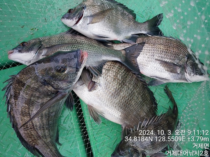
감성돔(실시간) 터져 나가도~굵은 4짜급 마리수中~거제대어2호(4일 예약)

신상품 소개


회원 랭킹


공지사항


NaverBand
점주/선장 > 가장 빠른!!  실시간 조황

감성돔(실시간) 터져 나가도~굵은 4짜급 마리수中~거제대어2호(4일 예약)

거제대어낚시2호 1 80 2024.10.03 09:50
거제대어낚시2호, 감성돔 흘림낚시 조황입니다.
강풍의 악조건에도 녀석들의 활성도가 좋은 상황, 터지고 빠지면서도
씨알 굵은 감성돔 4짜급들외 마리수로 손맛중입니다.물때가 좋은
상황이라 철수까지 집중해서 좋은 조과로 마무리 해 보겠습니다.
내일도 감성돔흘림 출조합니다.

내일, 10월 4일(금요일) 감성돔흘림낚시와 선외기 대여 분산 출조합니다.
오늘 아침 기온이 22도~23도를 보입니다. 비로 인해 뜨거운 열기가 제대로
식혀지면서, 본격적인 가을 본시즌 감성돔낚시에 큰 기대를 해 봅니다.

▣ 거제대어낚시 참돔부시리/감성돔낚시/선외기대여 일정 안내 ▣
★숙박+낚시배를 동시에 이용하고자 하는 분들은 할인 혜택 적용.
☆4일(금요일) 9물, 참돔낚시 감성돔낚시 선외기대여 "예약가능
☆5일(토요일) 10물, 참돔낚시 감성돔낚시 선외기대여 "예약가능
☆6일(일요일) 11물, 참돔낚시 감성돔낚시 선외기대여 "예약가능
☆7일(월요일) 12물, 참돔낚시 감성돔낚시 선외기대여 "예약가능

거제대어낚시 선상낚시 예약(독채 민박)
문의 ☎ 010-6400-2082 / ☎ 010-454-393
ㅁ선외기 예약: ☎ 010-6400-2082
■ 밴드: https://band.us/@geojdaeeofishing
0

좋은 글이라고 생각되시면 "추천(좋아요)"을 눌러주세요!


, , , , , , , , , , , , , , , , , , , , , , , , , , , , , , , , , , , , , , , , , ,

  • 페이스북으로 보내기
  • 트위터로 보내기
  • 구글플러스로 보내기
  • 카카오스토리로 보내기
  • 네이버밴드로 보내기
  • 네이버로 보내기
  • 텀블러로 보내기
  • 핀터레스트로 보내기
1 댓글
거제대어낚시2호 24-10-03 09:50 0  
4일 거제도 참돔 감성돔낚시 선외기대여 예약 가능합니다. 감사합니다.
 
b_hot_innakmall_200x80_240307.jpg b_hot_nios_200x80.gif b_hot_ggsusan_hongeu_160x100.gif b_hot_innakmall_200x80_211203.gif
포토 제목
 

인낚 최신글


인낚 최신댓글


온라인 문의 안내


월~금 : 9:00 ~ 18:00
토/일/공휴일 휴무
점심시간 : 12:00 ~ 13:00