감성돔(실시간)4짜급 준수한 녀석들 막강 공격~거제대어2호(15일 예약)

신상품 소개


회원 랭킹


공지사항


NaverBand
점주/선장 > 가장 빠른!!  실시간 조황

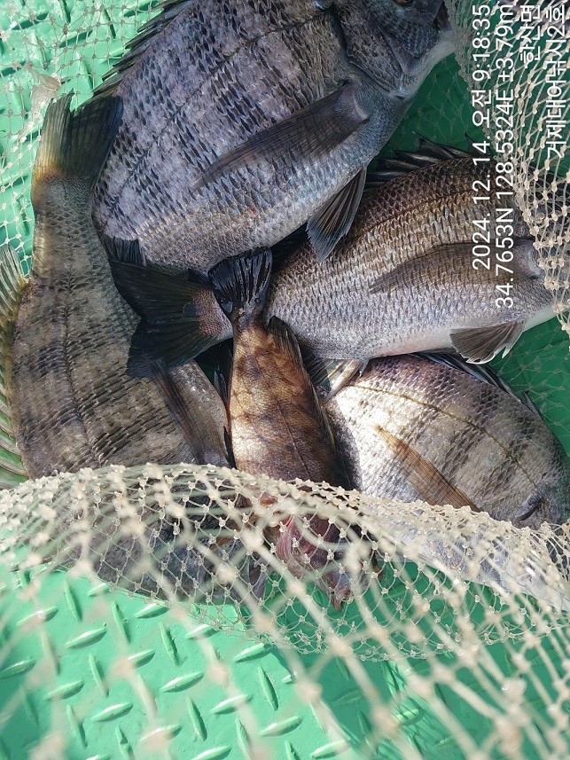
감성돔(실시간)4짜급 준수한 녀석들 막강 공격~거제대어2호(15일 예약)

거제대어낚시2호 1 36 2024.12.14 10:04
거제대어낚시2호, 어초, 여밭 감성돔 흘림 조황입니다.
오늘은 살아나는 물때 구간에 맞추어 어초여밭으로 진입했습니다.
날씨가 많이 차가워졌고, 어제보다 떨어진 수온이지만 미끼가
수중여 인근을 지나갈 때에는 어김없는강력한 입질이 이어집니다.
감성돔 4짜급의 준수한 녀석들이 먹이를 본격적으로 탐하기 시작
했습니다. 남은시간 집중해 보겠습니다
.
내일도 어초, 여밭 감성돔흘림 출조합니다. 예약가능합니다.
주말 좋은 물때 유입 구간입니다. 도전 해 보십시요~
내일, 15일(일요일) 감성돔낚시 어초여밭 및 선외기대여 예약 가능합니다.

▣ 거제대어낚시 참돔부시리/감성돔낚시/선외기대여 일정 안내 ▣

☆15일(일요일) 7물, 거제 감성돔낚시 선외기대여 "예약가능"
☆16일(월요일) 8물, 거제 감성돔낚시 선외기대여 "예약가능"
☆17일(화요일) 9물, 거제 감성돔낚시 선외기대여 "예약가능"
☆18일(수요일) 10물, 거제 감성돔낚시 선외기대여 "예약가능"

거제대어낚시 선상낚시 예약(독채 민박)
문의 ☎ 010-6400-2082 / ☎ 010-454-393
ㅁ선외기 예약: ☎ 010-6400-2082
■ 밴드: https://band.us/@geojdaeeofishing
0

좋은 글이라고 생각되시면 "추천(좋아요)"을 눌러주세요!


, , , , , , , , , , , , , , , , , , , , , , , , , ,

  • 페이스북으로 보내기
  • 트위터로 보내기
  • 구글플러스로 보내기
  • 카카오스토리로 보내기
  • 네이버밴드로 보내기
  • 네이버로 보내기
  • 텀블러로 보내기
  • 핀터레스트로 보내기
1 댓글
거제대어낚시2호 24-12-14 10:04 0  
15일 거제도 참돔 감성돔낚시 예약 가능합니다. 감사합니다.
 
b_hot_innakmall_200x80_240307.jpg b_hot_nios_200x80.gif b_hot_ggsusan_hongeu_160x100.gif b_hot_innakmall_200x80_211203.gif
포토 제목
 

인낚 최신글


인낚 최신댓글


온라인 문의 안내


월~금 : 9:00 ~ 18:00
토/일/공휴일 휴무
점심시간 : 12:00 ~ 13:00