감성돔(실시간)터져도~굵은 씨알과 마리수~거제대어6호 조황(14일 예약)

신상품 소개


회원 랭킹


공지사항


NaverBand
점주/선장 > 가장 빠른!!  실시간 조황

감성돔(실시간)터져도~굵은 씨알과 마리수~거제대어6호 조황(14일 예약)

거제대어낚시6호 1 94 2024.09.13 10:58
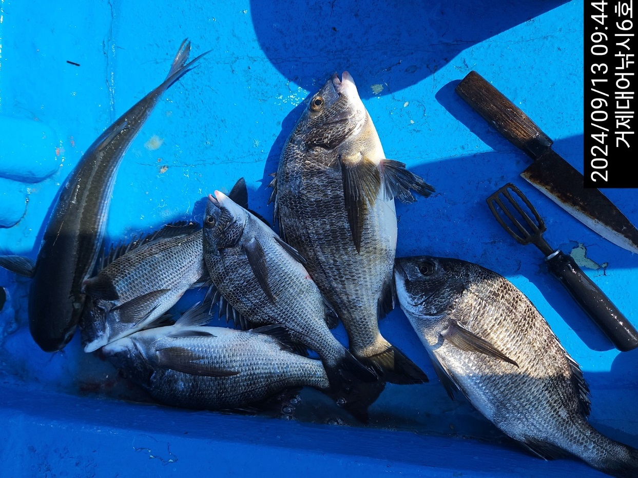
거제대어낚시6호, 거제권 감성돔낚시 조황입니다.
새벽부터 진입한 포인트에는 감성돔들의 맹공격이 계속 되고 있고, 추석
전후부터 덤벼드는 씨알 굵은 숭어까지 함께 가세해 챔질 후, 희비적인
혼란을 야기했습니다.

현재 좋은 활성도에 감성돔들의 꾸준한 입질을 보이고 있고, 물때에 맞추어
수심 조정을 시간당 10Cm정도만 해도 입질 수심층이 맞추어지는지라
철수시 마리수가 달라지는 장점을 가질 수 있습니다.

내일 14일(토요일) 먼바다 참돔, 부시리흘림 내만권 감성돔흘림 분산
출조합니다. 예약 가능합니다. 감사합니다.

▣ 거제대어낚시 참돔부시리/감성돔낚시/선외기대여 일정 안내 ▣
★숙박+낚시배를 동시에 이용하고자 하는 분들은 할인 혜택 적용.
(선외기 소식) 선외기대에서 돌문어 굵은놈들 본격 입성했습니다.
☆14일(토요일) 4물, 참돔낚시 감성돔낚시 선외기대여 "예약가능
☆15일(일요일) 5물, 참돔낚시 감성돔낚시 선외기대여 "예약가능

거제대어낚시 선상낚시 예약(독채 민박)
문의 ☎ 010-6400-2082 / ☎ 010-454-393
ㅁ선외기 예약: ☎ 010-6400-2082
■ 밴드: https://band.us/@geojdaeeofishing
0

좋은 글이라고 생각되시면 "추천(좋아요)"을 눌러주세요!


, , , , , , , , , , , , , , , , , , , , , , , , , , , , , , , , , , , , , , , , , ,

  • 페이스북으로 보내기
  • 트위터로 보내기
  • 구글플러스로 보내기
  • 카카오스토리로 보내기
  • 네이버밴드로 보내기
  • 네이버로 보내기
  • 텀블러로 보내기
  • 핀터레스트로 보내기
1 댓글
거제대어낚시6호 24-09-13 10:58 0  
14일 먼바다 참돔낚시 선단 감성돔낚시 선외기대여 예약 가능합니다. 감사합니다.
 
b_hot_innakmall_200x80_240307.jpg b_hot_nios_200x80.gif b_hot_ggsusan_hongeu_160x100.gif b_hot_innakmall_200x80_211203.gif
포토 제목
 

인낚 최신글


인낚 최신댓글


온라인 문의 안내


월~금 : 9:00 ~ 18:00
토/일/공휴일 휴무
점심시간 : 12:00 ~ 13:00