감성돔(실시간 동영상) 대물 2방팅~4짜급들 마리수~거제대어1호 (5일 예약)

신상품 소개


회원 랭킹


공지사항


NaverBand
점주/선장 > 가장 빠른!!  실시간 조황

감성돔(실시간 동영상) 대물 2방팅~4짜급들 마리수~거제대어1호 (5일 예약)

거제대어1호 1 54 2024.10.04 09:50
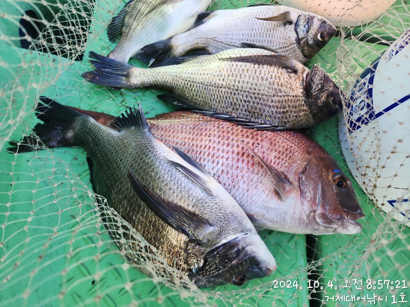
거제대어낚시1호, 감성돔 흘림낚시 조황입니다.
대물2방 팅~~날아가고, 현재시간 4짜급들외 마리수 손맛중입니다. 약은
입질에 몇번의 헛챔질과 한박자 늦은 챔질 타이밍 잡으면서, 찐한 손맛
즐기시고 있습니다. 남은시간 집중해 보겠습니다.
내일 예약 가능합니다.

내일, 10월 5일(토요일) 감성돔흘림낚시와 선외기 대여 분산 출조합니다.
오늘 아침 기온이 22도~23도를 보입니다. 비로 인해 뜨거운 열기가 제대로
식혀지면서, 본격적인 가을 본시즌 감성돔낚시에 큰 기대를 해 봅니다.

▣ 거제대어낚시 참돔부시리/감성돔낚시/선외기대여 일정 안내 ▣
★숙박+낚시배를 동시에 이용하고자 하는 분들은 할인 혜택 적용.
(선외기 소식) 선외기대에서 돌문어 굵은놈들 본격 입성했습니다.
☆5일(토요일) 10물, 참돔낚시 감성돔낚시 선외기대여 "예약가능
☆6일(일요일) 11물, 참돔낚시 감성돔낚시 선외기대여 "예약가능
☆7일(월요일) 12물, 참돔낚시 감성돔낚시 선외기대여 "예약가능


거제대어낚시 선상낚시 예약(독채 민박)
문의 ☎ 010-6400-2082 / ☎ 010-454-393
ㅁ선외기 예약: ☎ 010-6400-2082
■ 밴드: https://band.us/@geojdaeeofishing
0

좋은 글이라고 생각되시면 "추천(좋아요)"을 눌러주세요!


, , , , , , , , , , , , , , , , , , , , , , , , , , , , , , , , , , , , , , , , , ,

  • 페이스북으로 보내기
  • 트위터로 보내기
  • 구글플러스로 보내기
  • 카카오스토리로 보내기
  • 네이버밴드로 보내기
  • 네이버로 보내기
  • 텀블러로 보내기
  • 핀터레스트로 보내기
1 댓글
거제대어1호 24-10-04 09:50 0  
5일 거제도 참돔 감성돔낚시 선외기대여 예약 가능합니다. 감사합니다.
 
b_hot_innakmall_200x80_240307.jpg b_hot_nios_200x80.gif b_hot_ggsusan_hongeu_160x100.gif b_hot_innakmall_200x80_211203.gif
포토 제목
 

인낚 최신글


인낚 최신댓글


온라인 문의 안내


월~금 : 9:00 ~ 18:00
토/일/공휴일 휴무
점심시간 : 12:00 ~ 13:00