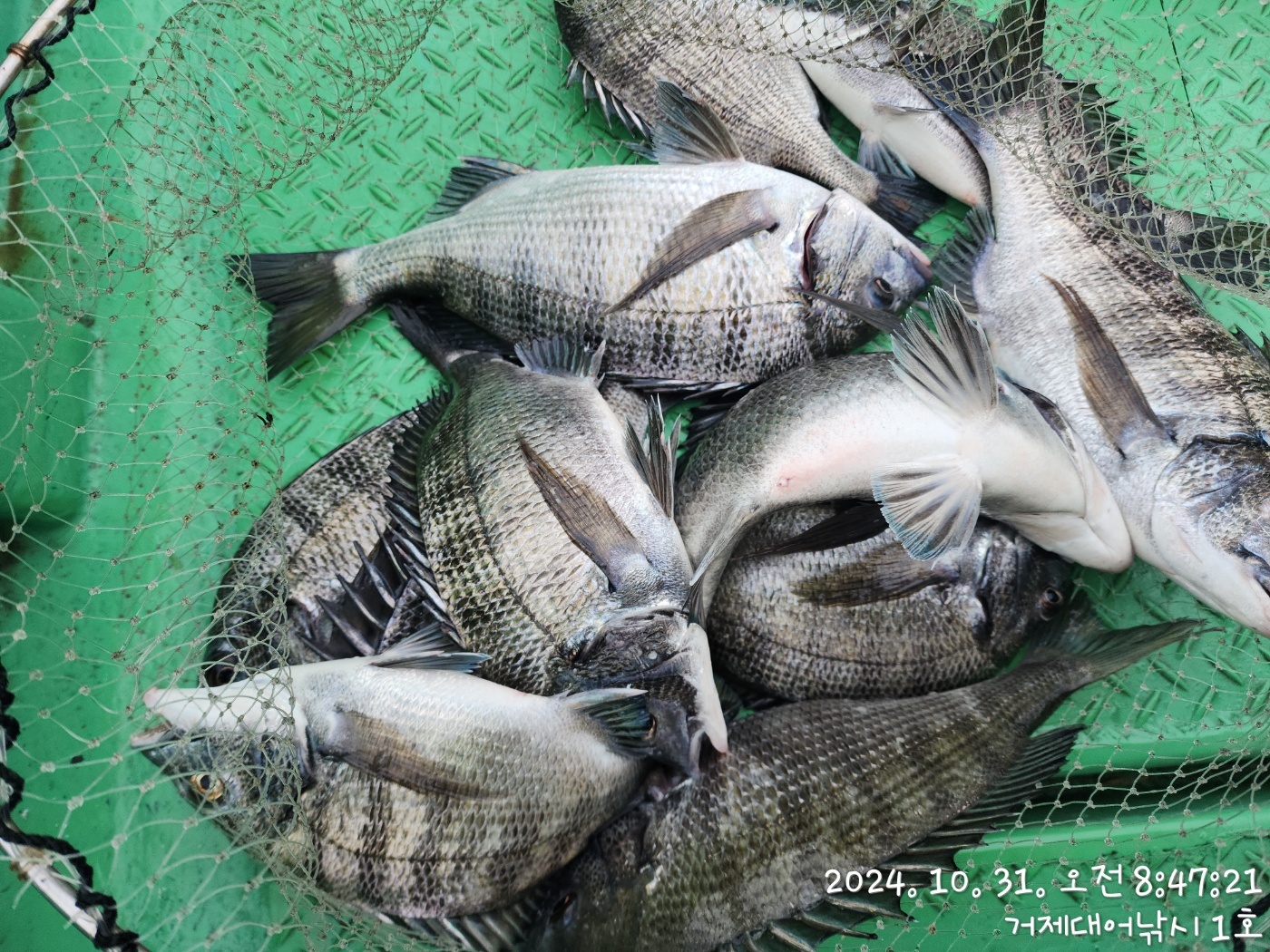
감성돔(실시간) 대물급 팅~4짜급들 쏟아집니다~거제대어1호(1일 예약)

신상품 소개


회원 랭킹


공지사항


NaverBand
점주/선장 > 가장 빠른!!  실시간 조황

감성돔(실시간) 대물급 팅~4짜급들 쏟아집니다~거제대어1호(1일 예약)

거제대어1호 1 84 2024.10.31 10:07
거제대어낚시 1호 어초, 여밭 감성돔흘림 조황입니다.
좋은 물때에 맞추어 진입한 어초여밭, 수중여 인근으로 채비가 들어가기
무섭게 덤비는 막강한 파워에 감성돔들, 3방 터트리고, 2수 빠졌지만,
감당안되는 굵직한 녀석들도 함께 덤비고 있는 상황, 퍽~퍽~입질은
꾸준히 이어지고 있고, 4짜급들 마리수로 쏟아지고 있습니다.
내일도 어초, 여밭 감성돔흘림 출조하고, 예약 가능합니다.

내일, 11월 1일(금요일) 먼바다 참돔낚시, 어초여밭 감성돔흘림낚시와
선외기 대여 분산 출조합니다.대물들이 본격 움직이기 시작했습니다.

▣ 거제대어낚시 참돔부시리/감성돔낚시/선외기대여 일정 안내 ▣
(선외기 소식) 선외기대에서 돌문어 굵은놈들 본격 입성했습니다.
☆11월 1일(금요일) 8물. 참돔낚시 감성돔낚시 선외기대여 "예약가능"
☆11월 2일(토요일) 9물. 참돔낚시 감성돔낚시 선외기대여 "예약가능"
☆11월 3일(일요일) 10물. 참돔낚시 감성돔낚시 선외기대여 "예약가능"

거제대어낚시 선상낚시 예약(독채 민박)
문의 ☎ 010-6400-2082 / ☎ 010-454-393
ㅁ선외기 예약: ☎ 010-6400-2082
■ 밴드: https://band.us/@geojdaeeofishing
0

좋은 글이라고 생각되시면 "추천(좋아요)"을 눌러주세요!


, , , , , , , , , , , , , , , , , , , , , , , , , , , , , , , , , , , , , , , , , ,

  • 페이스북으로 보내기
  • 트위터로 보내기
  • 구글플러스로 보내기
  • 카카오스토리로 보내기
  • 네이버밴드로 보내기
  • 네이버로 보내기
  • 텀블러로 보내기
  • 핀터레스트로 보내기
1 댓글
거제대어1호 24-10-31 10:07 0  
11월 1일 거제도 참돔 감성돔 선외기 예약 자리 있습니다. 감사합니다.
 
포토 제목
 

인낚 최신글


인낚 최신댓글


온라인 문의 안내


월~금 : 9:00 ~ 18:00
토/일/공휴일 휴무
점심시간 : 12:00 ~ 13:00