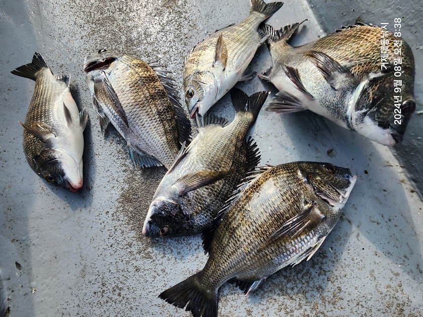
실시간 (감성돔) 제대로 빨아줍니다~대동낚시 조황(9일 예약)

신상품 소개


회원 랭킹


공지사항


NaverBand
점주/선장 > 가장 빠른!!  실시간 조황

실시간 (감성돔) 제대로 빨아줍니다~대동낚시 조황(9일 예약)

거제대동낚시 1 36 2024.09.08 09:22
추석 제수 고기 낚으로 오세요~
날이 밝으면서 몸집을 키운 감성돔들이 본격 빨기 시작합니다.
시원한 몇번의 입질이 있었고, 본능적으로 어장줄쪽으로 달려 몇초 버티다
터트리기 시작했고, 조금 빠른 챔질에 어장줄 반대방향으로 낚시대를 돌려야
승산이 있을 것 같습니다.
오늘도 즐겨 보겠습니다.

내일 9일 월요일도 가을 바람 맞으며 가을 감성돔 사냥 나갑니다.
승율이 높은 시기입니다. 예약은 미리 미리 부탁드립니다~

▣ 대동낚시 주간(오전타임) 감성돔 흘림낚시 ▣ 365출조!!!
★9월 9일(월) 성포출발 감성돔 오전 흘림낚시 "예약가능"
★9월 10일(화) 성포출발 감성돔 오전 흘림낚시 "예약가능"
★9월 11일(수) 성포출발 감성돔 오전 흘림낚시 "예약가능"
★9월 12일(목) 성포출발 감성돔 오전 흘림낚시 "예약가능"
★9월 13일(금) 성포출발 감성돔 오전 흘림낚시 "예약가능"
※ 기상만 좋으면 365일 출조합니다. 주말 예약은 미리미리 서둘러 주세요.

▦대동낚시 ☎010-4550-9017
▣ 거제시 사등면 성포로 133(사등농협앞)
▣ 밴드 : https://band.us/@daedongho
0

좋은 글이라고 생각되시면 "추천(좋아요)"을 눌러주세요!


, , , , , , , , , , , , , , , , , ,

  • 페이스북으로 보내기
  • 트위터로 보내기
  • 구글플러스로 보내기
  • 카카오스토리로 보내기
  • 네이버밴드로 보내기
  • 네이버로 보내기
  • 텀블러로 보내기
  • 핀터레스트로 보내기
1 댓글
거제대동낚시 24-09-08 09:22 0  
9일 거제권 감성돔 오전낚시 예약 가능합니다. 감사합니다
 
b_hot_innakmall_200x80_240307.jpg b_hot_nios_200x80.gif b_hot_ggsusan_hongeu_160x100.gif b_hot_innakmall_200x80_211203.gif
포토 제목
 

인낚 최신글


인낚 최신댓글


온라인 문의 안내


월~금 : 9:00 ~ 18:00
토/일/공휴일 휴무
점심시간 : 12:00 ~ 13:00