감성돔(실시간) 활성도가 美쳤네요~4짜 4짜급~거제대어1호 조황(2일 예약)

신상품 소개


회원 랭킹


공지사항


NaverBand
점주/선장 > 가장 빠른!!  실시간 조황

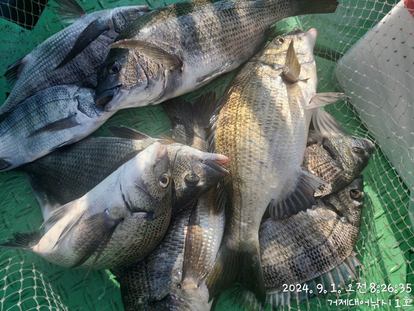
감성돔(실시간) 활성도가 美쳤네요~4짜 4짜급~거제대어1호 조황(2일 예약)

거제대어1호 1 74 2024.09.01 09:39
거제대어낚시1호, 감성돔흘림낚시 진입했습니다.
현재시간, 4짜~4짜급들 마리수중이고, 깊은 수심에 녀석들의 저항이 거칠어지고
손맛또한 환상적입니다. 몇수의 터트림이 있었지만, 차곡~차곡 물칸에 마리수
채우고 있습니다. 남은시간 좋은그림 만들어 보겠습니다.
내일 내만권 감성돔흘림낚시와 먼바다 참돔, 부시리흘림 선단 분산 출조합니다
예약 가능합니다.

▣ 거제대어낚시 참돔부시리/감성돔낚시/선외기대여 일정 안내 ▣
★숙박+낚시배를 동시에 이용하고자 하는 분들은 할인 혜택 적용.
(선외기 소식) 선외기대에서 돌문어 굵은놈들 본격 입성했습니다.
☆9월 2일(월요일) 선외기 감성돔낚시 문어낚시 "예약가능
☆9월 3일(화요일) 선외기 감성돔낚시 문어낚시 "예약가능
☆9월 4일(수요일) 선외기 감성돔낚시 문어낚시 "예약가능
☆9월 5일(목요일) 선외기 감성돔낚시 문어낚시 "예약가능
☆9월 6일(금요일) 선외기 감성돔낚시 문어낚시 "예약가능

거제대어낚시 선상낚시 예약(독채 민박)
문의 ☎ 010-6400-2082 / ☎ 010-454-393
ㅁ선외기 예약: ☎ 010-6400-2082
■ 밴드:  https://band.us/@geojdaeeofishing
0

좋은 글이라고 생각되시면 "추천(좋아요)"을 눌러주세요!


, , , , , , , , , , , , , , , , , , , , , , , , , , , , , , , , , ,

  • 페이스북으로 보내기
  • 트위터로 보내기
  • 구글플러스로 보내기
  • 카카오스토리로 보내기
  • 네이버밴드로 보내기
  • 네이버로 보내기
  • 텀블러로 보내기
  • 핀터레스트로 보내기
1 댓글
거제대어1호 24-09-01 09:39 0  
2일 먼바다 참돔낚시 선단 감성돔낚시 선외기대여 예약 가능합니다. 감사합니다.
 
포토 제목
 

인낚 최신글


인낚 최신댓글


온라인 문의 안내


월~금 : 9:00 ~ 18:00
토/일/공휴일 휴무
점심시간 : 12:00 ~ 13:00