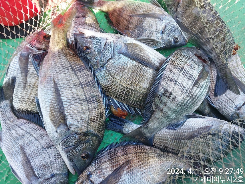
영등감성돔(실시간) 4짜 4짜이하 퍽~퍽~폭풍입질~거제대어2호 핫조황(2일 예약)

신상품 소개


회원 랭킹


공지사항


NaverBand
점주/선장 > 가장 빠른!!  실시간 조황

영등감성돔(실시간) 4짜 4짜이하 퍽~퍽~폭풍입질~거제대어2호 핫조황(2일 예약)

거제대어낚시2호 1 104 2024.04.01 10:22
거제대어2호입니다.
평일 조금은 여유로운 공간들이 보입니다. 오늘도 영등철 최고의 포인트
어초 여밭, 감성돔 흘림낚시 진입했고, 현재시간, 퍽~퍽 수준으로 빵 굵은
감성돔 4짜이하 마리수로 찐하게 손맛 즐기시고 계십니다. 약은 입질에
빠지는 녀석들도 다수 보이긴 하지만, 좋은 활성도에 맞추어 남은시간
집중해 보겠습니다.

내일도 감성돔흘림 출조합니다 예약가능합니다
영등철 24일째날, 4월 2일(화요일), 무르익은 영등철 대물감성돔들이
지나는 길목을 차단, 손맛을 제대로 볼 수 있도록 핫포인트 위주로
진입하고자 합니다. 거제대어낚시 선단으로 오시면 승율은 더욱 더
높아 집니다.

☆4월 2일(화) 1물/ 거제도 어초여밭 수중여 감성돔낚시 "예약가능
☆4월 3일(수) 2물/ 거제도 어초여밭 수중여 감성돔낚시 "예약가능
☆4월 4일(목) 3물/ 거제도 어초여밭 수중여 감성돔낚시 "예약가능
☆4월 5일(금) 4물/ 거제도 어초여밭 수중여 감성돔낚시 "예약가능

거제대어낚시 선상낚시 예약(독채 민박)
문의 ☎ 010-6400-2082 / ☎ 010-454-393
ㅁ선외기: ☎ 010-6400-2082
■ 밴드:  https://band.us/@geojedaeeofishing
0

좋은 글이라고 생각되시면 "추천(좋아요)"을 눌러주세요!


, , , , , , , , , , , , , , , , , , , , ,

  • 페이스북으로 보내기
  • 트위터로 보내기
  • 구글플러스로 보내기
  • 카카오스토리로 보내기
  • 네이버밴드로 보내기
  • 네이버로 보내기
  • 텀블러로 보내기
  • 핀터레스트로 보내기
1 댓글
거제대어낚시2호 24-04-01 10:22 0  
2일 거제도 영등철 대물 감성돔낚시 예약 가능합니다. 감사합니다.
 
b_hot_innakmall_200x80_240307.jpg b_hot_nios_200x80.gif b_hot_ggsusan_hongeu_160x100.gif b_hot_innakmall_200x80_211203.gif
포토 제목
 

인낚 최신글


인낚 최신댓글


온라인 문의 안내


월~금 : 9:00 ~ 18:00
토/일/공휴일 휴무
점심시간 : 12:00 ~ 13:00