 > 가장 빠른!!  실시간 조황

참돔(실시간)한 방 팅~ 활성도OK 두자릿수 PASS 젠틀호(21일 예약중)

거제젠틀호 1 85 2025.05.19 09:41
거제도 릴찌낚시 전문 출조점 젠틀호 한선장입니다.
수온이 정상궤도에 오르고 본격 시즌이 시작된 듯한 포인트 환경이
이어지며 오랜만에 나선 출조길에서 녀석들의 소나기 입질을 받아내고
있습니다~ 부시리로 추정되는 막강한 녀석 한 방 터트리고 중치급 참돔들로
벌써 두자릿수를 넘긴 상황~ 좋은 조류 속 아직 시간이 남아 있으니
더 큰 녀석들을 목표로 집중해 보겠습니다~ 21일부터 예약 가능합니다.

21일(수요일)먼바다 참돔 부시리 흘림낚시 예약가능합니다.

▣ 젠틀호 참돔낚시 예약 일정 ▣
5월 20일(화요일) 기상 악화 휴항
5월 21일(수요일) 1물 거제 본류대 참돔 부시리 흘림낚시 "예약 가능"
5월 22일(목요일) 2물 거제 본류대 참돔 부시리 흘림낚시 "예약 가능"

▣ 젠틀호 예약문의 ☎ 010-8949-4045
(찾아 오시는 길) 거제시 거제면 서정리 773-14
▣ 젠틀호 밴드 : https://band.us/@gentlefishing
0

좋은 글이라고 생각되시면 "추천(좋아요)"을 눌러주세요!


, , , , , , , , , , , , , , , , , , , , , , , , , , ,

  • 페이스북으로 보내기
  • 트위터로 보내기
  • 구글플러스로 보내기
  • 카카오스토리로 보내기
  • 네이버밴드로 보내기
  • 네이버로 보내기
  • 텀블러로 보내기
  • 핀터레스트로 보내기
1 댓글
거제젠틀호 25-05-19 09:41 0  
5월 21일 먼바다 참돔 부시리 흘림 선상낚시 예약가능합니다. 감사합니다.
 
b_hot_innakmall_200x80_240307.jpg b_hot_nios_200x80.gif b_hot_ggsusan_hongeu_160x100.gif b_hot_innakmall_200x80_211203.gif
포토 제목
 

인낚 최신글


인낚 최신댓글


온라인 문의 안내


월~금 : 9:00 ~ 18:00
토/일/공휴일 휴무
점심시간 : 12:00 ~ 13:00