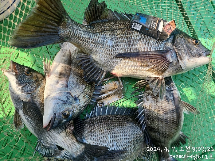
대물감성돔(실시간) 54Cm외 4짜 대형급 속출~거제대어1호 핫조황(8일 예약)

신상품 소개


회원 랭킹


공지사항


NaverBand
점주/선장 > 가장 빠른!!  실시간 조황

대물감성돔(실시간) 54Cm외 4짜 대형급 속출~거제대어1호 핫조황(8일 예약)

거제대어1호 1 114 2024.04.07 10:07
거제대어낚시1호입니다.
세차게 흐르는 영등사리 전후, 어초여밭에는 영등 대물 감성돔 54Cm가
나왔고, 현재시간 5짜, 4짜, 4짜외 중치급까지 마리수로 손맛을 제대로
즐기고 있습니다. 남은 시간 즐겨 보겠습니다.

내일도 감성돔흘림 출조합니다. 선단 예약가능합니다.
8일 영등사리 전후 물때라 채비 튼튼히 챙겨 오시길 바랍니다.
주말, 영등사리 물때 꼭 도전 해 보시길 바랍니다.

감성돔(내만)/참돔(먼바다)/선외기(어장)전용선체제 운영.
★숙박+낚시배를 동시에 이용하고자 하는 분들은 할인혜택도 짱~짱~★
☆  8일(월) 7물/ 거제도 어초여밭 수중여 감성돔낚시 "예약가능
☆  9일(화) 사리/ 거제도 어초여밭 수중여 감성돔낚시 "예약가능
☆10일(수)  9물/ 거제도 어초여밭 수중여 감성돔낚시 "예약가능

거제대어낚시 선상낚시 예약(독채 민박)
문의 ☎ 010-6400-2082 / ☎ 010-454-393
ㅁ선외기: ☎ 010-6400-2082
■ 밴드:  https://band.us/@geojedaeeofishing
거제대어낚시는 1~8선단을 운영하고 있으며 거제도에서 가장 큰
규모를 자랑합니다. 단체팀/회사팀/기업팀/동호회팀/선상 낚시대회도
가능한 충분한 인원을 수용 가능합니다.
0

좋은 글이라고 생각되시면 "추천(좋아요)"을 눌러주세요!


, , , , , , , , , , , , , , , , , , , , ,

  • 페이스북으로 보내기
  • 트위터로 보내기
  • 구글플러스로 보내기
  • 카카오스토리로 보내기
  • 네이버밴드로 보내기
  • 네이버로 보내기
  • 텀블러로 보내기
  • 핀터레스트로 보내기
1 댓글
거제대어1호 24-04-07 10:08 0  
8일 거제도 영등철 대물 감성돔낚시 예약 가능합니다. 감사합니다
 
b_hot_innakmall_200x80_240307.jpg b_hot_nios_200x80.gif b_hot_ggsusan_hongeu_160x100.gif b_hot_innakmall_200x80_211203.gif
포토 제목
 

인낚 최신글


인낚 최신댓글


온라인 문의 안내


월~금 : 9:00 ~ 18:00
토/일/공휴일 휴무
점심시간 : 12:00 ~ 13:00