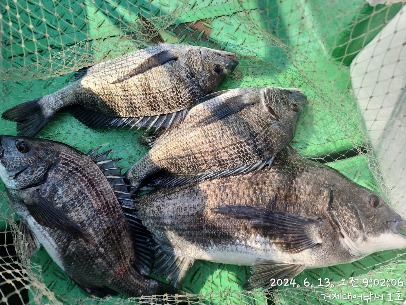
실시간(감성돔) 불감당 대물팅~47Cm이하 마리수~거제대어1호 조황(14일 예약)

신상품 소개


회원 랭킹


공지사항


NaverBand
점주/선장 > 가장 빠른!!  실시간 조황

실시간(감성돔) 불감당 대물팅~47Cm이하 마리수~거제대어1호 조황(14일 예약)

거제대어1호 1 150 2024.06.13 10:04
거제대어낚시1호입니다.
감성돔 흘림낚시 진입했습니다. 불~감당 대물들은 팅~팅 터져 나가고
있지만, 굵은 감성돔 47Cm이하 마리수로 손맛중입니다. 좋은 활성도라
계속적인 입질은 꾸준히 이어지고 있습니다. 남은시간 집중해 보겠습니다.

14일 금요일부터 주말까지 물때 좋고, 먼바다 참돔낚시와 내만 감성돔
낚시 및 선외기 대여까지 선단 분산 출조 예약 가능합니다.

▣ 거제대어낚시 참돔/부시리낚시/생활낚시 일정 안내 ▣
참돔(내만,먼바다)/선외기낚시/생활낚시 선상 전용선 운영.
★숙박+낚시배를 동시에 이용하고자 하는 분들은 할인 혜택 적용.
☆14일(금) 1물/ 거제도 참돔/감성돔선상 흘림/생활낚시 "예약가능
☆15일(토) 2물/ 거제도 참돔/감성돔선상 흘림/생활낚시 "예약가능
☆16일(일) 3물/ 거제도 참돔/감성돔선상 흘림/생활낚시 "예약가능
☆17일(월) 4물/ 거제도 참돔/감성돔선상 흘림/생활낚시 "예약가능
※ 좋은 포인트 선정을 위해 예약을 미리미리 서둘러 주십시요.

거제대어낚시 선상낚시 예약(독채 민박)
문의 ☎ 010-6400-2082 / ☎ 010-454-393
ㅁ선외기 예약: ☎ 010-6400-2082
■ 밴드:  https://band.us/@geojedaeeofishing
0

좋은 글이라고 생각되시면 "추천(좋아요)"을 눌러주세요!


, , , , , , , , , , , , , , , , , , , , , , , , , , , , ,

  • 페이스북으로 보내기
  • 트위터로 보내기
  • 구글플러스로 보내기
  • 카카오스토리로 보내기
  • 네이버밴드로 보내기
  • 네이버로 보내기
  • 텀블러로 보내기
  • 핀터레스트로 보내기
1 댓글
거제대어1호 24-06-13 10:05 0  
14일 거제도 참돔낚시 감성돔낚시 예약 가능합니다. 감사합니다.
 
포토 제목
 

인낚 최신글


인낚 최신댓글


온라인 문의 안내


월~금 : 9:00 ~ 18:00
토/일/공휴일 휴무
점심시간 : 12:00 ~ 13:00