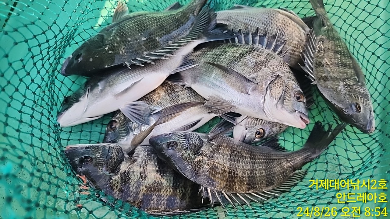
감성돔(실시간) 9방 팅~힘이 장사네요~거제대어2호 핫조황(27일 예약)

신상품 소개


회원 랭킹


공지사항


NaverBand
점주/선장 > 가장 빠른!!  실시간 조황

감성돔(실시간) 9방 팅~힘이 장사네요~거제대어2호 핫조황(27일 예약)

거제대어낚시2호 1 115 2024.08.26 09:21
거제대어낚시2호입니다.
감성돔 흘림낚시 진입했습니다. 현재시간, 엄청난 활성도에 퍽~퍽~ 합니다.
녀석들 파워가 예상을 넘어 가는 것 같습니다. 우습게 보다가 5수 터지고, 4수
빠지는 엄청난 파워에 깜놀, 다행히 마리수로 찐하게 손맛을 보고 있습니다.
남은 시간 즐겨 보겠습니다.

내일, 27일(화요일) 예약 가능하고, 먼바다 참돔, 내만 감성돔낚시 분산출조
가능하고, 선외기 대여까지 이용 가능합니다. 먼바다 참돔에는 사이즈부터
마리수까지 나오고 있고 내만에는 내만 감성돔들과 선외기에도 문어와
감성돔들이 본격 입질이 시작되었습니다.

▣ 거제대어낚시 참돔부시리/감성돔낚시/선외기대여 일정 안내 ▣
☆27일(화) 조금 먼바다 참돔 (내만) 감성돔낚시/선외기낚시 "예약가능
※ 좋은 포인트 선정을 위해 예약을 미리미리 서둘러 주십시요.

거제대어낚시 선상낚시 예약(독채 민박)
문의 ☎ 010-6400-2082 / ☎ 010-454-393
ㅁ선외기 예약: ☎ 010-6400-2082
■ 밴드:  https://band.us/@geojedaeeofishing
사용자가 올린 이미지
0

좋은 글이라고 생각되시면 "추천(좋아요)"을 눌러주세요!


, , , , , , , , , , , , , , , , , , , , , , , , , , , , , , , , , ,

  • 페이스북으로 보내기
  • 트위터로 보내기
  • 구글플러스로 보내기
  • 카카오스토리로 보내기
  • 네이버밴드로 보내기
  • 네이버로 보내기
  • 텀블러로 보내기
  • 핀터레스트로 보내기
1 댓글
거제대어낚시2호 24-08-26 09:21 0  
27일 먼바다 참돔낚시 선단 감성돔낚시 선외기대여 예약 가능합니다. 감사합니다.
 
b_hot_innakmall_200x80_240307.jpg b_hot_nios_200x80.gif b_hot_ggsusan_hongeu_160x100.gif b_hot_innakmall_200x80_211203.gif
포토 제목
 

인낚 최신글


인낚 최신댓글


온라인 문의 안내


월~금 : 9:00 ~ 18:00
토/일/공휴일 휴무
점심시간 : 12:00 ~ 13:00