감성돔(실시간) 터져도~빠져도 마리수~거제대어1호 조황(8일 예약)

신상품 소개


회원 랭킹


공지사항


NaverBand
점주/선장 > 가장 빠른!!  실시간 조황

감성돔(실시간) 터져도~빠져도 마리수~거제대어1호 조황(8일 예약)

거제대어1호 1 55 2024.09.07 09:24
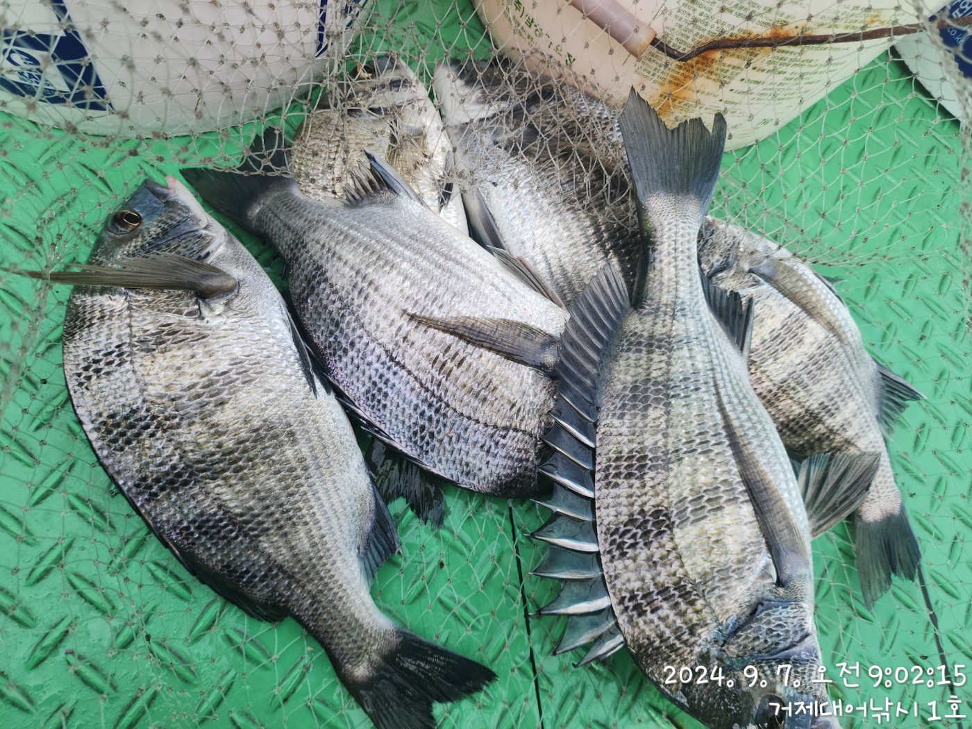
거제대어낚시1호 감성돔 흘림낚시 조황입니다.
현재시간, 좋은 활성도가 보이면서 터지고, 빠지고 헛챔질도 다수 있긴하지만
녀석들 예민한 입질에도 조사님들 실력 발휘하고 있습니다. 터져도 다시
덤빌 정도로 많은 개체들이 진입한 상황, 남은시간 더 집중해 보겠습니다.

내일, 9월 8일(일요일) 선단 먼바다 참돔, 부시리흘림, 내만권 감성돔흘림
분산 출조하고, 예약 가능합니다.

▣ 거제대어낚시 참돔부시리/감성돔낚시/선외기대여 일정 안내 ▣
★숙박+낚시배를 동시에 이용하고자 하는 분들은 할인 혜택 적용.
(선외기 소식) 선외기대에서 돌문어 굵은놈들 본격 입성했습니다.
☆9월 8일(일요일) 참돔낚시 감성돔낚시 선외기대여 "예약가능
☆9월 9일(월요일) 참돔낚시 감성돔낚시 선외기대여 "예약가능
☆9월 10일(화요일) 참돔낚시 감성돔낚시 선외기대여 "예약가능
☆9월 11일(수요일) 참돔낚시 감성돔낚시 선외기대여 "예약가능

거제대어낚시 선상낚시 예약(독채 민박)
문의 ☎ 010-6400-2082 / ☎ 010-454-393
ㅁ선외기 예약: ☎ 010-6400-2082
■ 밴드:  https://band.us/@geojdaeeofishing
0

좋은 글이라고 생각되시면 "추천(좋아요)"을 눌러주세요!


, , , , , , , , , , , , , , , , , , , , , , , , , , , , , , , , , ,

  • 페이스북으로 보내기
  • 트위터로 보내기
  • 구글플러스로 보내기
  • 카카오스토리로 보내기
  • 네이버밴드로 보내기
  • 네이버로 보내기
  • 텀블러로 보내기
  • 핀터레스트로 보내기
1 댓글
거제대어1호 24-09-07 09:25 0  
8일 먼바다 참돔낚시 선단 감성돔낚시 선외기대여 예약 가능합니다. 감사합니다.
 
b_hot_innakmall_200x80_240307.jpg b_hot_nios_200x80.gif b_hot_ggsusan_hongeu_160x100.gif b_hot_innakmall_200x80_211203.gif
포토 제목
 

인낚 최신글


인낚 최신댓글


온라인 문의 안내


월~금 : 9:00 ~ 18:00
토/일/공휴일 휴무
점심시간 : 12:00 ~ 13:00