감성돔(실시간) 대물급 3방팅~마리수 폭팔~거제대어5호 조황(26일 예약)

신상품 소개


회원 랭킹


공지사항


NaverBand
점주/선장 > 가장 빠른!!  실시간 조황

감성돔(실시간) 대물급 3방팅~마리수 폭팔~거제대어5호 조황(26일 예약)

거제대어5호 1 72 2024.09.25 10:38
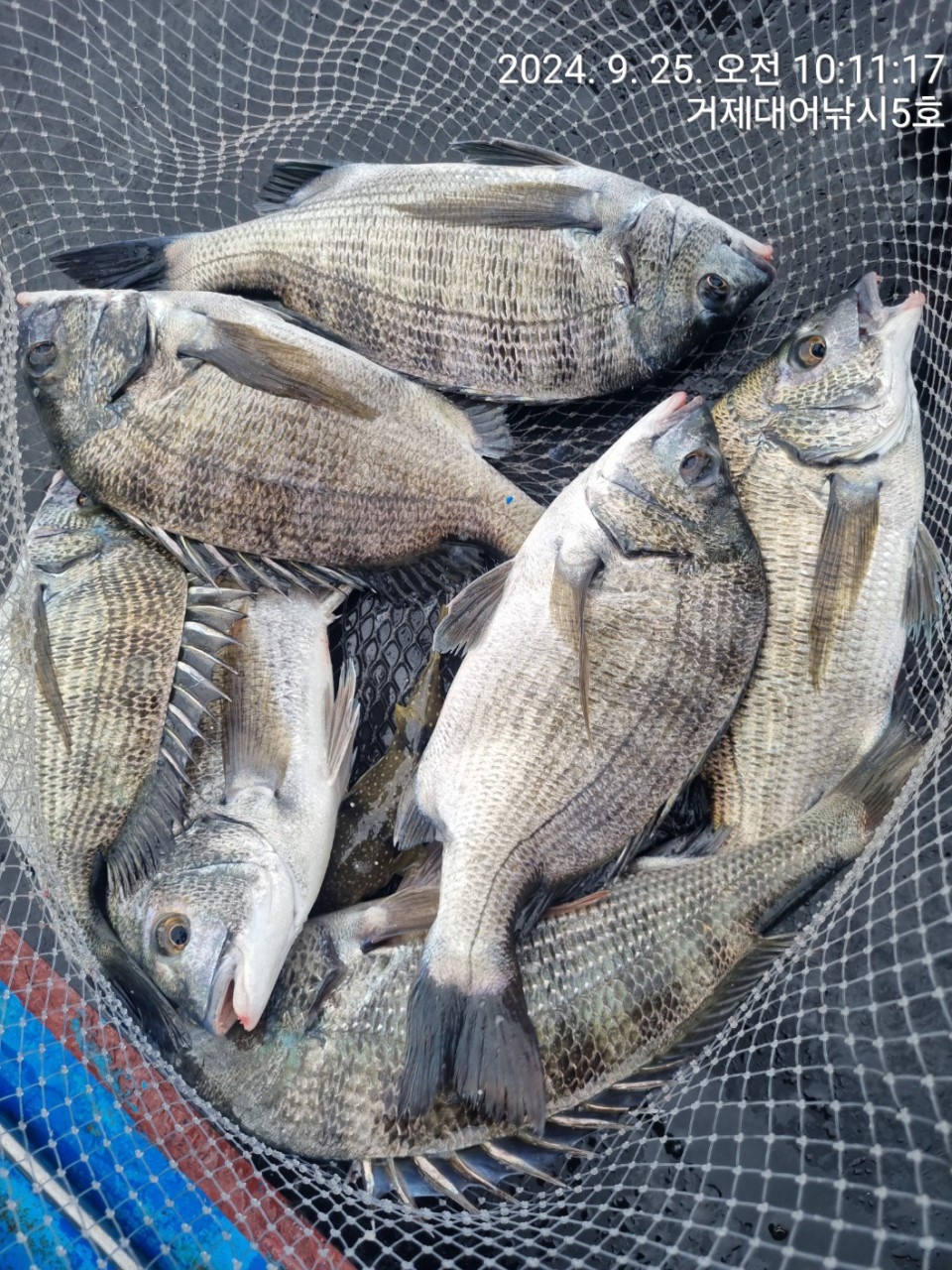
거제대어낚시5호 감성돔 흘림낚시 깊은 수심 포인트 공략중입니다.
역시, 깊은수심대에도 수많은 감성돔들이 본격적으로 합류했고, 예신없는
본신까지 받으면서 불감당한 빅사이즈들 3방 터지고, 4짜이하 마리수
손맛을 이어가고 있습니다. 포인트 탐사로 진입한터라 다양하게 찔러
보고 철수 조황으로 감성돔낚시 조황 보고 드리겠습니다.

내일, 26일(목요일) 감성돔흘림낚시와 선외기 대여 분산 출조합니다.
오늘 아침 기온이 22도~23도를 보입니다. 비로 인해 뜨거운 열기가 제대로
식혀지면서, 본격적인 가을 본시즌 감성돔낚시에 큰 기대를 해 봅니다.

▣ 거제대어낚시 참돔부시리/감성돔낚시/선외기대여 일정 안내 ▣
★숙박+낚시배를 동시에 이용하고자 하는 분들은 할인 혜택 적용.

☆26일(목요일) 1물, 참돔낚시 감성돔낚시 선외기대여 "예약가능
☆27일(금요일) 2물, 참돔낚시 감성돔낚시 선외기대여 "예약가능
☆28일(토요일) 3물, 참돔낚시 감성돔낚시 선외기대여 "예약가능

거제대어낚시 선상낚시 예약(독채 민박)
문의 ☎ 010-6400-2082 / ☎ 010-454-393
■ 밴드: https://band.us/@geojdaeeofishing
0

좋은 글이라고 생각되시면 "추천(좋아요)"을 눌러주세요!


, , , , , , , , , , , , , , , , , , , , , , , , , , , , , , , , , , , , , , , , , ,

  • 페이스북으로 보내기
  • 트위터로 보내기
  • 구글플러스로 보내기
  • 카카오스토리로 보내기
  • 네이버밴드로 보내기
  • 네이버로 보내기
  • 텀블러로 보내기
  • 핀터레스트로 보내기
1 댓글
거제대어5호 24-09-25 10:38 0  
26일 참돔낚시 감성돔낚시 선외기대여 예약 가능합니다. 감사합니다.
 
b_hot_innakmall_200x80_240307.jpg b_hot_nios_200x80.gif b_hot_ggsusan_hongeu_160x100.gif b_hot_innakmall_200x80_211203.gif
포토 제목
 

인낚 최신글


인낚 최신댓글


온라인 문의 안내


월~금 : 9:00 ~ 18:00
토/일/공휴일 휴무
점심시간 : 12:00 ~ 13:00