감성돔(실시간)쏟아집니다~9방팅~헛챔질10방~거제대어1호조황(9일예약)

신상품 소개


회원 랭킹


공지사항


NaverBand
점주/선장 > 가장 빠른!!  실시간 조황

감성돔(실시간)쏟아집니다~9방팅~헛챔질10방~거제대어1호조황(9일예약)

거제대어1호 1 44 2024.09.08 10:19
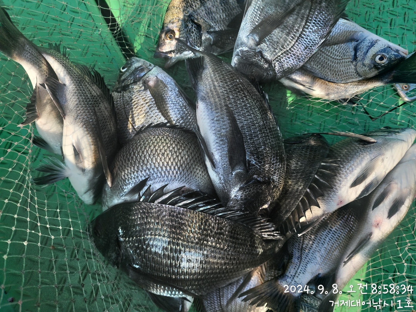
거제대어낚시1호 감성돔흘림낚시 조황입니다.
전원 손맛중이고, 한마디로 감성돔들의 입질이 쏟아지고 있습니다.
4방 터지고, 5번 빠지고 헛챔질은 10번이상 보였고, 녀석들의 먹이활동이
엄청납니다. 남은시간 더~손맛에 집중해 보겠습니다.
내일 예약가능합니다


내일, 9월 9일(월요일) 선단 먼바다 참돔, 부시리흘림, 내만권 감성돔흘림
분산 출조하고, 예약 가능합니다.

▣ 거제대어낚시 참돔부시리/감성돔낚시/선외기대여 일정 안내 ▣
★숙박+낚시배를 동시에 이용하고자 하는 분들은 할인 혜택 적용.
(선외기 소식) 선외기대에서 돌문어 굵은놈들 본격 입성했습니다.
☆9월 9일(월요일) 참돔낚시 감성돔낚시 선외기대여 "예약가능
☆9월 10일(화요일) 참돔낚시 감성돔낚시 선외기대여 "예약가능
☆9월 11일(수요일) 참돔낚시 감성돔낚시 선외기대여 "예약가능
☆9월 12일(목요일) 참돔낚시 감성돔낚시 선외기대여 "예약가능
※ 좋은 포인트 선정을 위해 예약을 미리미리 서둘러 주십시요.

거제대어낚시 선상낚시 예약(독채 민박)
문의 ☎ 010-6400-2082 / ☎ 010-454-393
ㅁ선외기 예약: ☎ 010-6400-2082
■ 밴드:  https://band.us/@geojdaeeofishing
0

좋은 글이라고 생각되시면 "추천(좋아요)"을 눌러주세요!


, , , , , , , , , , , , , , , , , , , , , , , , , , , , , , , , , ,

  • 페이스북으로 보내기
  • 트위터로 보내기
  • 구글플러스로 보내기
  • 카카오스토리로 보내기
  • 네이버밴드로 보내기
  • 네이버로 보내기
  • 텀블러로 보내기
  • 핀터레스트로 보내기
1 댓글
거제대어1호 24-09-08 10:20 0  
9일 먼바다 참돔낚시 선단 감성돔낚시 선외기대여 예약 가능합니다. 감사합니다.
 
b_hot_innakmall_200x80_240307.jpg b_hot_nios_200x80.gif b_hot_ggsusan_hongeu_160x100.gif b_hot_innakmall_200x80_211203.gif
포토 제목
 

인낚 최신글


인낚 최신댓글


온라인 문의 안내


월~금 : 9:00 ~ 18:00
토/일/공휴일 휴무
점심시간 : 12:00 ~ 13:00